蓝点马鲛(学名:Scomberomorus niphonius),鲭科,鲅鱼的1种。体长而侧扁,体色银亮,背具暗色条纹或黑蓝斑点,口大,吻尖突,牙齿锋利,游泳迅速,性情凶猛,一般体长260—520毫米,大者可达1米以上、重20千克以上,分布于北太平洋西部,中国东海、黄海、渤海均产之。主要渔场有舟山、连云港外海及山东南部沿海。属暖水性中上层鱼类,常结群作远程洄游。生长迅速,当年幼鱼叉长可达25~30厘米,1~2龄鱼平均叉长50厘米。
基本信息

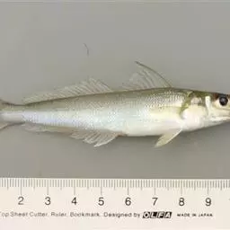
叉长为体高5.8~6.5倍,为头长4.5~4.8倍。头长为吻长2.7~2.9倍,为眼径4.9~6.1倍。 体延长,侧扁,背缘和腹缘浅弧形,以第二背鳍起点处最高,向后渐细,尾柄细,两侧在尾鳍基各具3条隆起嵴,中央嵴长而高,其余2嵴短而低。头中大,头长大于体高,背面圆凸,两侧平坦,头的腹面向后倾斜。吻长,尖突,长约为眼径2.3~2.5倍。眼较小,上侧位,距吻端较距鳃盖后缘为近。眼间隔宽凸,大于眼径。鼻孔每侧2个,分离,前鼻孔圆形,后鼻孔裂缝状,紧位于眼前缘。口大,前位,斜裂。上下颌约等长。眶前骨窄,上颌骨仅部分为眶前骨遮盖,后端钝圆,后延伸达眼后缘下方。上下颌牙强大,侧扁,尖锐,牙侧无锯齿状缺刻,上颌牙一行,16~20枚,下颌牙一行,14~17枚。腭骨具细颗粒状牙带。舌上无牙。鳃孔大。前鳃盖骨和鳃盖骨边缘光滑,无棘。鳃盖膜不与峡部相连。鳃耙较长,排列稀疏。肛门位于臀鳍前方。 体被细圆鳞,侧线鳞较大,明显,腹侧大部分裸露无鳞;头部除后头部和鳃盖后上角具鳞外,其余部分裸露。第二背鳍、臀鳍、胸鳍、腹鳍均被细鳞。侧线完全,无分支,始于鳃盖后上角,沿背侧呈波状延伸,伸达尾鳍基。 背鳍2个,稍分离,第一背鳍基底长,起点在胸鳍上方,由柔弱鳍棘组成,第二和第三鳍棘最长,其余鳍棘向后渐短,鳍棘平卧时可收折于背沟中。第二背鳍短,紧位于第一背鳍后方,起点距尾鳍基部较距吻端为近,后方具9个分离小鳍。臀鳍与第二背鳍同形,起点在第二背鳍第四鳍条下方,后方具8~9分离小鳍。胸鳍较短,宽镰状。腹鳍小,位于胸鳍基底下方。尾鳍深叉形。 体背侧蓝黑色,腹部银灰色。沿体侧中央具数列黑色圆形斑点。背鳍黑色。腹鳍、臀鳍黄色。胸鳍浅黄色,边缘黑色。尾鳍灰褐色,边缘黑色。

属暖性上层鱼类,以中上层小鱼为食,夏秋季结群向近海洄游,一部分进入渤海产卵,秋汛常成群索饵于沿岸岛屿及岩礁附近,为北方海区经济鱼之一。盛渔期在5至6月份。每年的4~6月份为春汛,7~10月份为秋汛,5~6月份为旺季。捕捞方法为流网、机轮中层拖网及钩钓等。鲅鱼居上层,游速快、喜活食,其肉质细腻、味道鲜美、营养丰富,每百克鱼肉含蛋白质19克、脂肪2.5克。除鲜食外,还可加工制做罐头或咸干品。民间有“山有鹧鸪獐,海里马鲛鲳”的赞誉。胶东人对鲅鱼食用颇有创意,有久负盛名的系列知名小吃,如鲅鱼水饺、鲅鱼丸子、鲅鱼烩饼子、熏鲅鱼、红烧鲅鱼等,已成青岛、烟台、威海一带的名吃,外地游客慕名来此,以争相品尝为快。尤其是鲅鱼氽丸汤,那真是丸香、汤鲜、味美的海鲜一绝,更是四季皆宜、老少皆宜、中外皆宜、食客同赞的人间美食。此外,鲅鱼还具有提神和防衰老等食疗功能,常食对治疗贫血、早衰、营养不良、产后虚弱和神经衰弱等症会有一定辅助疗效。

北太平洋西部、中国产于东海、黄海和渤海。主要渔场有舟山、连云港外海及山东南部沿海。

蓝点马鲛属中上层回游性鱼类,每年的五月中旬——十月下旬结伴回游至沿海水域觅食,其中九月中旬——十月中旬为旺食期,常游弋于岸边及浅海区追食。 蓝点马鲛 蓝点马鲛属肉食性鱼类,其性情凶猛,大多游弋于海面下1~3米处捕食小鱼、小虾及甲壳类动物。但也有时潜底追杀小鱼。其体形因为其流线“造型”,少有水阻,游速奇快。其银光闪亮的身体在觅食时常窜出海面,似猎豹般截杀猎物,常令上层水面上的较小鱼类猝不及防而丧生其利齿之下。钓蓝点马鲛在大连地区又俗称:“甩鲅鱼”,因其施钓时钓感刺激,吃钩迅猛,比起一般海鱼个体较大,并且在钓技上较其他鱼类钓法要求更高,是钓友展示其钓技高低一种标志,故深受广大沿海钓友钟爱的一种主钓“对象鱼”。
蓝点马鲛最大者可长达一米以上,重近10千克。只是由于捕捞技术及近海各种网具的“现代化”,“科学化”的程度愈来愈高,近海沿岸水域已难见大鱼踪影,只剩下体长30——50厘米,体重在400——1500克之间,或更小些的蓝点马鲛(鲅鱼)。主要钓法多采用矶礁的“远投拖钓”、近些年来兴起的“路亚钓”、“罗圈手甩线钓”以及船钓的“拖拽钓”、养殖筏区的“悬浮钓”等。(因“罗圈手甩线钓”系较原始的一种钓法,80年代后期以后除周边海岛基本已弃用,故在此不再赘述)。
蓝点马鲛除因觅食凶猛、钓感刺激外,作为一种常见的食用经济鱼类,因其肉质鲜美紧密,色白细腻而多成餐桌佳肴,深受人们喜爱。胶东沿海的知名小吃如“鲅鱼水饺”、“鲅鱼丸子”、“鲅鱼烩饼子”、“五香鱼段”、“熏鱼块”等均出自此鱼,使人垂涎不已。
矶钓采用远投拖钓钓法是比较实用且有着原始形态拟饵“路亚”钓的一种方法,在大连地区已有近 蓝点马鲛 百年的历史。因其钓具配备简单、方便灵活,上钩率较高而为广大钓友所喜爱。
钓具配备
30号左右3.9米~4.2米远投竿一支,匹配6000型左右旋压式绕线轮(过去多为两插竹制硬竿,齿形盘轮、主线0.6毫米)。如西玛诺AERLEX5000~6000型。主线4号远投编织线,100米即可。子线过去均为使用0.2——0.3毫米钢丝绳一段,长约400毫米左右。现多采用1米左右小径涂层编织钢丝线或专用防咬前导线。钩为大型钩,长度120毫米,钩门宽度为30毫米,钩把处用粗约10毫米、长约60毫米的铅灌制而成,呈流线型,(渔具店有卖,也可用2~3毫米直径白钢焊条自制)钓饵为似饵,大多用河豚鱼皮或白色塑胶布制成,用细绳绑于钩后部铅把前部,把钩藏与其中。
钓具匹配
主线穿过竿体所有导环,线端接大号8字转环。再将长约一米的带钩子线系紧于8字环内即可。
钓点与钓法
选择风力在4级~5级左右(最好是西南风或西北风),大潮汐的早晚时间,即太阳升起或拂晓,或傍晚太阳落山的黄昏时机。钓位选择在水质清澈,有浪花翻滚,反拨流泡沫带的礁头突兀于海面的地方。站位必须有回旋余地且不妨碍抡竿。抡竿抛线,尽最大力量将拟饵抛向远处海面,当整套钓组溅落后于水面下约二米左右,立即将竿头下压指向海面,同时以均速摇动渔轮手柄收线,使似饵形似小鱼游弋,要注意随时观察海面,因蓝点马鲛喜食一种长约150毫米,粗约25毫米(胸鳍部分)体色银蓝,俗称“鲅鱼食”的小鱼,当蓝点马鲛追杀时,会四处逃窜,成群跃出水面,有时常慌不择路冲上海边和礁头。且蓝点马鲛成群在追杀时也常蹦出水面截食。钓友称此现象为鲅鱼“起排子”。意为有大群的蓝点马鲛聚集海面或上层水面疯狂觅食。此时,要立即将钓组抛出回摇收线,立时便可获鱼,且百发百中。但遇此种情况时,千万要注意一点,即抛线时只允许抛向小鱼逃窜方向的前方及左右侧,绝不可抛向后方或中间。因为这段距离为蓝点马鲛追食的中间部位,一旦将线抛于此间,由于钩、饵的声响较大,必将蓝点马鲛鱼群惊散,俗称“鱼炸了”。除功亏一篑外,弄不好还招至邻近钓友的呵斥。
蓝点马鲛的截食吞钩动作主要有两步,一是一口吞下,二是掉头急游离开原地。故在钓竿和手感上反应为:匀速回线中突然受阻,并伴有大力向后拽去,同时竿体受鱼掉头急游而左右摇动。因为蓝点马鲛往往在松线的瞬间用“洗鳃“的方法将钩甩掉而逃之夭夭。线收至近前,用大号抄网抄于岸上即可。如小于500克直接提出水面,拎于岸边。因蓝点马鲛牙齿尖利,摘钩时要多加小心,具体方法是:手执钩把部分,顺势将钩用力推向鲅鱼口内,然后横压,使钓钩改变方向,即可将钩摘出。但建议还是用专业的鱼钳摘钩较为安全。
优缺点
优势:钓具匹配简单,钓点选择范围比较广,且钓法手感激烈,易于操作。
缺憾:因钓位突兀于海面,紧靠水边,安全系数小,应注重加强防滑,防浪措施。
采用路亚钓法施钓蓝点马鲛,因其钓具简捷,钓法刺激,自上世纪90年代后期开始至近些年来在辽东半岛较为盛行。
钓具配备
2.7米~3.0米专用10~30克路亚竿一支,不同克数10~30克浮水(FLOAT)、沉水(SINK)路亚数枚或“匙型铁板”。匹配旋压式绕线轮如西玛诺3000~4000型。主线为低塑性(LoworZeroMemory)专用路亚线。子线一般为100厘米左右长“尼龙前导线”或裹塑钢丝线。
钓点与钓法
钓点选择基本与矶礁钓法相同,只是选择在水质清澈,有浪花翻滚,反拨流泡沫带的礁头突兀于海面的地方,最好是流水流经的交叉点更好。站位必须有回旋余地且不妨碍抡竿。抡竿抛线,尽最大力量将路亚抛向远处海面的泡沫带外延,当路亚溅落后于水面下,立即将竿头下压指向海面,同时以均速摇动渔轮手柄收线,并通过不时的扬竿回带使路亚在“游动”中似受伤小鱼般挣扎游弋,以诱蓝点马鲛追杀。如线收至近前无鱼上钩,需再将钓组抛出,如前番般操作收线,直至诱鱼截食吞钩。同时,要注意随时观测海面,以随时调整路亚克数和采用或沉水或浮水型。但要注意,当近岸时无鱼中钩,应快速收线以免挂底损失路亚饵。毕竟一只好的路亚价格不菲。
优缺点
优势与缺憾:略同远投拖钓。只是因钓具调性更好,而施钓起来会更加刺激、有趣。
拖拽钓蓝点马鲛俗称“拖鲅鱼”。通过船动力驱动的拖带,使沉浮于水面下的诱饵似小鱼快速游动,以诱导蓝点马鲛随饵追逐、吞饵,有“诱领”之意。
钓具配备
专用船钓100号左右竿一至二支,匹配横向式渔轮。主线编织线6号以上,线长200米左右。钓饵同矶礁远投。脑线0.3毫米钢丝绳长500毫米左右(渔具店有卖,或用淡水串钩钢丝线替代,但需剪掉其栓钩支架)。也可用一种腹下及尾部带锚钩的较大路亚饵;但使用时需在饵前的脑线前端加50克左右的通心铅坠。
钓位选择及钓法
选择在风力2-3级的天气出海,钓位应选择在海中礁岛的半径50米左右的周围。潮汐要求,潮水下落二分之一(即半潮,又叫“落半架”)或“回流”(指潮水下落至最低点后半小时左右,潮水刚开始上涨时间)以及高潮后的“回流”期的这一段时间施钓。
具体钓法
需选用小马力渔船。用大船马力太大,船尾的双螺旋桨翻起的浪花较大,并且航迹较长,面积较大,易使鲅鱼受惊而逃逸。最好采用雅马哈小型船用挂机,一般8马力左右均可。航速大约每小时8节左右。当小船驶入钓点后,船速放慢至4-5节左右,将钓竿抛出线、饵后,继续向水中放线,大约离船80~120米时,小船提速至6节左右,使船后钓线略拉直并带起钓饵至海面下一米左右,然后将钓竿插于船侧专用卡座内或擎在手中,保持竿捎与海面的角度要形成45度夹角,以便于观察。此钓法蓝点马鲛截食吞钩主要反应在竿体上。当中鱼时,竿稍突然上下急速点动,然后钓竿整体大弯,此时为起鱼最佳时机,应及时将竿后扬顿住,船速应立即放慢或停驶,然后快速摇动手柄回线。因此种钓法多为大蓝点马鲛上钩,如鱼太大,应调整好泄力放线。因钓场范围大,且离岸较远,无任何障碍物,可使鱼挣扎要线,但需注意保持钓线始终处于蹦紧状态,以防大鱼“洗鳃”时甩掉钓钩。直至鱼不再要线,再摇轮收线,反复几次,大蓝点马鲛必精疲力尽被乖乖拖至船旁,用大抄网或刨钩将那一份得意捞于船舱。
优势:此种钓法可谓最悠闲放松的一种钓法。放线入海,安坐船中,眼观蓝天白云,耳闻涛声鸥鸣,间或瞄一眼竿捎,只等鱼儿上钩,当钓竿抖动,握竿入手,与鱼周旋,又倍加精彩刺激,故令广大钓友深恋此法。多年前,大连钓区一钓友,曾在“偏岛”南部海域用此法钓得一条长达一米,重约9千克的大鲅,一时传为美谈,而使众钓友“趋之若鹜”纷纷前往该海域一试。
缺憾:对天气状况要求比较严,且身居深海之中,安全系数相对要小一些。故用此法施钓必须注意收听天气预报,在绝对保证安全的前提下方能出海。同时要多备饮水、食物及必要的救生装备,以免天气突变,小船回撤不及而造成不必要的伤害。
悬浮钓鲅鱼的范围只限定在贝类养殖区内(如扇贝养殖)钓一些个体较小的蓝点马鲛,一般个体重量均在400克~750克左右。出钓时机掌握在每年的九月中旬至十月的上旬这一阶段。
钓具配备
30号硬调海竿或50号船竿一支,长度最好在3-3.6米之间,配旋压式绕线轮。主线5号左右 蓝点马鲛 ,脑线仍采用钢丝细线,只是略细一些,0.2毫米左右即可。因蓝点马鲛牙齿锋利,一般尼龙钓线很容易被其利齿咬断。以上其他钓法也是同理。脑线长约200毫米。钓钩用长海牌301号或22号钩,钓饵需用小活鱼(可就地取材,从养殖贝类的网箱里获取),或大泥鳅,但效果比小活鱼稍差。另备大号浮漂一支,太空豆两枚及略轻于浮漂浮力的铅坠一个。
具体钓位及钓法
钓位选择在贝类养殖区内,同时要有养殖工人现场操作的区域。因每年这段时间,扇贝等贝类的网箱经过一个夏季的悬浮,其网箱的网眼大部分被海泥及海中杂物糊满,影响贝类的透气透光及生长,故养殖工人需在此时将网箱提离水面,用木制器械敲击其网周,然后数次放于海中涮洗,使其杂物脱落以露出网眼。因其各种“污物”包括寄生在网壁上的各种小虾,小鱼和浮游生物落于海中,形成小范围“浑水”,诱来各种小型鱼类觅食,如:“鲅鱼食”(鳀鱼),“大棒”(一种上层小型尖嘴鱼学名鱵鱼)等。同时也必引来猎食的蓝点马鲛(鲅鱼),形成一种似“螳螂捕蝉,黄雀在后”的连环状态。此时为施钓的最佳时机。
具体钓法
将小船驶入“浑水区”,将钓线拉出于等竿长,在钓线2米处夹上两颗太空豆,穿上浮漂(浮漂必须是底部有孔的那种),再穿上通心铅坠,在线头处栓牢一连接环,再将栓有快速别针和钓钩的钢丝脑线与连接环相连,完成匹配。取一鲜活小鱼,浅挂于鱼背部(切记不可挂深,以免影响鲜活),将竿平伸钓线垂直放入可见小“鲅鱼食”或“大棒”游动处,略回收钓线,待浮漂立稳,水下钓饵保持在离海面2米处游动,手执钓竿,静侯佳音。同时注意观察水面,当小“鲅鱼食”等小型鱼突然四处乱窜,并蹦出水面时,必是蓝点马鲛(鲅鱼)来临开始追食的讯号,应“严阵以待”随时注意浮漂动向。当浮漂左右摆动,不可提竿,此时多为所挂活饵游动或鲅鱼擦身而过所致,当浮漂突然斜向“黑漂”,同时传至竿体有抖动感时,应立即扬竿,即可钩住并顺势挑于船舱之中。因此种钓法钓获多为30厘米左右的小蓝点马鲛,一般钓竿均可承受其400~750克的重量,不必有折竿之忧,均可直接提竿。
地人施钓时不用浮漂,也不用铅坠,只凭感觉将鱼饵下沉至半水施钓。较之笔者采用悬浮钓法并加铅坠与太空豆,将钓饵控制在蓝点马鲛觅食泳层的钓法效果较差,常因提竿时机把握不准而造成脱钩跑鱼。仅隔三天,笔者带另一钓友二次直赴此海域,采用“悬浮钓法”仅4个多小时就获鱼60余条近40千克。此法随后在当地被普遍采用,只是因其钓组具体匹配各有差异而获鱼不同。
优缺点
优势及缺憾:此种钓法简单易学,且匹配得当,上钓率几乎百分之百,但钓位划定较繁杂,需各种因素同时具备。唯此,此种钓法只能在浅海贝类养殖区实施,其他海域是否可行有待于实践检验。
蓝点马鲛
钓具配备
选用长度1.8米或2.1米的30克左右的路亚竿一支,匹配旋压式绕线轮如西玛诺3000~4000型,或双轴专业路亚绕线轮(俗称“鸭嘴轮”)。如SHIMAMO-MG1000。主线为低塑性(LoworZeroMemory)专用路亚线。子线一般为120厘米左右长“尼龙前导线”或裹塑钢丝线。铁板路亚30~50克不等数枚。
钓组匹配
主线穿过所有导环,线端系一小号或中号8字环,或采用“电线结”法直接与子线相连,再接于“路亚”。
具体钓法
钓点选位以鱼群经常游弋出没的岛屿矶礁的外延海域为好。抡竿抛出钓组不必太远,待“铁板”带动主线接近水面下8~10米左右,采用扬竿“抽动”的手法间歇收线。施钓同时注重“抽动”过程要有数秒时间的停顿后再接着“抽动”收线,直至收线至水面。如不中鱼,仍像前番作钓直至中鱼。
铁板施钓蓝点马鲛的截食吞钩动作主要有两步,一是突然截口,二是掉头急游离开原地。故在钓竿和手感上反应为:回线过程中突然受阻,竿体大弯,如同挂底并伴有大力向下拽去。同时竿体因惊鱼挣扎急游而左右上下摇动。此时应立即扬竿,使钩深扎鱼颌之上而顿住。同时摇动手柄并慢慢将竿体仍压向水面,保持竿体免遭受力过大而折断。并且要保持钓线绷紧,绝不能有松线现象,以免蓝点马鲛“洗腮”脱钩。2006年10月笔者在长海格仙岛采用船上“铁板”钓法施钓蓝点马鲛,上午10点左右,在岛西高排筏地便“抽”中一尾多年未见的近两千克的大鱼,一时全岛轰动。
优势及缺憾:此种钓法简单易学,只有匹配得当,上钓率几乎达百分之百。但此钓法需不断的抽动收线,比较出力受累、需有耐心与恒心。且一旦掌握不好常出现挂底丢饵现象。
另外,过去船上钓取蓝点马鲛还有一法,即一条小船通过二人合作,一人摇橹,一人站立船头观察鱼情,当发现鱼情时,摇橹加速,当追至钓组能达到蓝点马鲛群外延位置时,可改为一人掌橹,一人钓鱼。技术好的还可以一边摇橹一边甩线施钓。但此种方法已近乎失传,在此不再赘述。
蓝点马鲛鱼系温、热带海洋性鱼属,对水温,水质要求较高,凡严重污染海域难见其踪,大连地区每年从6月上旬开始就有蓝点马鲛在沿海出现,此时当地人称为“春鲅”,其回游群体密度较小,并多在浅水海域(水温较高区域)觅食,个体较小。从9月上旬至10月中旬,成年蓝点马鲛回游数量及密度较大,个体大多重600克以上,且觅食热情高涨,吞钩迅猛。出钓时段应选择在拂晓开始至日出和夕阳西下至日暮时间,中午时段很少觅食。特别是农历八月十五前后,是施钓蓝点马鲛的最佳季节,此段时间的清晨与傍晚,沿海礁头大多人满为患,抡竿抛线,此起彼伏。鱼上钩时钓友的兴奋及间或那一道道银亮的光影坠落于船头、岸边,礁头不失为最美丽的一道风景线。

蓝点马鲛每百克肉含蛋白质19克多、脂肪2.5克,肉坚实味鲜美,营养丰富。除鲜食外,也可加工制做罐头和咸干品。其肝是提炼鱼肝油的原料。蓝点马鲛是出口品种。输往国别和地区:日本,香港、澳门。出口口岸:辽宁、河北、大连、山东、江苏、浙江、福建。
【药 名】:蓝点马【拼 音】:LANDIANMAJIAO
【来 源】:为鲅科动物蓝点马鲛的干燥鳃。
【功 效】:补气平喘。
【主 治】:治疗肺虚体弱之咳喘。
【性味归经】:甘、咸,平。肺经。
【用法用量】:内服:煎汤,5一10克。
【别 名】:鲅鱼、马鲛鱼(《中国药用动物志》)
【动植物资源分布】:本种分布于我国渤海、黄海、东海。
【药材的采收与储藏】:四季捕捉,取鳃晒干备用。
【拉丁名】:蓝点马鲛Scomberomrus niphonius (Cuvier et Valenciennes ).
【考 证】:始载于《中国药用动物志》。
蓝点马鲛鱼肉质坚实,肉呈蒜瓣状,肉多刺少,色泽微红,味鲜美。适于烧、炖、蒸、煎、炸、烤等烹饪 蓝点马鲛 方法。
禁忌:鱼体不新鲜时极易造成组胺中毒,故不能食用。
药 名:蓝点马鲛
来 源:为鲅科动物蓝点马鲛的干燥鳃。
功 效:补气平喘。
主 治:治疗肺虚体弱之咳喘。
性味归经:甘、咸,平。肺经。
用法用量:内服:煎汤,5一10克。
药材的采收与储藏:四季捕捉,取鳃晒干备用。
考 证:始载于《中国药用动物志》。
1. 其肉质细腻、味道鲜美、营养丰富,含丰富蛋白质、维生素A、矿物质(主要是钙)等营养元素
2. 有补气、平咳作用,对体弱咳喘有一定疗效
3.还具有提神和防衰老等食疗功能,常食对治疗贫血、早衰、营养不良、产后虚弱和神经衰弱等症会有一定辅助疗效。

白腹鲭是鲭科、鲭属鱼类。体纺锤形,稍侧扁;背缘和腹缘浅弧形;尾柄细短,尾鳍基部两侧各具2条小隆起脊…




蓝点马鲛,鲭科,鲅鱼的1种。体长而侧扁,体色银亮,背具暗色条纹或黑蓝斑点,口大,吻尖突,牙齿锋利,…




炸弹鱼,英文名:Bullet mackerel,又名鲣鱼, 炸弹鱼属金枪鱼科鱼类。…




大西洋蓝鳍金枪鱼:是鲭形目、鲭科、金枪鱼属的海洋动物。体长可达3米,…




白腹鲭是鲭科、鲭属鱼类。体纺锤形,稍侧扁;背缘和腹缘浅弧形;尾柄细短,尾鳍基部两侧各具2条小隆起脊…




炸弹鱼,英文名:Bullet mackerel,又名鲣鱼, 炸弹鱼属金枪鱼科鱼类。…




大西洋蓝鳍金枪鱼:是鲭形目、鲭科、金枪鱼属的海洋动物。体长可达3米,…




蓝点马鲛,鲭科,鲅鱼的1种。体长而侧扁,体色银亮,背具暗色条纹或黑蓝斑点,口大,吻尖突,牙齿锋利,…
























