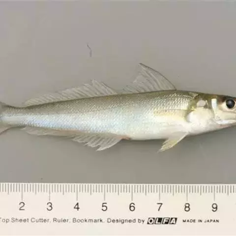
斑点鸡笼鲳,Drepane punctata (Linnaeus, 1758),帘鲷科(鸡笼鲳科)鸡笼鲳属的一种鱼类。体侧扁而高,呈菱形、背缘在背鳍起点处和腹缘在臀鳍起点处最高、口小,眼大。体被栉鳞,并伸展至背鳍与臀鳍上、体呈浅灰褐色,体侧有4~10条成横带状排列的浅黑色斑点、背鳍连续,前半部有9~10鳍棘,第4棘最长,胸鳍大,延长至尾柄;臀鳍有3鳍棘;尾鳍弧形、各鳍均呈淡豆绿色。
基本信息

分布于印度洋和太平洋、我国产于南海和东海南部,在广东省沿海产出较多。

体呈高菱形,侧扁。胸鳍很长,几乎可达尾鳍。尾鳍为双截形或双凹形。体银灰色。体侧有黑色斑点,排列成4~10条横带。背鳍鳍条部、尾鳍和臀鳍的后缘密布暗褐色的小细点。胸鳍和腹鳍色较淡。

生活于10~49米深的海域,栖息于沙泥底质的浅水区,常在港口或沙洲等地区出没,属中下水层鱼类。杂食性,以藻类及小型底栖无脊椎动物为主。

分布:
印度-西太平洋亚热带海域,包括台湾南部、北部、东北部及西部海域。

可食用鱼。
编号:
7608
拉丁目名:
PERCIFORMES
中文目名:
鲈形目
中文科名:
鸡笼鲳科
拉丁科名:
Drepanidae
中文属名:
鸡笼鲳属
拉丁属名:
Drepane
拉丁种名:
punctata
定名人:
(Linnaeus)
年代:
1758
中文名:
斑点鸡笼鲳
ogenus:
Chaetodon
原始文献:
Syst. Nat., ed.10, 1:273
模式产地:
亚洲
俗名:
鸡笼鲳,鸡鲳,花鲳,浆打鲳,臭屎鲳,龟笼鲳
生境:
暖水性鱼类,生活于近岸浅海,有时可进入河口咸淡水中
国内分布:
南海, 台湾海峡, 东海
国外分布:
印度洋非洲东岸, 东至澳大利亚, 北至中国
资料来源:
福建鱼类志[下卷]:234-235. 南海鱼类志:570







黑鲷是鲈形目鲷科棘鲷属的一种硬骨鱼,俗称海鲋、青鳞加吉、青郎、乌颊、牛屎鱲、乌翅、黑加吉、黑立、海鲫和铜盆鱼等。体呈长椭圆形,侧扁,头中大,吻钝尖。口小,上、下颌等长;体被中等大的弱栉鳞,体侧通常有5~7条黑色条纹。背鳍棘坚硬,臀鳍第二鳍棘尤甚;体背部为灰黑色,侧线起点处有黑斑点,体侧常有数条不明显的暗褐色横带,腹部银白。黑鲷分布于中国、日本和韩国等地的沿岸、港湾及河口,属内湾性鱼类,在中国,以黄海、渤海数量较多。黑鲷为浅海、底层鱼类,喜栖于沙、泥底或多岩礁的清水中,为广温、广盐性鱼类,对于环境适应能力较强。黑鲷为杂食性鱼类,在自然海区,以软体动物的蛤类、小鱼虾类为主食,有时也吃海藻,人工养殖可采用低值鱼虾贝类或配合饵料投喂。黑鲷具有很强的繁殖力,雌雄同体,雄性先熟,怀卵量达200万~300万粒以上。黑鲷是名贵海产鱼之一,全体药食兼用。具有健脾利水、补气活血的功效;用于脾虚水肿、小儿脾胃不




透红小丑,Premnas biaculeatus ,雀鲷科棘颊雀鲷属的一种鱼类。主要栖息于遮蔽的…




七星鲈是一个物种, 学名: Lateolabraxjaponicus。…




月鳢为鳢科鳢属的鱼类,俗名七星鳢、姑呆、山斑鱼、七星鱼、点称鱼、山花鱼、鲈鳢等。…




白腹鲭是鲭科、鲭属鱼类。体纺锤形,稍侧扁;背缘和腹缘浅弧形;尾柄细短,尾鳍基部两侧各具2条小隆起脊…




大西洋蓝鳍金枪鱼:是鲭形目、鲭科、金枪鱼属的海洋动物。体长可达3米,…




孔雀鲷,Aulonocara jacobfreibergi Lwanda,慈鲷科孔雀鲷属。




淡水石斑鱼是鲈形目丽鱼科丽体鱼属鱼类,又名马拉丽体鱼、花老虎等。体侧扁,纺锤形;口上位,…


















