






黑鲷是鲈形目鲷科棘鲷属的一种硬骨鱼,俗称海鲋、青鳞加吉、青郎、乌颊、牛屎鱲、乌翅、黑加吉、黑立、海鲫和铜盆鱼等。体呈长椭圆形,侧扁,头中大,吻钝尖。口小,上、下颌等长;体被中等大的弱栉鳞,体侧通常有5~7条黑色条纹。背鳍棘坚硬,臀鳍第二鳍棘尤甚;体背部为灰黑色,侧线起点处有黑斑点,体侧常有数条不明显的暗褐色横带,腹部银白。黑鲷分布于中国、日本和韩国等地的沿岸、港湾及河口,属内湾性鱼类,在中国,以黄海、渤海数量较多。黑鲷为浅海、底层鱼类,喜栖于沙、泥底或多岩礁的清水中,为广温、广盐性鱼类,对于环境适应能力较强。黑鲷为杂食性鱼类,在自然海区,以软体动物的蛤类、小鱼虾类为主食,有时也吃海藻,人工养殖可采用低值鱼虾贝类或配合饵料投喂。黑鲷具有很强的繁殖力,雌雄同体,雄性先熟,怀卵量达200万~300万粒以上。黑鲷是名贵海产鱼之一,全体药食兼用。具有健脾利水、补气活血的功效;用于脾虚水肿、小儿脾胃不




罗汉鱼,是鲈形目慈鲷科慈鲷属的鱼类。其体形侧扁,体长与体高基本相等;头额突出,眼圈朱赤,…




攀鲈,是鲈形目攀鲈科攀鲈属一种。又称太阳鱼。其体侧扁,口次上位,…




小丑鱼是鲈形目雀鲷科小丑鱼属鱼类的统称。体长仅5—6厘米。身体色彩艳丽,…




角镰鱼属镰鱼科,广泛分布于印度-太平洋及东太平洋区,自非洲东部到墨西哥,北至日本南部及夏威夷群岛,…




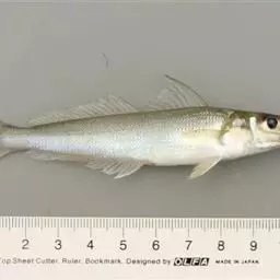
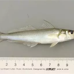
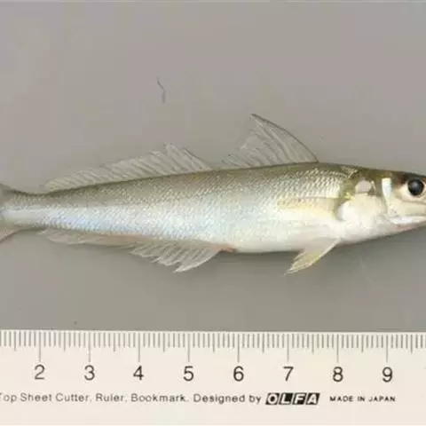
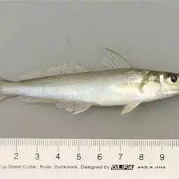
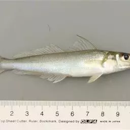
多鳞鱚,Sillago sihama ,鱚科鱚属的一种鱼类。主要分布于印度洋-西太平洋的热带海域,…




鳜鱼,汉语拼音:guì yú是一种家常的可以食用的鱼类,又名菊花鱼、鳜花鱼、桂花鱼、桂鱼、鳌鱼、脊…




非洲王子是一种如同鲈鱼一般的典型的鲈形目的体型的鱼。小型慈鲷,成年个体10~12cm,如同鲈鱼一般…


















