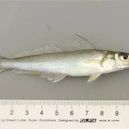
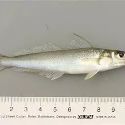
竹荚鱼(mackerel),日语称:あ じ (アジ)也称马鲭鱼。广泛分布于我国沿海及朝鲜、日本沿海等水域。这种鱼为中上层洄游性鱼类,游泳迅速,喜欢结群聚集,有趋光特性。
竹荚鱼 ,鲈形目,鲈亚目鲹科鱼类。侧线全部被棱鳞
体粗壮微扁,呈纺锤形,一般体长20~40厘米、体重150~400克、头大、前端细尖似圆锥形,眼大位高,口大,上下颌等长,各具一行细牙,犁骨和跨骨有牙、体被细小圆鳞,体背呈青黑色或深蓝色,体两侧胸鳍水平线以上有不规则的深蓝色虫蚀纹、腹部白而略带黄色、背鳍2个相距较远,第一背鳍鳍棘9-10根,第二背鳍和臀鳍相对,其后方上下各有5个小鳍;尾鳍深叉形、基部两侧有两个隆起脊;胸鳍浅黑色,臀鳍浅粉红色,其他各鳍为淡黄色。竹荚鱼在世界海洋渔业中占有极其重要的地位,为世界主捕鱼种之一,具有较高的经济价值,EPA和DHA等不饱和脂肪酸含量较丰富,已被列入我国远洋渔业今后重点捕捞和研究对象之一 。
基本信息

体呈纺锤形,稍侧扁,一般体长20~35厘米、体重100~300克、脂眼睑发达、体被小圆鳞,侧线上全被高而强的棱鳞,所有棱鳞各具一向后的锐棘,形成一条锋利的隆起脊。体背部青绿色。腹部银白色,鳃盖骨后缘有一黑斑、背鳍2个,分离;胸鳍特大,镰刀状;胸及尾鳍土黄色,背及臀鳍淡黄色。
背鳍Ⅰ,Ⅷ,Ⅰ-30~33;臀鳍Ⅱ,Ⅰ-26~30;胸鳍20~21;腹鳍I-5;尾鳍 竹荚鱼 17。侧线上有稜鳞68~71。 体纺锤形,侧扁;体长为体高3.6~4.3倍,为头长3.8~4.2倍。头中等大。头长为吻长3.1~3.8倍,为眼径3.4~4.0倍。吻锥形。脂眼睑发达,前部达眼前缘,后部达瞳孔后缘稍前。口大,口裂倾斜。前颌骨能伸缩。上颌后端呈截形,达瞳孔前缘的下方。上下颌有一列细牙,犁骨牙群呈箭头形,腭骨及舌面中央均有细长形牙带。鳃孔大。鳃盖条7。鳃耙13~16+36~40。有假睱鳃。 体被圆鳞,易脱落,头部除吻和眼间隔前部以外均被鳞,身体和胸部都有鳞片。侧线自起点至第二背鳍始部下方,几呈直线状,以后斜度甚大,斜向下方,但至第二背鳍7~9鳍条下方起至尾基成为直线状。侧线上全被稜鳞,68~71个。稜鳞高而强,在直线部连接呈一明显的隆起嵴。 第一背鳍有一向前平卧棘与8鳍棘,棘间有膜相连。第二背鳍有l鳍棘,30~33鳍条。臀鳍与第二背鳍同形,有1鳍棘,26~30鳍条,其前方有2短棘。胸鳍镰刀形,腹鳍短,胸位。尾鳍叉形。 幽门盲囊长条状,约十几个。脊椎骨10+14。 背部青黄带绿色,腹部银色,鳃盖后上缘有一明显的黑色斑,各鳍草绿色。

为来回在海洋中层与海面间的一种洄游性鱼类,体态多呈流线型,体色则与其它表层鱼一样,上下颜色不同,背部为暗绿色,由上看与海水混淆不清,腹部是银白色,由海中往上看,和水面的反光同色,如此形成了逃避金枪鱼等大型回游性鱼类攻击的保护色。

竹荚鱼在太平洋、大西洋均有分布,现已成为世界主捕鱼种之一,其有三大支群:北太平洋西部竹荚鱼,在我国南海、东海、黄海、渤海均可捕获;大西洋竹荚鱼,在南非和西非的撤哈拉、毛里塔尼亚、塞内加尔沿海集群;智利竹荚鱼也称东南太平洋竹荚鱼,体呈长圆筒状,与我国东海产竹荚鱼相比,其体形细而长。
在东南太平洋的秘鲁和智利水域(南纬7~50°)均有分布,但主要在智利水域,在智利经济区外的公海海域资源量也很大。
东南太平洋竹荚鱼储量丰富,据资料显示大约在3000~3500万吨以上,1995年该渔区捕获竹荚鱼为495万吨,达历史最高水平,仅次于该渔区的拟沙丁鱼而居第二位。智利竹荚鱼主要为智利本国经济区的渔获,其次为公海海域的远洋捕捞。在上世纪八十年代,主要有前苏联、古巴、保加利亚、日本和韩国远洋船队在此捕捞竹荚鱼,之后由于前苏联的解体和诸多经济因素影响,上述各国相继退出。
我国远洋渔业自1985年起步后,曾把东南太平洋竹荚鱼作为后备渔场,当时,由于鄂霍次克海丰富的狭鳕资源,开发智利竹荚鱼的计划被搁置下来。近年俄罗斯对外国渔船配额的大量减少,开发利用智利外海竹荚鱼资源,成为我国远洋渔业发展的必由之路。
竹荚鱼的加工方法多种多样,主要取决于它的等级。日本国内产的大、中规格的鱼卖到餐馆、寿司店、家庭,这类鱼主要做成生鱼片、寿司、tataki;中小等级(150~180 g)的鱼冷冻后卖给加工商做成hiraki。小规格竹荚鱼大部分加工成罐头,在超市和鱼摊上出售。

对竹荚鱼的加工利用主要有以下几种方式:
目前国外把大部分中、小竹荚鱼都加工成鱼粉和鱼油,这是竹荚鱼加工的主要产品。加工成全鱼粉可提高原料的利用率和产品的营养价值,同时还可得到副产品鱼油。
如果要制作食用鱼粉,必须彻底脱除鱼粉中的油脂以及蛋白质分解产物。联合国粮农组织推荐的食用鱼粉的基本加工工艺是:新鲜原料经清洗后切碎、脱脂(萃取)、离心、干燥、粉碎、包装。
目前国内外市场对鱼类金属罐头的需求量锐减,因此主要加工成软罐头产品。
原料鱼→前处理→预煮、冷却、修整→装袋→抽真空→密封→反压杀菌→冷却→保藏
使用各种不同配方的调味料和前处理工艺,可以生产出数十种甚至更多风味的软罐头品种,例如:辣味、烟熏、盐烧味、清蒸、五香等品种。
生鱼片等生食类食品一般都是启封后可以直接食用,因此对原料鱼的鲜度、质量及卫生指标极其重视,一般要求K值在20%以下。此类食品日本客户尤其喜欢,但中国市场上尚不多见。生鱼片的生产加工工艺如下:原料鱼→前处理、洗净→切片一调味液浸渍→包装一成品→冷冻贮存
生食类制品主要有生鱼片、醋渍鱼片等。
干制品的加工方法很多,如生干品、煮干品、盐干品、调味干制品等,其中以调味干制品最受欢迎。配以不同风味的调味料,可以生产出各式调味干制品,加工的灵活性高。调味干制品是指原料鱼处理后,经过调味料拌和或浸渍后干燥的制品,也可以是先将原料干燥至半干,浸渍调味料后再干燥的制品,其加工工艺如下:
原料鱼→+前处理→剖腹、去背骨→洗净→调味液浸渍→干燥一真空包装→成品
采用此种工艺可以制造出酒味、酱味、辣味、五香味等多种调味干制品。此外,加工成肉丁(鱼果,因其色泽较深,故类似牛肉丁),然后以锡箔纸包裹。若需要在常温下长期保藏,最好先进行脱脂处理。
将原料鱼处理后切片、切条或制成鱼排,调味后一般经轻度加热定型,再包裹面包粉后冷冻贮存即成为冷冻调理食品,需要煎、炸或烤熟后食用。其加工工艺如下:原料鱼→前处理→剖腹、去骨斗洗净→调昧液浸渍→轻度加热→裹面包粉。包装→成品→冷冻贮存
冷冻调理食品之所以比较受欢迎,是因为无须烹调前的处理,食用前只需煎、炸或烤熟即可,节省时间,适应当今快节奏的生活。
鱼类调味方便食品是将原料鱼处理后,用调味料拌和或浸渍,包装后冷冻贮存。

竹荚鱼是有较高经济价值的鱼类。其主要产品为冷冻原条鱼、鱼段、罐头、鱼粉、鱼油等。智利和秘鲁在渔汛旺发时大量捕获,然后运回港内供陆地加工厂加工鱼粉、鱼油和罐头,其红鱼粉大部分是用竹荚鱼生产的。我国在智利外海作业的远洋渔船捕获加工的船冻竹荚鱼,大部分销往非洲,小部分进入欧盟。
竹筴鱼,虽然市价不高,但却饱含高单位不饱和脂肪酸,拥有PHA2877mg、EPA927mg等营养成分,可以预防高血压、脑中风,业者加工制作成鱼松、鱼丸或花枝丸,将竹筴鱼松、鱼丸及干贝酱.
竹荚鱼蛋白质含量高,血红素含量丰富,脂肪含量中等,此外还含有较多的钙、锌、铁和维生素A、E等。以住人们有种误解,好像含脂肪量越少鱼就越好,科学实验表明,摄取适当的鱼脂肪有利于人的健康。之所以金枪鱼腹部中前部位入口即化,那是因为这部分脂肪含量较高的缘故,竹荚鱼与金枪鱼一样含有DHA和EPA两种有保健作用的不饱和脂肪酸。
虽然市价不高,但却饱含高单位不饱和脂肪酸,拥有DHA、EPA等营养 竹荚鱼 成分,可以预防高血压、脑中风,业者加工制作成鱼松、鱼丸或花枝丸,将竹筴鱼松、鱼丸及干贝酱.
竹荚鱼蛋白质含量高,血红素含量丰富,脂肪含量中等,此外还含有较多的钙、锌、铁和维生素A、E等。以住人们有种误解,好像含脂肪量越少鱼就越好,科学实验表明,摄取适当的鱼脂肪有利于人的健康。 竹荚鱼与金枪鱼一样含有DHA和EPA两种有保健作用的不饱和脂肪酸。DHA被人们称之谓脑黄金,是人类大脑和中枢神经系统发育必需的营养素。经常食用,利于脑细胞的再生,提高记忆力,有利于婴幼儿的脑部发育,预防老年痴呆症。

竹荚鱼脂肪含量高,褐色肉多,其脂肪在加工、储藏过程中易氧化并产生严重的腥味 。竹荚鱼的食用方法因国家、地区、民族、习俗和季节的不同而异。
中国人传统的方法是腌制咸品,后油煎、清蒸、佐酒下饭。油炸、烧溜、烟熏也较普遍。用冷冻竹荚鱼加工成罐头制品,由于价格偏低,而颇具竞争力。竹荚鱼工业开发价值逐日显现,正筹备开发竹荚鱼罐藏制品。
日本人把竹荚鱼加工成生鱼片食用,其次剖片去刺、涂刷佐料,用烘炉烤熟后,分切成块,外焦内嫩,口味多样,装盘上桌或盒饭中配餐,工薪族觉得经济实惠。
西非的尼日利亚经济比较落后,是非洲的食鱼国,在首都拉各斯街头、在内陆的丛林小镇,尼日利亚人常常在错黄的夜色中用烧烤吞食着竹荚鱼,还饮着当地的可可酒,黑人兄弟倒也显得休闲惬意。

过敏性食物中毒反应,食后30分钟-3小时内,颜面及上半身潮红,酒醉祥 竹荚鱼 ,心悸、头痛或出现荨麻疹,但体温正常,无泻下、腹痛反应。而非待异质所致。对中毒原因物质多数认为红肉内含组织胺所致。当鱼体变质或不新鲜时,大量细菌增长繁殖,尤以莫尔根变型杆菌,可使鱼体内组氨酸脱羧基而形成组胺。也有人认为是由于鱼体内含有Sdurine与组胺起协同作用所致。还有人认为是由于鱼体本身自溶作用,因变质而产生大量腐败胺分解后而形成组胺。

金鲳鱼属硬骨鱼纲、鲈形目、鲹科、鲳鲹属,学名卵形鲳鲹,俗名黄腊鲳、金鲳。该鱼体侧扁,卵圆形,…




蓝圆鲹属鲹科、圆鲹属鱼类。体呈纺锤形,微侧扁。下颌稍突于上颌。上颌延伸至眼前缘之下方。上下颌各具一…




竹荚鱼,日语称:あ じ 也称马鲭鱼。广泛分布于我国沿海及朝鲜、日本沿海等水域。这种鱼为中上层洄游性…




蓝圆鲹属鲹科、圆鲹属鱼类。体呈纺锤形,微侧扁。下颌稍突于上颌。上颌延伸至眼前缘之下方。上下颌各具一…




六带鲹,学名:Caranx sexfasciatus ,鲹科鲹属的一种暖水性中上层鱼类,著名的游钓…




六带鲹,学名:Caranx sexfasciatus ,鲹科鲹属的一种暖水性中上层鱼类,著名的游钓…




金鲳鱼属硬骨鱼纲、鲈形目、鲹科、鲳鲹属,学名卵形鲳鲹,俗名黄腊鲳、金鲳。该鱼体侧扁,卵圆形,…




竹荚鱼,日语称:あ じ 也称马鲭鱼。广泛分布于我国沿海及朝鲜、日本沿海等水域。这种鱼为中上层洄游性…


















