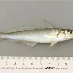
金鲳鱼属硬骨鱼纲、鲈形目、鲹科、鲳鲹属,学名卵形鲳鲹,俗名黄腊鲳、金鲳。该鱼体侧扁,卵圆形,臀鳍与第二背鳍长度略相等。头侧扁,尾柄细,体披小圆鳞,不易剥落。金鲳鱼为我国南方沿海名贵海产经济鱼类之一,其鱼肉为白色、细嫩、鲜美可口,在广东、广西、福建、台湾、海南等地人工已经育苗成功,养殖技术较为成熟。
基本信息

体呈卵形,高而侧扁体长为体高的1.7~1.9倍,尾柄短细,侧 金鲳鱼 扁,头小,高大于长,吻钝,前端儿呈截形。口小,微倾料,口裂始于眼下缘水平线上。青部监青色腹部银色,体侧无黑点奇鲭边缘浅黑色,胸鳍较宽,短于头长尾鳍叉形,头部除眼后部有鳞以外均裸露,体和胸部的鳞片多少埋于皮下,第二背献与骨铺有低的鳞鞘,侧线前部精星波状弯曲。

金鲳鱼耐低温的能力不强,适温范围为16~36℃,最适生 金鲳鱼 长水温22~28℃,水温降至16℃以下时,停止摄食,14℃以下会死亡,在9~10℃的水温下可短时间正常生活;金鲳鱼在咸淡水中都可生活,对盐度适应性广,适应盐度在2‰~23‰,建议盐度一般不低于12‰,而盐度太高则会出现生长缓慢,pH的适应范围为7.6~9.6。

分布于印度洋、印度尼西亚、澳洲、日本、美洲的热带及温 金鲳鱼 带的大西洋海岸及我国黄渤海、东海、南海。

选择在有一定挡风屏障或风浪相对较小的水域,或水流畅通、水体交换充分、不受内港淡水和污染源影响、水质清爽、水质环境相对稳定的海区。水深一般要求在10~15m(指落潮后),深水网箱可以设置在水深20m以上的海区,一般要保证在最低潮时,网箱底到海底的距离至少应在2m以上。为保证养殖的成功,养殖海区的水质应满足以下条件:盐度20‰~30‰,水温18~32℃、酸碱度7~9,透明度8~15m、溶解氧5mg/L以上。
养殖金鲳鱼的网箱一般由聚乙烯材料制成的网线编结而成。网目为2.5~3.0cm,网箱规格可以根据鱼苗的大小及实际情况调整,从3m×3m×4m~4m×4m×4m不等。在深海区,则可以使用直径达20m以上由高强度聚乙烯(PE)制成的深水网箱进行养殖。根据网箱大小以及潮流和风浪的不同情况,可以单个网箱单点固定,或多个网箱组成网排,多个网箱组成的网排应保持适宜的间距,一般要求在3m以上,以保障水流的畅通。
放苗时间在每年的4~5月份,放养规格为2~3cm,当水温回升并稳定在18℃以上时,即为鱼种的适宜投放时间。金鲳鱼的放养密度应根据海区水质环境条件、养殖技术和日常管理水平、饵料来源情况及产量和规格要求指标等情况来灵活掌握。一般来说,如果要早日收获,体长10cm左右的鱼苗,如果不急于收获,可适当加大养殖密度,鱼苗放养前要进行消毒,杀灭病原菌及寄生虫;放养后要加强鱼苗早期的营养,增强抗应激能力。
主要有两种类型的饵料,一是鲜杂鱼,二是人工配合饲料。因金鲳鱼嘴巴较小,鲜杂鱼一定要鲜并搅碎,防止鱼骨卡住喉咙而被饿死。在6~8月份日投饵量为鱼体重的20%以上,每天投喂两次,在其它时间可以根据情况适当降低投饵量。为加快生长速度,可加大日投饵量为鱼体重的40%左右,投喂次数增加到3~4次甚至5次,饲料要求选用金鲳鱼专用优质配合饲料。
网箱养殖的日常管理要做到“五勤一细”,即勤观察、勤检查、勤检测、勤洗箱和勤防病,耐心细致投饵,以及防患大风、污染、人为等意外事故发生。要经常对养殖基地进行巡视,注意观察鱼群活动情况及水色、水质等情况。一般每天早、中、晚都应该测量水温、气温,每周应该测1次pH值,测2次透明度。每隔15~20天左右抽样测量体长和体重,以掌握其生长速度、规律等情况,便于确定饵料的投喂量,同时检查金鲳鱼体是否有病害发生。

1、症状:病鱼体表出现直径0.5mm~1mm的白色斑点,粘液增多,鳞片脱落,厌食,游动缓慢。小瓜虫在腮部寄生破坏腮小片,致鱼呼吸困难,直至死亡,流行水温为18~25 ℃,流行季节为夏季和秋季,致病体是刺激隐核虫。
2、防治方法:
(1)用淡水浸浴3~5分钟。
(2)每1kg饲料配合300~400mg原虫净,拌饲投喂,一天一次,连用5~7天。
(3)一次量,每1kg饲料配合20rag浓度为2%的溶菌酶盐,拌饲投喂,一天一次,连用7天。
1、症状:病鱼体表失去光泽,食欲不振,游动迟缓,有的鳍条溃烂,体表和鳃部粘液增多,局部鳞片脱落,一侧或两侧眼球突出、发炎、坏死或脱落,游泳失去平衡,打转,大多发生在春、秋两季,致病体是指环虫。
2、防治方法:用淡水浸浴3~5分钟。
1、症状:主要是病鱼常浮于水面,游泳迟钝,呼吸困难,头部皮肤、鳍及鳃上粘液分泌增多,表皮出现不规则的白斑点,严重时白斑会连成一大片,食欲不强,有时会狂游几下向网衣上擦身,死亡时鱼胸鳍向前僵直,几乎紧贴于鳃盖上,此病多生于高温季节,特别是5~6月份。
2、防治方法:
(1)淡水浸浴,3~5分钟。
(2)硫酸铜,一次量,用量为2mg/L水体,浸浴,2小时,1天1次,连用2天。
(3)40%甲醛溶液,一次量,用量为200~250ml/L水体,浸浴,20分钟,1天1次,连用2天。
1、病原:为纤毛虫类的车轮虫寄生于鱼体表、鳃、鳍等部位引起。
2、症状和诊断:鱼体变黑,不摄食,游动无力,浮于水表面,体表面粘液分泌过多,白浊,鳃上寄生虫数量多时,鳃组织坏死,病鱼呼吸困难。诊断时,刮取体表粘液或剪取部分鳃丝压片镜检,一个视野中车轮虫数量较多时即可确诊,流行高峰季节为5~8月,水温20~28℃。
3、防治措施:
(1)淡水浸浴,3~5分钟。
(2)每1kg饲料配合300~400mg原虫净,拌饲投喂,1天1次,连用5~7天。
(3)一次量,每1kg饲料配合400~800mg恩诺沙星粉,拌饲投喂,1天1次,连用5~7天。
1、症状:全年都有发生,流行高峰期为4~10月,病鱼离群独游,鱼体发黑,食欲减退,甚至完全不摄食,肠壁局部充血,发炎,肠腔内没有食物。肠内黏膜脱落,出血,肠壁弹性较差,肠内有大量淡黄色黏液,把病鱼头部拎起,黄色黏液从肛门流出,肛门红肿,有时腹部膨大,腹腔内积有淡黄色腹水。
2、防治方法:
(1)一次量,每1kg饲料配合20mg的大蒜素和500mg的食盐,拌饲投喂,1天2次,连用3天。
(2)一次量,每1kg饲料配合30g肠鳃灵,拌饲投喂,1天2次,连用3天。
(3)一次量,每1kg饲料配合7g甲砜霉素粉,拌饲投喂,1天1次,连用3~5天。
1、症状:病鱼活力差,摄饵不良,身体瘦弱,体色发黑。病鱼游动异常,或随水无力流动,或腹部朝上,浮于水面作盘旋游动,或在水中狂奔、狂游,脑、眼、口部充血发红,眼球脱落,所有种类的病鱼最后浮上水面或狂奔而死。
2、防治方法:
一次量,每1kg饲料配合8g三黄粉一青粉、6ml病毒净、4g三病康和5g多维素,拌饲投喂,1天1次,连用7天。
1、症状:金鲳鱼食料正常,体色完好,生长正常,在背部、尾鳍部、下腹部出现明显疖疮,疖疮红肿有脓汁,严重影响鱼外观,影响售价。
2、防治办法:
在饲料里定期添加金鲳宝贝与VC三聚磷酸酯,可有效避免皮肤溃烂出现,疖疮出现后,用多种维生素混合氟苯尼考,连续投喂一星期后,可消除此疖疮。

金鲳鱼含有丰富的蛋白质、碳水化合物、不饱和脂肪酸以及微量元素(如硒、镁、钙、磷、铁)等多种营养成分,尤其是其中蛋白质的含量非常高,每100g鱼肉中就含15.6g蛋白质。
近年来,随着金鲳鱼养殖技术的不断成熟,它逐渐走上了人们的餐桌,如常见的菜品有栗子金鲳鱼汤、糖醋金鲳鱼、茄汁金鲳鱼、清蒸金鲳鱼等,市场对金鲳鱼的需求量不断加大,而供给量远远不够,这促使其价格稳中有升,因此,养殖金鲳鱼是较具发展前景的项目之一。

蓝圆鲹属鲹科、圆鲹属鱼类。体呈纺锤形,微侧扁。下颌稍突于上颌。上颌延伸至眼前缘之下方。上下颌各具一…




六带鲹,学名:Caranx sexfasciatus ,鲹科鲹属的一种暖水性中上层鱼类,著名的游钓…




六带鲹,学名:Caranx sexfasciatus ,鲹科鲹属的一种暖水性中上层鱼类,著名的游钓…




竹荚鱼,日语称:あ じ 也称马鲭鱼。广泛分布于我国沿海及朝鲜、日本沿海等水域。这种鱼为中上层洄游性…




蓝圆鲹属鲹科、圆鲹属鱼类。体呈纺锤形,微侧扁。下颌稍突于上颌。上颌延伸至眼前缘之下方。上下颌各具一…




金鲳鱼属硬骨鱼纲、鲈形目、鲹科、鲳鲹属,学名卵形鲳鲹,俗名黄腊鲳、金鲳。该鱼体侧扁,卵圆形,…




竹荚鱼,日语称:あ じ 也称马鲭鱼。广泛分布于我国沿海及朝鲜、日本沿海等水域。这种鱼为中上层洄游性…




金鲳鱼属硬骨鱼纲、鲈形目、鲹科、鲳鲹属,学名卵形鲳鲹,俗名黄腊鲳、金鲳。该鱼体侧扁,卵圆形,…
























