鲣(学名:Katsuwonus pelamis)是鲭科、鲣属下的一种鱼类。体纺锤形,横断面近圆形;吻短,前端尖;背鳍2个,第二背鳍与臀鳍均较小而低,后方各有7-8个小离鳍;尾鳍新月形;体背侧蓝黑色,腹部银白色,腹侧有4-6条明显黑色纵带;最大体长100厘米,一般常见50-60厘米。
分布于太平洋、印度洋、大西洋热带和亚热带海域,中国的南海和台湾海域;大洋性下层鱼类,游泳速度快,常集群于下层;以鱼类、甲壳类及软体动物为食。
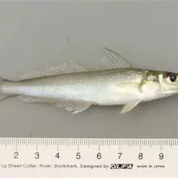
(概述图参考资料: )
基本信息

鲣,体纺锤形,横切面近圆形,幼鱼横切面为侧扁,背缘和腹缘圆钝,浅弧形,尾柄细短,平扁,两侧中央各具一发达的中央隆起靖,尾鳍基部两侧各具2条小的侧隆起靖。叉长为体高4.0-4.3倍,为头长3.1-3.4倍。头长为吻长3.3-3.6倍,为眼径5.9-7.2倍。头中大,稍侧扁。吻尖,大于眼径。眼较小,位近头的背缘。眼间隔宽,微突,约为眼径2倍。鼻孔每侧2个,分离;前鼻孔小,圆形;后鼻孔裂缝状,位于眼前方。口中大,前位,斜裂。上下颌约等长。上颌骨不为眶前骨遮盖,后缘伸达眼前缘下方。两颌各具一行细小尖锥牙;犁骨、腭骨及舌上无牙。舌中部两侧各具一个三角形皮瓣。鳃孔宽大。前鳃盖骨和鳃盖骨后缘圆形,光滑,无棘。鳃盖膜分离,不与峡部相连。
体在胸甲部被圆鳞,其余部分均裸露无鳞,在胸鳍基部及上方附近的鳞片特别大,且大部分止于背鳍第十一鳍棘下方,仅后面数行小鳞沿侧线向后伸延,止于背鳍第一小鳍下方。侧线完全,沿背侧延伸,在第二背鳍起点下方呈波形弯曲,伸达尾鳍基。
背鳍2个,紧相邻;第一背鳍由细弱鳍棘组成,前部鳍棘高于后部鳍棘,第一和第二鳍棘最长,约为头长之半,其余绪棘向后渐短,各鱨棘平卧时可收折于背沟中,第二背鳍小,起点距第一背鳍起点较距尾鳍基为近,后方具8个分离小鳍。臀鳍小,与第二背鳍同形,起点在第二背鳍起点的稍后下方,后方具8个分离小鳍。胸鳍小,略呈三角形,中侧位。腹鳍小,位于胸鳍基底下方,具2腹鳍间突腹鳍间突短于腹鳍长的1/2。尾鳍新月形。成体背侧蓝黑色,腹部银白色,腹侧具4-5条黑色纵带。

喜好清澈的温暖的表层水域(15-30℃),最深可达260米。鲣平时栖息于水深30米以上、盐度34‰以上、水温20℃以上、水色澄清的暖水海区。

鲣有一个专门的热交换系统,可以使它们的体温保持在周围水温以上。
鲣为大洋性中上层洄游性鱼类。游泳速度敏捷,游泳力很强,可达20千米/小时,常在海上追逐鱼群。不趋光。春季随暖流势力的增强,水温升高,鱼群由南向北洄游,在良好天气时,经常起浮。喜食鳀、沙丁、头足类、甲壳类等,主要在黎明和黄昏进食。是大型中上层鱼类和鲨鱼的重要猎物。在西大西洋通常发现与黑鳍金枪鱼(Thunnus atlanticus)种群混合在一起。

分布于太平洋、印度洋、大西洋热带和亚热带海域;地中海东部和黑海没有分布。
具体分布国家及地区:美属萨摩亚、安哥拉、安圭拉岛、安提瓜和巴布达、阿鲁巴岛、澳大利亚、巴哈马群岛、孟加拉国、巴巴多斯、比利时、伯利兹、贝宁、百慕大群岛、博内尔岛、萨巴、巴西、文莱达鲁萨兰国、柬埔寨、喀麦隆、加拿大、佛得角、开曼群岛、智利、中国、圣诞岛、可可岛、哥伦比亚、科摩罗、刚果、库克群岛、哥斯达黎加、科特迪瓦、古巴、库拉索岛、吉布提、多米尼加、多米尼加共和国、厄瓜多尔、萨尔瓦多、赤道几内亚、斐济、法国、法属圭亚那、法属波利尼西亚、加蓬、冈比亚、德国、加纳、直布罗陀、格林纳达、瓜德罗普岛、关岛、危地马拉、几内亚、几内亚比绍、圭亚那、海地、洪都拉斯、印度、印尼、伊朗伊斯兰共和国、爱尔兰、意大利、牙买加、日本、肯尼亚、基里巴斯、利比里亚、马达加斯加、马来西亚、马尔代夫、马耳他、马绍尔群岛、马提尼克岛、毛里塔尼亚、毛里求斯、墨西哥、密克罗尼西亚联邦、摩纳哥、蒙特塞拉特岛、摩洛哥、莫桑比克、缅甸、纳米比亚、瑙鲁、荷兰、荷属安的列斯群岛、新加勒多尼亚、新西兰、尼加拉瓜、尼日利亚、纽埃、诺福克岛、北马里亚纳群岛、阿曼、巴基斯坦、帕劳、巴拿马、巴布亚新几内亚、秘鲁、菲律宾、葡萄牙、波多黎各、圣赫勒拿、圣基茨和尼维斯、圣文森特和格林纳丁斯、萨摩亚、圣多美和普林西比、塞内加尔、塞舌尔、塞拉利昂、新加坡、荷属圣马丁、斯洛文尼亚、所罗门群岛、索马里、南非、西班牙、斯里兰卡、苏里南、瑞典、坦桑尼亚联合共和国、泰国、多哥、托克劳、汤加、特立尼达和多巴哥、特克斯和凯科斯群岛、图瓦卢、阿拉伯联合酋长国、英国、美国、乌拉圭、瓦努阿图、委内瑞拉玻利瓦尔共和国、越南、美属维尔京群岛、英属维尔京群岛、美属瓦利斯群岛、富图纳群岛、也门。 分布范围

叉长(鱼体由吻端到尾叉最深点的长度)约于45厘米时成熟,产卵量随着体型的增大而增加,87厘米的雌性在多次分批产卵中可产生高达200万个卵。不同的鱼群成熟时的大小不同,并且在同样大小情况下也有不同的繁殖能力。靠近沿岸产卵,产卵常年在热带水域进行,但产卵季节仅限于非热带水域的夏季(6-7月)。
在太平洋暖水区内都有其仔鱼的分布,从仔鱼出现的时间和海区、结合西南季风海流的流向来看,在中国海南岛南方和东南方广大的海区中都有产卵。鲣没有集中的产卵场,产卵的水温大致在27-29℃之间。

列入《世界自然保护联盟濒危物种红色名录》(IUCN)——无危(LC)。

鲣为相当重要性的经济鱼类,可制成柴鱼、罐头及生鱼片。全世界商业金枪鱼捕获量中有60%是鲣。

白腹鲭是鲭科、鲭属鱼类。体纺锤形,稍侧扁;背缘和腹缘浅弧形;尾柄细短,尾鳍基部两侧各具2条小隆起脊…




大西洋蓝鳍金枪鱼:是鲭形目、鲭科、金枪鱼属的海洋动物。体长可达3米,…




炸弹鱼,英文名:Bullet mackerel,又名鲣鱼, 炸弹鱼属金枪鱼科鱼类。…




白腹鲭是鲭科、鲭属鱼类。体纺锤形,稍侧扁;背缘和腹缘浅弧形;尾柄细短,尾鳍基部两侧各具2条小隆起脊…




炸弹鱼,英文名:Bullet mackerel,又名鲣鱼, 炸弹鱼属金枪鱼科鱼类。…




蓝点马鲛,鲭科,鲅鱼的1种。体长而侧扁,体色银亮,背具暗色条纹或黑蓝斑点,口大,吻尖突,牙齿锋利,…




大西洋蓝鳍金枪鱼:是鲭形目、鲭科、金枪鱼属的海洋动物。体长可达3米,…




蓝点马鲛,鲭科,鲅鱼的1种。体长而侧扁,体色银亮,背具暗色条纹或黑蓝斑点,口大,吻尖突,牙齿锋利,…


















