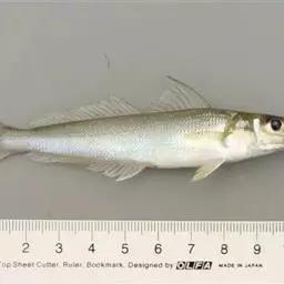
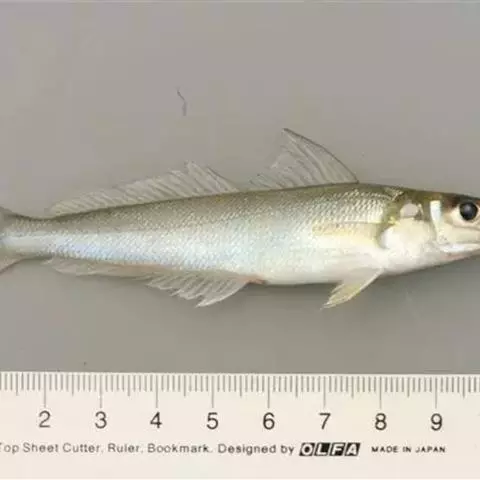
四指马鲅(学名:Eleutheronema tetradactylum)是马鲅科、四指马鲅属鱼类。体延长而侧扁。头中大,前端圆钝。吻短而圆。眼较大,位于头的前部;脂性眼睑发达,呈长椭圆形。口大,下位,口裂近水平;下颌唇不发达,只有近口角部份保留唇之构造;上下颌两侧均有牙齿,其外侧有小齿;锄骨及腭骨亦具齿。体被栉鳞,背、臀及胸鳍基部均具鳞鞘,而胸鳍及腹鳍基部腋鳞长尖形,两腹鳍间另具一个三角形鳞瓣;侧线直,且向后方缓慢倾斜,有孔的侧线鳞数为86~88;背、尾鳍的黑缘较不明显;胸鳍鳍膜为鲜明的黄色(标准体长达35厘米以上的大型鱼则为暗黄色);腹鳍的前缘黄色,其余部分为白色。
四指马鲅为暖温性海产鱼类,具广盐性,在淡水、咸淡水和海水环境中均可生活。喜栖于沙底或泥底,水深23米以内沿岸浅水区和河口,亦进入河流下游江段。食性杂,主要摄食底栖生物。幼鱼在河口栖息,以枝角类、桡足类、端足类和等足类等无脊椎动物为食;体长50毫米的幼角以箭虫、头足类虾的幼体和多毛类为食。成鱼以吓和鱼(以鲻科鲲科和石首鱼科鱼类为主)为食。广泛分布于印度洋北部和太平洋西部,自波斯湾向东分布至巴布亚新几内亚和澳大利亚北部,向北至中国和日本。在中国分布于南海、东海和黄渤海,在长江口水域见之于长江口北支和南支、崇明东滩沿岸以及杭州湾北部汇芦潮港、奉贤杯林和金山县金山嘴一带。
基本信息

背鳍Ⅷ,Ⅰ-14;臀鳍Ⅲ-15;胸鳍18+4;腹鳍Ⅰ-5;尾鳍19~21。侧线鳞 。鳃耙6~7+7~8。
体长为体高4.1~4.3倍,为头长3.7~3.8倍。头长为吻长7.4~7.8倍,为眼径长4.4~4.9倍。
体延长侧扁。头中大,前端圆钝。吻短,圆突,稍短于眼径。口大,下位,口裂微斜,向后伸达眼后缘下方。唇不发达,仪见于下颌近口角处。舌大,前端圆,游离,位于口腔前部,无舌齿牙细小,绒毛状,上、下颌牙带外露;犁骨牙丛呈三角形;腭骨牙丛呈长条形。眼较大,位于头前部,近吻端。脂眼睑发达,呈长椭圆形,遮盖眼球。眼间隔宽阔,隆起,为眼径一倍余。鼻孔每侧2个,小,相距甚近,紧靠眼前方;前鼻孔圆形,后鼻孔成裂缝状。鳃孔大。鳃盖膜不与峡部相连鳃盖条7条。前鳃盖骨后缘具细锯齿。鳃耙细长。
体被栉鳞,中等大,除吻部外余均被鳞。第二背鳍、臀鳍及胸鳍基部均被鳞鞘,除第一背鳍及胸鳍游离鳍条外,各鳍均被细鳞。胸鳍及腹鳍基部具腋鳞,长尖形;两腹鳍间有一个三角形鳞瓣。侧线平直,完整,后方伸至尾鳍下叶。
背鳍2个,分离,相距较远。第一背鳍起点距第二背鳍起点较距吻端为近;第二背鳍起点距尾鳍基底较距吻端为近。臀鳍与第二背鳍形态相似,位第背鳍第三鳍条下方,后缘均呈凹形胸鳍低位,中等长,其下部具4游离丝状鳍条,长度约与胸鳍最长鳍条相等。腹鳍约位于胸鳍中下方,短于胸鳍。尾鳍深叉形,上下叶约等长。
腹膜浅黄色。肠粗短,稍盘回,约为体长的一倍。胃呈囊状,幽门盲囊细小,约300个以上肝分2叶。无鳔。
体背侧面灰青带黄色腹部银白色。背鳍、臀鳍及尾鳍均为灰色,边缘带煕色;胸鳍后部黑色;腹鳍白色。

该种近似多鳞四指马鲅(Eleutheronema rhadinu),多鳞四指马鲅为Jordan & Evermann于1902年命名,模式标本采自中国台湾,分布于中国及日本沿岸,不见于其他海区,为中、日两国共有的地方种。主要特征:侧线有孔鳞93~95,侧线上鳞11~12,侧线下鳞16;生活时胸鳍鳍膜深灰黑色。四指马鲅(Eleutheronema tetradactyla)为Shaw于1804年命名,模式标本采自印度,分布于波斯湾至巴布亚新几内亚、澳大利亚北部广大海域,但不见于中、日沿海。主要特征:侧线有孔鳞73~74,侧线上鳞9~10,侧线下鳞13~14;生活时胸鳍鳍膜艳黄色,与多鳞四指马鲅有明显的区别。以往中外学者将产于中、日沿岸的多鳞四指马鲅(Eleutheronema rhadinu)鉴定为四指马鲅(Eleutheronema tetradactyla),这是一种误鉴。应予以纠正,产中国的应为多鳞四指马鲅(Eleutheronema rhadinu)。

四指马鲅为暖温性海产鱼类,具广盐性,在淡水、咸淡水和海水环境中均可生活。喜栖于沙底或泥底,水深23米以内沿岸浅水区和河口,亦进入河流下游江段。成鱼经常成对或单独生活,喜群栖性,常成群洄游,不集成大群,有季节洄游之习性,会随着渔期到来而大量涌现。胸鳍下部游离的丝状鳍条是其在浑水中生活的重要触觉器官。食性杂,主要摄食底栖生物。幼鱼在河口栖息,以枝角类、桡足类、端足类和等足类等无脊椎动物为食;体长50毫米的幼角以箭虫、头足类虾的幼体和多毛类为食。成鱼以吓和鱼(以鲻科鲲科和石首鱼科鱼类为主)为食,偶尔也摄食一些多毛类无脊椎动物各种饵料成分的出现频率随季节而异。

广泛分布于印度洋北部和太平洋西部,自波斯湾向东分布至巴布亚新几内亚和澳大利亚北部,向北至中国和日本。在波斯湾主要分布于巴林、伊朗伊斯兰共和国、伊拉克、科威特、卡塔尔、沙特阿拉伯、阿拉伯联合酋长国。在中国分布于南海、东海和黄渤海,在长江口水域见之于长江口北支和南支、崇明东滩沿岸以及杭州湾北部汇芦潮港、奉贤杯林和金山县金山嘴一带。 四指马鲅分布图

性成熟最小型雄性体长225毫米,雌性体长285毫米。为雄性先熟雎雄同体。3~5月在河口产卵。怀卵量36.2~356万粒。南海珠江口生殖期4~5月,海南省西海岸1~3月,黄海(江口)4~6月,属一次产卵类型。怀卵量较大。成熟卵呈球形,浮性性,卵径0.85~0.95毫米,具油球1个,油球径0.29~0.33毫米。每年5月上旬向港湾作生殖洄游,7月上旬以后向深处游去。

保护级别:列入《世界自然保护联盟濒危物种红色名录》(IUCN 2014年 ver 3.1)——濒危(EN)。

四指马鲅为次要经济鱼类,无中心渔场,产量不高。中国长江和杭州湾北部滚钩作业常有捕获,唯数量不多。肉质细嫩鲜美,可鲜销或制罐头。印度等国有养殖。

眼点丽鱼又称皇冠三间、孔雀鲈,为鲈形目,慈鲷科,丽鱼属一种淡水鱼类。…




图丽鱼是慈鲷科、图丽鱼属鱼类。体长为33厘米,最大体重约1.1千克。鱼体呈椭圆形,侧扁,头大,嘴大,…




刺鳅是合鳃鱼目刺鳅科刺鳅属鱼类,俗称钢鳅、刀鳅、石锥。体细长,前端稍侧扁,…




罗非鱼别称非洲鲫鱼、南鲫、越南鱼,是鲈形目丽鲷科罗非鱼属脊索动物。体侧扁,头中等大小,…




背鳍有5根弱小鳍棘,向后顺序增长。侧线止于尾柄前方。体侧有5条横带;第一条最窄,自背部穿过眼径达到…




蜂巢石斑鱼,Epinephelus merra ,鮨科石斑鱼属的一种鱼类。俗名:网纹石斑鱼、蜂巢格…




多鳞鱚,Sillago sihama ,鱚科鱚属的一种鱼类。主要分布于印度洋-西太平洋的热带海域,…




狐面鱼,学名:Siganus vulpinus ,又名狐狸鱼,分布于菲律宾、中国台湾、太平洋的珊瑚…


















