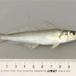
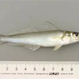
月鳢(学名:Channa asiatica)是鳢科、鳢属鱼类。体重一般为100-250克,最大个体重达500克。体背、腹缘几乎平直,尾柄短。头宽,中等大。上颌骨末端伸达或伸越眼后缘下方。上、下颌外行齿绒毛状。眼中等大,在头的前半部。鳃盖膜跨越峡部。鳃耙较弱,上鳃耙略为明显。头、体部均被中等大的圆鳞;头部鳞片呈不规则扩大。背鳍1个,连续,起点在胸鳍基部稍后上方,末端鳍条伸越尾鳍基。无腹鳍。各鳍均无棘。腹膜白色。无幽门盲囊。肠细短,作2次盘曲。鳔细长。体绿褐色或灰黑色,体背部颜色较深,腹部灰白色;体侧沿中部有7-10条“(”形黑褐色横纹带;头背部黑褐色,头侧眼后部有2条黑色纵带。背鳍、臀鳍灰褐色,上有白色小斑点;胸鳍、尾鳍灰色;胸鳍基部后上方有1个黑色大斑,尾柄部有1个白色边缘的黑色眼状斑,尾鳍基有数条灰色横纹。
月鳢常梄息于水流缓慢的山泂溪流中,也喜在堤岸或田埂边穴居。性凶猛,摄食小鱼、虾、水生昆虫及其他小型水生动物,一般夜间外出活动觅食,白天栖息在水草丛中。原产于中国、越南。日本、斯里兰卡有引种。在中国分布于长江以南各水系。
基本信息

月鳢(Channa asiatica)是在1758年,由欧洲瑞典植物学家林奈(Carolus Linnaeus,1707-1778),在《自然系统》(Systema Naturae)第10版中,根据采自中国的标本,以“亚洲裸鱼(Gymnotus asiatica)”的学名首次被记载。
中国香港有关“月鳢”的最早文献,见于美国地衣学及鱼类学家赫尔(Albert William Christian Theodore Herre,1868-1962)在1934年于《香港博物学者》杂志(Hong Kong Naturalist)增刊第3卷中《一九三一年十月至十二月采集的香港鱼类》(Hong Kong fishes collected in October – December, 1931)一文中,以“月鳢(Channa asiatica)之名记载,为首个纪录。
月鳢的先定同物异名为Channaasiatica、Gymnotus asiaticus,次定同物异名有Channaformosana、Channaocellata、Channasinensis等。

背鳍43-45,臀鳍28-30,胸鳍16,尾鳍14。侧线鳞 。鳃耙约11。
体长为体高的51-6.6倍,为头长的3.3-3.8倍。头长为吻长的5.1-5.6倍,为眼径的4.3-7.1倍,为眼间隔的3.2-4.0倍,为尾柄长的4.7-5.6,为尾柄高的24 3.1倍。
体重一般为100-250克,最大个体重达500克。体背、腹缘几乎平直,尾柄短。头宽,中等大,圆钝,后部圆筒形。上颌骨末端伸达或伸越眼后缘下方。上、下颌外行齿绒毛状,下颌内行齿较大:犁骨、腭骨有细齿舌端尖圆。眼中等大,在头的前半部;眼间隔宽凸。前鼻孔呈细长管状,伸越上颌边缘;后鼻孔圆形,紧靠眼前缘上方。鳃盖膜跨越峡部。鳃耙较弱,上鳃耙略为明显。 头、体部均被中等大的圆鳞;头部鳞片呈不规则扩大,尤以头背部为甚。侧线存在,自鳃盖上缘沿体侧上部向后延至肛门上方附近中断,折下1枚鳞片宽,向后沿体中部延至尾鳍基。
背鳍1个,连续,起点在胸鳍基部稍后上方,末端鳍条伸越尾鳍基,臀鳍起点在背鳍第15-16鳍条下方。无腹鳍。各鳍均无棘。
腹膜白色。无幽门盲囊。肠细短,作2次盘曲。鳔细长。
体绿褐色或灰黑色,体背部颜色较深,腹部灰白色;体侧沿中部有7-10条“(”形黑褐色横纹带;头背部黑褐色,头侧眼后部有2条黑色纵带。背鳍、臀鳍灰褐色,上有白色小斑点;胸鳍、尾鳍灰色;胸鳍基部后上方有1个黑色大斑,尾柄部有1个白色边缘的黑色眼状斑,尾鳍基有数条灰色横纹。

月鳢常梄息于水流缓慢的山泂溪流中,也喜在堤岸或田埂边穴居。性凶猛,摄食小鱼、虾、水生昆虫及其他小型水生动物,一般夜间外出活动觅食,白天栖息在水草丛中。
还喜跳跃,在流水冲击的环境下会逆流上溯或跳离水面。月鳢对环境适应能力很强,当水中缺氧时能将头露出水面借助鳃腔内的辅助器官呼吸空气,不因水中缺氧而浮头死亡,离水也能活较长时间,有利于高密度集约化饲养和活鱼运输。最适生长水温15-30℃,水温降到12℃开始不吃食,冬季寒冷多潜入洞穴或钻入泥层中避寒越冬。

原产于中国、越南。日本、斯里兰卡有引种。 在中国分布于长江以南各水系。 月鳢分布图

繁殖季节多在每年的4-6月份,5-7月份则是产卵盛期,通常繁殖的水温在18-28℃。每尾产卵1000多粒。卵黏性,浅黄色,粘附在水草上。
种鱼的选择
一般要选择体态健壮、无病害的1冬龄以上的成鱼,这样可以保证繁殖的成功。种鱼具有配对、筑巢、护幼的本能。
种鱼的放养
可以将选择好的种鱼直接放入孵化池中,要注意的是,每个孵化池只能放一雌一雄两条鱼,不能多放,以免引起互相残杀。 放好鱼后,还要在孵化池的上面加盖一个塑料网,以防月鳢从池中跳出。种鱼放养后就要适时地观察其产卵情况,并且每天定时进行投喂一次,以蚯蚓为主要饲料。日投喂量为鱼体重的10%。
孵化
通常种鱼放养后,要在池中放入一些水草,尽量为它们创造一个自然生态的孵化环境,这样有利于产卵。一般不要对鱼体注射催产药剂等,这样更能保证其肉质的原生味道。种鱼大约放养一个星期,就要产卵了。 如果发现在水面上漂有晶体状的小颗粒,那就是月鳢产的卵了, 刚产的卵为黄色。经过2-3天以后慢慢变为黑色,四天以后就能孵化出仔鱼了。一尾300克的雌鱼每次可产卵4000-6000粒。

面积在0.05-0.3公顷,每公顷放养3厘米的鱼种20-30万尾,同时搭配大规格鲢、鳙鱼种300-450尾,用以改善水质。每天按鱼体重的3-5%投喂配合饲料(饲料系数为1.6左右)或鲜活鱼和冻鲜鱼(饲料系数在3左右),保持水深2-2.5米,饲养1年,体重可达150-300克,每公顷产量达1.5万千克以上,其关键技术有以下儿项。
严格清塘:放鱼前塘水保持30厘米,每公顷水面用750千克生石灰和375千克茶麸粉混合清塘。第二天将塘水加至1米深,再用750克氢棉宝加水稀释后,泼洒在四周水边,进一步杀灭甲壳类敌害,同时施有机肥肥塘。
提高饲料品质,强化管理:投喂人工配合饲料时,蛋白质含量应在40%以上,并坚持“四定”、“五看”的投饲方法。经常注入新水,保持水色呈淡绿色,严防池水发黑。
种植水生植物,创造良好生态环境:根据月鳢喜暗的生活习性,可在池中移植水生植物如水浮莲等,创造良好的生态环境。但水草覆盖率不能超过50%。
每年6月份在家鱼塘中按每公顷水面投放3厘米的月鳢鱼苗0.75-3万尾,进行混养,可额外增收月鳢每公顷375-1500千克。
在家鱼塘中混养月鳢,不需另外管理,只要注意掌握好水体中野杂鱼的数量即可。如果野杂鱼数量太少,应投放些罗非鱼、鲫鱼等繁殖力较强的鱼类在塘里繁殖,以确保饵料鱼的来源。必要时,应补投冻鲜杂鱼。
月鳢对环境的适应力极强,酸性和碱性条件下都能正常生存,对水体大小及鱼池结构无特殊要求,从几平方米到几万平方米的水体都能养殖,对溶氧要求不高,能高密度饲养。因此,可以因地制宜地在房前屋后或楼顶、阳台上,用水泥和砖砌池密养。其放养密度可达每平方米50-100尾,年产成鱼3-8千克,相当于每公顷产成鱼3-8万千克。
上述水泥池高1.5米,水深0.5-1米。池壁高出水面0.5米,防止月鳢逃跑。池底放置些瓦筒、竹筒或砖瓦等杂物供鱼栖息隐蔽。池顶盖棚遮光或种植水浮莲以改善生态条件。冬天可用塑料薄膜覆盖保温以延长生长期。饲养过程中要定期换水,每次换水量在30-50%。

列入《世界自然保护联盟濒危物种红色名录》(IUCN 2009年 ver 3.1)——无危(LC)。

月鳢的肉质细嫩,刺少肉多,味道鲜美,用月鳢做的“无影汤” 营养价值更是丰富,据分析,每100克鱼肉中含粗蛋白1.9-22克,粗脂肪3.96克,灰粉4.3克。具有有较高食用价值,并且在药理上还有强身健体、活血去瘀的功效。 已进行人工养殖,用人工孵化的鱼苗进行单养或与家鱼混养,具有一定的经济效益,中国广西各地有养殖。















