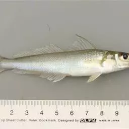
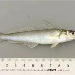
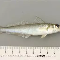
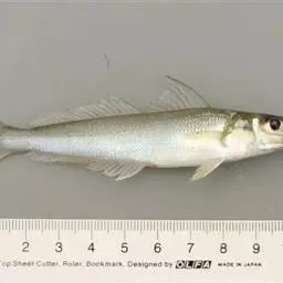
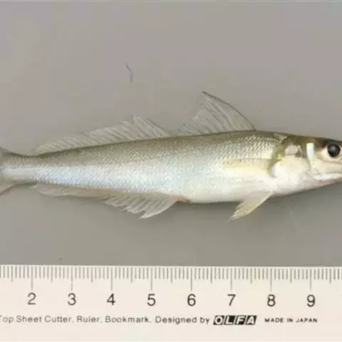
马头鱼Branchiostegus argentatus ,又red horsehead,white horse-head学名甘鲷、银方头鱼、白方头鱼、瓦刀鱼、日本加吉、方头鱼、红马 。鲈形目,方头鱼科,方头鱼属。因为头部呈方形,鱼身侧扁、背部微微凸起,头较大而高,口小,侧线发达,有几分像马头,故称马头鱼。
基本信息

学名甘鲷、银方头鱼、白方头鱼、瓦刀鱼、日本加吉、方头鱼、红马头。眼上侧位,因为头部呈方形,鱼身侧扁、背部微微凸起,头较大而高,口小,侧线发达,有几分像马头,故称马头鱼。长楔形的体形,头部额骨隆起而为钝角,稍呈方形,故有方头鱼之称。眼的位置颇高,口狭而低,列生细齿。体色背部赤而腹面白,侧腺上鳞数七十片,长达30公分。 眼后侧有菱形斑纹。体被中型栉鳞,侧线完全,高位,近直线形。体背侧红色,腹侧略呈白色。臀鳍中长,边缘浅蓝色;尾鳍双截形,满布蠕虫状黄色斑纹。长达30~40厘米。品种依身体色泽分三种:有金甘鲷、红甘鲷,白甘鲷。马头鱼中以白马头鱼味道最好,肉质软滑。
属暖温性中下层鱼类,分布于菲律宾南部到中国、朝鲜和日本南部海区,中国沿海均产。通常栖息于水深150米以浅的砂泥底质水域。产卵期为9~12月,卵浮性。为肉食性之鱼种,以小鱼、虾等,十足类、多毛类为食。 是方头鱼类中生活水深最浅的一种鱼。

利用延绳钓、底拖网渔法及船钓均可捕获。冰藏或冻藏,生鲜出售,为高价的食用鱼,肉质柔嫩鲜美,切片
冷冻后常外销美、日等国。

方头鱼科中,有红方头鱼、白方头鱼、黄方头鱼、狐色方头鱼和细方头鱼。红方头鱼在眼睛的下方有一条倒三角形的银白色带。在尾鳍的黄色纵带下方没有斑纹。红方头鱼在水深20-160米的泥沙底上掘洞筑窝,吃底生动物。产卵期为5-6月份。其肉味道较淡,但做成酱腌或鱼干很好吃。身长一般为25-35厘米,大的可达45厘米。分布于中国南海、日本本州中部以南。
方头鱼中,红方头鱼的数量最多,钓获量也最大。一般使用大型的虫饵或虾等,采用船钓法垂钓。垂钓时先选好泥沙底钓点,一边让船随波飘荡,一边垂钓。铅坠要做得适合在水底滚动,以使钩饵能够进入方头鱼的窝里。饵料送不进鱼窝是很难钓到方头鱼的。 马头鱼
方头鱼中个儿最大、味道也最棒的要数白方头鱼。但是这种鱼的数量较少,很少钓到。黄方头鱼样子与红方头鱼相似,但栖息于更深的海底。这种鱼个头不大,味道也不如红方头鱼。
狐方头鱼栖息于珊瑚礁或岩礁周围的沙石底上,是很受人们喜爱的稀有观赏鱼种。它在石头下面挖洞筑窝,吃底生动物。体长30-45 厘米。分布于日本沿海,琉球群岛以南;夏威夷、红海、南非、印度洋和西太平洋海域。
细方头鱼与狐方头鱼一样,也是稀有鱼种,身长25-30厘米。分布于夏威夷、南非、印度洋和西太平洋海域、日本沿海。

利用延绳钓、底拖网渔法及船钓均可捕获。冰藏或冻藏,生鲜出售,为高价的食用鱼,肉质柔嫩鲜美,切片
冷冻后常外销美、日等国。

清蒸方头鱼
原料:
银方头鱼1尾(600克左右),香菇3朵,火腿片2片,姜片3~4片,葱半支,酒1大匙,酱油2大匙,香油少许。
做法:
1、鱼去鳞和内脏,来面切刀纹。 马头鱼
2、香菇泡软切细丝,火腿片切丝。
3、除了塞入鱼腹的一片姜之外,其余切丝,葱切二段。
4、方头鱼放在盘中,头、尾部分各铺上葱段,添加香菇丝、火腿丝、姜丝及酒。
5、把4放入冒气的蒸笼中,以强火蒸15~18分钟,蒸至完全热透,除去葱、姜。淋上酱油和香油。
烤方头鱼
烤方头鱼是将11-3月间捕捞的鱼开膛除肠、摊平,后放在有冷风的荫处晾成半干后,涂上麻油烤着吃。烤方头鱼味淡而回味无穷,吃过一次就会还想吃,是难得的高级美味。
方头鱼的鱼骨、鱼皮及鱼眼营养丰富,蛋白质含量高,体质虚弱症或病后康复期的患者也多熬粥食用。方头鱼海带汤也是珍品,不仅没有腥味味道爽劲而清淡,是解酒汤的好选择。

澳大利亚医学专家研究显示, 马头鱼 家长应该警惕给孩子吃7种鱼:鲨鱼、箭鱼、旗鱼、枪鱼、罗非鱼、方头鱼以及鲶鱼。因为这些鱼除了体形相对较大外,它们还是生命周期更长的食肉鱼,其体内汞含量比其他鱼偏高。孩子长期吃这种鱼,体内汞含量很可能超标,而即便相对较低的汞水平也会影响到小儿的正常发育。

四指马鲅是马鲅科、四指马鲅属鱼类。体延长而侧扁。头中大,前端圆钝。吻短而圆。眼较大,位于头的前部;…




炸弹鱼,英文名:Bullet mackerel,又名鲣鱼, 炸弹鱼属金枪鱼科鱼类。…




四带笛鲷,学名:Lutjanus kasmira ,为笛鲷科笛鲷属的一种鱼类。全长达300毫米。体…




棘鳅为刺鳅科初级澹水鱼类。 体呈长条状,似泥鳅,吻端尖且向前突出,口下位。背、臀鳍前有一排…




淡水石斑鱼是鲈形目丽鱼科丽体鱼属鱼类,又名马拉丽体鱼、花老虎等。体侧扁,纺锤形;口上位,…




丝蝴蝶鱼,又称扬幡蝴蝶鱼,俗名人字蝶,为辐鳍鱼纲鲈形目蝴蝶鱼科的其中一种。…




六带鲹,学名:Caranx sexfasciatus ,鲹科鲹属的一种暖水性中上层鱼类,著名的游钓…




多鳞鱚,Sillago sihama ,鱚科鱚属的一种鱼类。主要分布于印度洋-西太平洋的热带海域,…


















