胡鲶,Clarias batrachus (Linnaeus, 1758),鲶形目胡鲶科胡q。英文名:Walking catfish 。地方名: 胡子鲶、塘角里、塘虱。体长,后部侧扁。头宽扁。眼间甚宽。口亚下位,弧形。颌有绒状齿。须4对,发达,口角须超过鳃孔。鳃腔内有辅助呼吸器官。背、臀鳍均长,不与尾鳍相连;胸鳍具硬刺;尾鳍圆形。分布于长江及以南的各水体。为热带、亚热带鱼类,耐寒力差。喜群居,常栖息于江河、池塘、沟渠的阴暗处和洞穴中。主食小鱼虾和水生昆虫。4~5月筑巢产卵。为南方的养殖鱼类。肉细嫩,味佳,营养价值高,被视为滋补食品,有药用功效。
基本信息

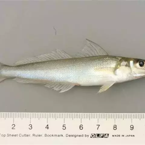
胡鲶体延长,背鳍起点向前渐平扁,向后渐侧扁。头宽圆,平扁,头腹面平直,背面斜平,呈楔形或犁头状。头顶及两侧有骨板,披以薄皮,并有额囟。吻宽而钝,突出。唇颇厚,口角唇褶发达,唇沟明显。口宽大,弧形,略下位,下颌较上颌略短。牙细小,密集,上、下颌和犁骨均有绒毛状齿带,下颌齿带中间有裂缝。头部具须4对;鼻须1对,较短,伸达鳃孔后方;上颌须1对和颌须2对,较长,均伸达胸鳍基部或后方。眼颇小,有活动眼睑,眼间隔甚宽平。鼻孔每侧两个;两鼻孔相隔较远,前鼻孔为1短管,近吻端。鳃孔宽,鳃腔内具有由第二及第四鳃弓肉质突起构成的树枝状辅助呼吸器官,可利用空气中的氧气进行气体交换。体光滑无鳞,侧线平直。背鳍1个,基部很长,约占体长的2/3,无硬刺,起点在胸鳍和腹鳍起点之间中央上方,后方鳍条伸达尾鳍基;臀鳍与背鳍同形,较背鳍短;胸鳍小,圆形,具硬刺;腹鳍小,尾鳍圆形,不与背鳍、臀鳍相连。体棕黑色,各鳍灰黑色。

胡鲶为热带、亚热带淡水鱼类,耐寒力差,温度低于6℃时出现死亡。栖息于河川、池塘、水草茂盛的沟渠、稻田和沼泽中的黑暗处和洞穴内。 鳃腔内有辅助呼吸器,故能耐干旱;在泥浆或水少的地方,能生活一段时间;在干燥时节营穴居生活,可数月不死。夜间出穴捕食,行动活泼,喜群居,在沟渠窟中常数十尾至数百尾在一起生活。冬季进入江河或在洞窟中过冬。喜食小鱼、小虾和水生昆虫及水草等;幼鱼则以浮游生物为食。4月份由越冬地区进入沟渠、稻田及沼泽地区;4-5月间以尾挖掘一圆形窝,在巢窝中生殖。鱼卵受精后,雄鱼离去,雌鱼守窟防敌,直至仔鱼能够游动觅食方始离去。每次产卵70-200粒,产卵期每年2次,在4-5月及8-9月。夏季水温升高,胡鲶由稻田返回河溪沟渠中,8-9月又游至稻田进行生殖。

胡鲶主要分布于长江中下游和 长江以南各省区的各种水体中。胡鲶分布极广,为南方的养殖鱼类;也是常见的中小型食用鱼类。

养殖5个月,体重可达250克左右 胡鲶个体比较小 这样已经算是很大的了 。其肉质细嫩,味鲜美,营养价值高。除食用外,它还是一种药用鱼类,历来被视为滋补食品。
胡鲶的营养成分有
热量…194仟卡 蛋白质…16.3公克 脂肪…8.4公克 水分…68.9公克 维生素 A…332RE
维生素 E…0.23毫克 维生素 C…0.4毫克 钠…37毫克 钾…380毫克 钙…4毫克
镁…27毫克 磷…220毫克 铁…1.1毫克 锌…0.8微克 胆固醇…86毫克
全鱼有养血、补虚、滋肾、调中、助阳之功效,民间常用来为饮食不振之病人或产妇补养身体。入药主治疟疾,久疟不愈;腰膝酸痛;体虚;黄疸,慢性肝炎;小儿疳积;衄血,鼻血时流时止,年久不断;虚火症(头晕、心悸、出血、口干、手与足心发热、急躁、失眠);外科手术后食之能促使伤口愈合。外贸部门常将此鱼作为出口水产品之一。

捕捉胡鲶要特别小心。其胸鳍棘为具毒腺组织的皮膜所包,被刺伤后有剧痛,但不红肿。胡鲶科在中国国仅胡鲶一种。近几年来,有关部门从国外引进另外两种,并已在人工繁殖取得成功,成为中国南方的养殖新品种。
与鲶鱼的区别
区别其实很简单,看两点:
一是鲶鱼背上无鳍,而胡鲶有;
二是鲶鱼只有两条或四条胡子,而胡鲶是八条。
珠江流域,气候宜人,河网密布,渔类资源丰富,物产丰盈,素有渔米之乡的美誉,是钓鱼爱好者的宝地。在广东佛山以下至珠江口段,有许多大大小小与珠江主流相连的河道,本地人通常叫涌,这种涌与其他一般河流的支流不同,它的水流随珠江潮夕的变化而变化,并不总是有水和鱼。其特点是涨潮鱼随水上,退潮鱼随水落,一天涨潮退潮两次,从而形成了有规律的渔汛。珠江可钓鱼种很多,有鲤、鲫、草、罗非、鲶、赤眼鳟、鲮鱼等,但以胡鲶居多。由于其繁殖能力和抗污染能力较强,反而成了珠江的主要鱼种。
一、钓点的选择
①河涌中有水草、木桩、障碍物、乱石附近;
②河涌水闸上下50米范围; 蚯蚓
③深浅交界处;
④潮退后水洼处;
⑤河涌尽头;
⑥与河涌相连的沟渠处;
⑦洄水湾。?
二、钓饵的选择。
鲶鱼吃荤不吃素,在钓饵选择上要选择腥、活的东西,如蚯蚓、小虾、泥鳅、昆虫、动物的内脏等,但笔者认为黑粗蚯蚓效果最好。若没有此种蚯蚓,可用几条蚯蚓横挂在钩上,因为鲶鱼视觉不好,以目标较大和鲜活为好。?
三、钓具的选择。
钓鲶钓具不用太讲究,手、海竿均可,长短不论。主要视乎水面宽窄情况,水面宽用海竿效果好,水面窄用手竿效果好。不论手竿、海竿,铅坠应适当加重让钩着底,因胡鲶是贴底觅食。鱼钩通常一只即可,因河涌随水流涨退,生活垃圾及其他障碍物较多,钩多容易挂物或挂底。?
四、上鱼时机的选择。
胡鲶鱼吃食较猛,吃相或漂相清楚,通常是突然黑漂,有时反应都来不及,所以钓胡鲶注意力要非常集中。因为胡鲶鱼吃食之后,如感觉有异物,就会吐钩而逃,一吃一逃发生在一瞬间。但出现这种情况也不必懊丧,过一会它又会回转头来觅食,只要你认真加上耐心,在原钓点就会把它钓上来。如果你用的是海竿,在加漂时要加大漂,一般白色泡沫较好,只要看到泡沫连续半沉半浮,即可提竿起鱼。如不加漂,挂小铃铛即可,铃响二次以上即可扬竿,一般没跑。?
五、天气和时间的选择
珠江流域地处亚热带,全年气温较高,低温日子(10℃以下)极少,因此胡鲶鱼几乎全年可钓。胡鲶鱼全天觅食,因此在一天中时间段并没严格限制,但一般情况下,涨潮难钓,退潮好钓。因为涨潮水急鱼分散,退潮鱼较集中,尤其是退三分之二潮时最好,你可以到处看到胡鲶鱼冒出的鱼星,把竿甩到鱼星附近,准保有鱼。晴天、雨天、阴天、风天、雾入都能钓到胡鲶鱼,但一般以雨天(小雨)阴天和雾天较佳。

利用夏季休闲的日光温室或塑料大棚饲养胡鲶,其具体饲养技术要点是:
一、胡鲶的特性
1. 耐低氧,抗污染。胡鲶能在其它鱼类不能生存的水域环境中正常生长。据测定,当水中溶氧量低于0.1228ppm时,它仍可通过仰头吞咽空气摄取氧气正常生活。
2.耐高水温,喜浅水。胡鲶生长的适宜水温为25一30℃,低于15℃生长缓慢,7℃以下会昏迷死亡。水深以75- 100厘米为宜,过深,太阳晒不到底,不利生长发育。
3.食物广泛。胡鲶是一种动植物食料均可饲喂的杂食性鱼类。但在天然水体中,它主要摄取浮游生物、小虾、昆虫等动物食料。在人工饲养条件下,喂食动植物饲料均可,但以喂食动物性饲料生长较快。植物性食料包括豆饼、花生饼、玉米面、鼓皮等,动物性饲料包括水中滋生的各种杂虫,屠宰厂(点)的各种废弃物,以及死亡丢弃的死猫烂狗家畜家禽等。
4. 可密饲,生长快,产量高。由于胡鲶耐低氧,又属底层鱼类。有群集习性,因此可大密度饲养。一般亩可放养6000-7000尾。只要饲料充足,月可增重150克,4个月单体重可达500-750克。
5.抗病性强,较少发病。 另外,胡鲶性情温顺,不打洞,所以利用塑料布衬底防漏水进行饲养也可。
二、饲养技术
(一)修建鱼池及水体消毒和培肥利用塑料日光温室、塑料大中棚夏季休闲期饲养胡鲶,前者以越冬黄瓜、西葫芦,或冬春茬黄瓜、西葫芦茬为宜;后者以菜花、甘蓝和速生菜,即能在5月中旬腾茬的前茬为宜。从棚室结构看,以前坡下无支柱的温室最为有利。如温室或塑料大中棚的前坡下有支柱,则要先撤除支柱(但不要撤去拱杆和棚膜),在中柱前和前沿下各用于砖砌起高1米的墙(砖墙外需培土以支撑墙体)。两山墙处也可砌起同样高的干砖墙。但如原有老山墙符合要求,可不再重新砌墙。修建鱼池时,可砌干砖,也可挖33厘米深的坑,用挖出来的土培在四周,使坑深达1米;或挖坑加砌砖也可。然后将池内地面锄平搂松,拾净根茬,最后用一整块塑料棚膜(不足时可进行人工粘合)铺严池底,将四边提起附到墙上盖到墙顶,并扯用土压住,然后再在底部塑料布上铺一层厚8-10厘米的肥土,接着放满水(深70-80厘米),再按每分地加入15-25公斤生石灰,以后再按每分地加入人粪便60公斤,或香油饼8公斤,以肥育水体。一般放水应在放鱼苗前15-20天进行。
(二)鱼苗投放及管理。胡鲶有大鱼吃小鱼的习性,所以在鱼苗培育期间和投放鱼苗时,一定要把鱼苗按大小分级,做到分级喂养。 初始鱼苗小时可用厄龙纱网做成网箱放入池内隔离喂养。以便集中投饵料和防上大鱼吃小鱼;鱼苗长大以后放入水池时,也要注意做到大小鱼分级饲养。同时要注意控制水温在30℃左右,阳光强烈时,对孵化池和培育地要进行覆盖。另外,放养时间以6月上旬为宜。 鱼苗稍大后,要投放饵料并增喂动物蛋白质饲料(一般每天要投放1-2次),以新鲜的动物饲料效果最好。如一家一户饲养,一般可投以蝇蛆、丝蚯蚓、孑孓、鱼粉、蚕蛹、浮萍、米糠、豆饼、鸡禽家畜内脏等。每天投饲量约为鱼体重的5-10%。或投放发酵的棉籽饼、豆饼,或畜禽内脏、畜禽尸体腐烂后所生的蛆,或活蛆加脱落后的腐肉。但投放动物内脏和尸体时,一定要剁碎后再进行饲喂。 饲养期间要每二三天向池内冲添一次清水,但千万注意不要一次把池水放净,重新放入清水,那样会造成鱼不进食,饲养失败。
(三)防治鱼病。胡鲶抗逆性强,一般较少得病。但是由于环境 见病有肠炎和腐皮病(打印病)。
1.肠炎。患有肠炎的病鱼多浮于水面,不取食也不下沉,腹部大,且可见腹部有淡黄绿液从肛门流出(肠内无食物)。
治疗方法是,每立方米水体用硫酸铜(兰矾)0.5克、硫酸亚铁(黑矾)0.2克混合水溶液在全池内进行泼洒。
2.黑体病。主要症状是鱼体消瘦,体色变黑,病鱼坚直浮于水面,吻部和背部有时可见白色绒毛状斑块,形似水霉,胸鳍内侧有一圆形红色血斑,多发生于鱼苗阶段。当饲林不足时和水质被污染后,最易发病。
防治方法:每立方米水体采用漂白粉1克全池泼洒。用药后更换池水再施药一次,并注意保持水质清新。
3.车轮虫病。是由于车轮虫寄生鱼体引起。发病后病鱼消瘦,停止摄食,鱼体变黑,在池中离群旋游打转,不久死亡。
防治方法:每立方米水体用硫酸铜0.5克、硫酸亚铁0.2克全池泼洒,单用0.7克硫酸铜亦可。或用食盐(2%)溶液浸洗鱼体15分钟,或用3%食盐溶液浸洗5分钟。

胡鲶枸杞汤
胡鲶含丰富维生素A,能消除疲劳,搭配枸杞煮汤,可养颜美容、聪耳明目。体力不继者宜多喝汤,少吃鱼肉和枸杞;神智恍惚者,宜多吃鱼肉和枸杞。
材料: 胡鲶1尾 枸杞3钱 桂枝5钱 胡鲶枸杞汤
做法:
胡鲶去鳃后洗净,切成块状待用。
枸杞丶桂枝用清水快速冲净后,沥干备用。
锅中加6碗水,放入所有处理好的材料,用大火煮开后,转小火,煮约25分钟即可熄火,加盐丶酒调味后盛出食用。此汤宜趁热服用。







叉尾斗鱼,体形与圆尾斗鱼相似。腹鳍有1根分节鳍条特别延长,雄鱼鳍条延长尤甚,尾鳍叉形。…




茉莉花鳉是花鳉科、花鳉属鱼类。体延长,前部略呈楔状,后部侧扁。雌鱼的腹部膨大而圆突。头部中大,吻短。…




拟平鳅,学名:Liniparhomaloptera disparis ,是平鳍鳅科拟平鳅属的一种底…




拟平鳅,学名:Liniparhomaloptera disparis ,是平鳍鳅科拟平鳅属的一种底…




蒙古红鲌是鲤科、红鲌属鱼类,别称“红梢子”“尖头红梢子”等。体长,侧扁,头部背面平直,头后背部稍隆起。…




绿鳍鱼, 又称“绿翅鱼、莺莺鱼、红头鱼” ,是鲂鮄科绿鳍鱼属的鱼类。头中大,四棱形,背面较狭;吻略长,…




叶尔羌高原鳅,Triplophysa Yarkandensis ,鳅科高原鳅属的一种鱼类,俗名:…




竹荚鱼,日语称:あ じ 也称马鲭鱼。广泛分布于我国沿海及朝鲜、日本沿海等水域。这种鱼为中上层洄游性…


















