真鲷(Pagrus major),硬骨鱼纲,鲈形目,鲷科,真鲷属。 地方名:加吉鱼、红加吉、铜盆鱼、大头鱼、小红鳞、加腊、赤鲫、赤板、红鲷、红带鲷、红鳍、红立、王山鱼、过腊、立鱼。是中外驰名的名贵鱼类。真鲷肉含有大量的蛋白质,每百克可食部含蛋白质19.3克,脂肪4.1克,味道特别鲜美,素有“海鸡”之称。真鲷体色鲜红,日本称红加吉,有吉祥喜庆之兆。 真鲷两侧臼齿2行,体红色。红加吉。后鼻孔椭圆形。体扁平椭园形。背鳍12棘10软条,臀鳍3棘8软条,侧线鳞娄53—59,尾鳍边缘黑色。
基本信息

真鲷(鲷科)Pagrosomus major
拉文种名:Chrysophrys major Temminck et Schlegel
英文种名:Red sea bream
其他中文名:嘉鱲鱼、正鲷、加腊、加蚋
地方名:加吉鱼、红加吉、铜盆鱼、大头鱼、小红鳞、加腊、赤鲫、赤板、红鲷、红带鲷、红鳍、红立、王山鱼、过腊、立鱼、(有的地区还叫海鲫鱼)
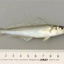
形态特征:体侧扁,呈长椭圆形,一般体长15~30厘米、体重300~1000克、自头部至背鳍前隆起。体被大弱栉鳞,头部和胸鳍前鳞细小而紧密,腹面和背部鳞较大。头大,口小、左右额骨愈合成一块,上颌前端有犬牙4个,两侧有臼齿2列。前部为颗粒状,后渐增大为臼齿;下颌前端有犬牙6个,两侧有颗粒状臼齿2列、前鳃盖骨后半部具鳞、全身呈现淡红色,体侧背部散布着鲜艳的蓝色斑点。尾鳍后缘为墨绿色,背鳍基部有白色斑点。
生活习性:近海暖温性小型珊瑚礁鱼类。世界900余种,如条纹和红斜纹及细纹蝴蝶鱼,青、金、线蝴蝶鱼, 鸳鸯和单斑及双丝蝴蝶鱼等。中国20余种。
产地、产季:分布于印度洋和太平洋西部、中国近海均产之,但近年产量不多。黄、渤海渔期为5~8月份和10~12月份;东海闽南近海和闽中南部沿海渔期为10~12月份,11月份是盛产期。
经济价值:真鲷系中国名贵鱼类,但由于资源衰减产量下降,市场上少见。真鲷每百克肉食蛋白质19.3克、脂肪4.1克,肉肥而鲜美,无腥味,特别是鱼头颅腔内含有丰富的脂肪,营养价值很高。除鲜食外还可制成罐头和熏制品。真鲷是出口品种,输往国别和地区:日本。出口口岸:山东、河北、辽宁、福建、广东。
栖息深度:10-200米
最大体长:约110cm

印度洋北部沿岸至太平洋中部、夏威夷群岛以及中国沿海等

真鲷(pagrosomus major),硬骨鱼纲,鲈形目,鲷科,真鲷属。地方名:加吉鱼、红加吉、铜盆鱼、大 真鲷 头鱼、小红鳞、加腊、赤鲫、赤板、红鲷、红带鲷、红鳍、红立、王山鱼、过腊、立鱼。是中外驰名的名贵鱼类。真鲷肉含有大量的蛋白质,每百克可食部含蛋白质19.3克,脂肪4.1克,味道特别鲜美,素有“海鸡”之称。真鲷体色鲜红,日本称红加吉,有吉祥喜庆之兆。真鲷两侧臼齿2行,体红色。红加吉。后鼻孔椭圆形。体扁平椭园形。背鳍12棘10软条,臀鳍3棘8软条,侧线鳞娄53—59,尾鳍边缘黑色。犬齿上颚前部2对,下颚前部3对,体侧背部散布有鲜艳的兰色斑点。真鲷为近海暖水性底层鱼类,喜栖息于水清而盐度较高的岩礁、沙砾及贝藻丛生的水域,一般水深30~40米。真鲷喜结群,游泳较迅速。生殖季节游向近岸,性凶猛,食性较杂,主要摄食底栖甲壳类、软体动物、棘皮动物、小鱼蟹及海藻等。真鲷生活的适宜水温22℃~27℃。真鲷对盐度的适应范围为16‰~33‰。,体长12厘米以上,以重500一1000克者居多,寿命较长,有的可达30龄,长达1米。目前主要养殖方法为网箱养殖,经深水网箱养殖,其生长速度为自然海区的2倍。分布于印度洋和太平洋西部。中国近海均产之,但产量不多。黄、渤海渔期为5~8月份和10~l 2月份;东海闽南近海和闽中南部沿海渔期为10~12月份,11月份是盛产期。

真鲷体侧扁,呈长椭圆形,一般体长15~30厘米,体重300~1000克。自头部至背鳍前隆起,体被大弱栉 真鲷 鳞,头部和胸鳍前鳞细小而紧密,腹面和背部鳞较大。头大,口小。左右额骨愈合成一块,上颌前端有犬牙4个,两侧有臼齿2列,前部为颗粒状,后渐增大为臼齿;下颌前端有犬牙6个,两侧有颗粒状臼齿2列。前鳃盖骨后半部具鳞。尾鳍后缘为墨绿色,背鳍基部有白色斑点。全身淡红色,体披中等大小的圆鳞或弱栉鳞;颊部和顶部具鳞片,侧扁体的背部散布若干蓝绿色斑点,游泳时闪现蓝光,体形和色泽优美。
真鲷为近海暖水性底层鱼类。栖息于水质清澈、藻类丛生的岩礁海区,结群性强,游泳迅速。真鲷主要以底栖甲壳类、软体动物、棘皮动物、小鱼及虾蟹类为食。适温范围为9-30度,最适水温18-28度。有季节性洄游习性,表现为生殖洄游。养殖的适宜盐度为17-31‰。盐度低于16‰时对真鲷生长不利。
真鲷肉质细腻,味道鲜美,营养丰富,在每100克鱼肉中含水份74.9克、蛋白质19.3克、脂肪4.1克、碳水化合物0.5克、钙64毫克、磷175毫克、铁l毫克、硫胺索0.02毫克、核黄素0.14毫克、尼克酸3.41毫克、热量l16千卡。真绸除供鲜食外,部分制成罐头和熏制品,是海鱼食用品种中的上上之品。真鲷系中国名贵鱼类,但由于资源衰减产量下降市场上少见。无腥味,特别是鱼头颅腔内含有丰富的脂肪,营养价值很高。真鲷是出口品种,其英文名为Genuine porgy,日文名为マタィ。输往国别和地区:日本。出口口岸:山东、河北、辽宁、福建、广东。
山东蓬莱人民有加工、食用真鲷的悠久历史。蓬莱传统名吃“蓬莱小面”开卤用的主料即为真绸。民间习惯以真鲷制做喜庆宴席菜看,有增加吉利(加吉)的寓意。真鲷头部特别鲜美,眼睛尤佳,有“加吉鱼头鲅鱼尾”之谚,并有“一鱼两吃”的习惯:整鱼上席后,席间取出鱼头,制成鲜、酸、辣惧全的醒酒汤,既解馋,又醒酒,妙不可言。清蒸最能保持真鲷自然的鲜美度,“清蒸加吉鱼”即蓬莱“八仙宴”的一道名看。更有趣的是,许多民间妇女和厨师为了绘客人助兴,还能即席用真鲷鱼骨拼制成形态逼真的一只凤凰或二只山羊,令人拍案叫绝。蓬莱沿海所产的真鲷,为渤、黄海群体,春汛在五六月,秋讯在九十月,故有“椿芽一寸,加吉一温”的说法,入夏后零星不绝,直至深秋。
据史料记载,民国以前蓬莱沿海真鲷资源极为丰富,于蓬莱阁下垂钓,可得尺余长的真鲷,因而那里常有三五老翁垂纶而钓,得鱼掏水而烹,乐极而歌,此唱彼和,形成蓬莱十大景之一的“渔梁歌钓”。1914一1945年,大批日本汽船在蓬莱沿岸渔场酷捕,真绸资源遭到严重破坏。近20年,真鲷作为兼捕对象,年产量仅有吨余,因而愈加珍贵。
中国南北海区有2个不同的真鲷生殖群体, 生殖季节相差近半年。北方黄 真鲷 渤海区的真鲷生殖期为5~7月, 盛期在5月下旬; 福建沿海的真鲷生殖期在10月下旬至12月下旬, 盛期在11月; 广东省沿海为12月初至2月底,1月和2月各有一个产卵高峰。产卵水深一般在10~40米。大部分体重约500克左右的3龄鱼达到性成熟, 少数个体在2龄已成熟。性腺发育的特点是分批成熟,多次产卵。怀卵量20万~110万粒,高的可达300万粒,随鱼体的生长而增加。卵浮性, 球形, 卵径0.95~1.10毫米, 油球1个, 淡褐色, 油球径0.19~0.27毫米。受精卵的孵化时间随水温而有变化, 水温21.8~24℃范围内, 26小时孵出; 17~22℃时, 36小时孵出;13.5~18℃时,60小时孵出。孵化适温为18~24℃。初孵仔鱼1.94~2.6毫米。
真鲷肉质嫩滑,味道鲜美,营养丰富,每百克含蛋白质19.3克、脂肪4.1克,还含有钙、磷、铁及维生素B1、B2、尼克酸等成分,而其鱼肉滋味似鸡肉鲜美,故不少地方称它为“海底鸡”,广州人还称它为“海底鸡项”,加之其色泽鲜艳而深受人们青睐。在中国沿海省区市、港、澳、台及日本等地,尤其酒楼食肆,都把真鲷视为上等海鲜佳肴,也因它有加吉鱼之名,故人们每逢节日或结婚喜事,酒宴上也设法加一道菜:加吉鱼,这是吉利的象征。真鲷还具有清热消炎、补气活血、养脾祛风之功效,食法有清蒸、清炖、红烧等多种,味道鲜美好吃,所以颇受国内外消费者喜爱。因此,根据国内外市场需要积极发展真鲷的人工养殖,这对于增加养殖户的经济收入和出口创汇,都很有作为。

使用容积为25立方米~100立方米的方形或园形水泥池,池内设置上水、充气及加温管阀,排水口位于池中 真鲷 央通于池外排水沟。培育池使用前用高锰酸钾或次氯酸钠消毒,日光暴晒。放养密度以初孵子鱼1万尾/立方米~2万尾/立方米为基准布池。
子稚鱼培育期间使用沙滤海水,前期培育时,有条件的情况下可使用紫外线消毒海水。培育期间每日两次检测池内水质情况,常规水质指标控制如下:水温18℃~20℃,溶解氧4毫克/升以上,总氨氮(NH4-N)1.0毫克/升以下。
1.遮光。
培育期间在培育池上方设置可调或遮光幕,控制光照强度在2000lx以内。育苗期间自投喂轮虫之日起,在培育水中添加小球藻,以保持池内残留轮虫的活力,防止饥饿和营养的下降,并维持良好的饲育环境。池内小球藻维持在50万cell/ml~100万cell/ml为宜。
1.轮虫。子鱼开口时(孵化后第3天)开始投喂轮虫,按饲育水中3个/毫升~5个/毫升投喂。子鱼全长7毫米~8毫米时,摄食量很大,培育池内饵料密度难以维持,可增加投喂次数。轮虫喂至子鱼全长为12毫米左右为止。
2.卤虫无节幼体的投喂。子鱼全长6.5毫米左右时开始投喂卤虫无节幼体,每日两次。投喂量按饲育水中0.5个/毫升~1个/毫升投喂,以后随鱼苗的生长而渐增加投喂量。在子鱼大量摄食卤虫时,应增加投喂头足类、鱼卵、初孵子鱼及配合饲料等。
3.鱼虾肉糜的投喂。子鱼全长8毫米~9毫米时,开始投喂糠虾肉糜,颗粒要小,少量多次投喂,根据鱼的摄食情况逐渐增加鱼肉糜的投喂量。投喂鱼虾肉糜时要注意水质变化,防止缺氧。另外,投喂肉糜时需添加多种维生素。在饵料转换时,要根据鱼苗对新饵料的适应程度,调整各种饵料的投喂时间和投喂量,防止个体差别加剧和忽然断饵造成死亡。
4.生物饵料的营养强化。真鲷子稚鱼的生长发育过程中对饵料的营养价值要求较高,而轮虫、卤虫无节幼体内所含的高度不饱和脂肪酸(HUFA)较低,特别是EPA和DHA的含量不足,常造成育苗成活率低,畸形率高。因此加强饵料的营养强化是苗种生活中的重要措施之一。
轮虫的营养强化方法:轮虫按3亿个/立方米~10亿个/立方米的密度投入2000万细胞/ml的小球藻中,加入乳化乌贼肝油,培养12小时后使用。卤虫无节幼体则置于加入乳化鱼油的新鲜海水中培养12小时以上使用。如果营养强化时再加入脂溶性维生素和卵磷脂效果更佳。
5.充气量及开鳔期的管理。真鲷是有鳔鱼类,开鳔期对充气量的要求与通常不同。育苗期间气石的布置为每1.5平方米~2.0平方米1个,开鳔期采取微弱冲气(50ml/分钟),充气量过大会阻碍子鱼上浮开鳔或误吞水中气泡或杂物造成假开鳔或气泡病。开鳔期子鱼长为3.5毫米~5.5毫米,子鱼完成开鳔行为必须自身具备充分的活力,这就要求初期饵料的营养价值高,否则开鳔率低会造成大量死亡或形成畸形鱼。子鱼完成开鳔后应逐渐加大充气量。提高子鱼开鳔率的几个措施:适当的充气量(50ml/分钟);保持水面清洁;投喂营养价值高的初期饵料;选择活力强的初孵子鱼。
1.换水:培育初始水量为总容积的3/4~4/5,前5天逐渐加水至满池,5日龄开始微流水方式换水,换水率20%;以后随鱼苗的生长逐渐加大换水量,10日龄时换水量为50%;20日龄时100%;25日龄开始投喂鱼虾肉糜时,换水率增加至200%,以后随鱼的摄食肉糜量的增加,换水率增加至500%。
2.环流培育:子鱼全长6.5毫米左右时已具备一定的游泳能力,此时可在培育池内设置环流板,开始环流,环流速度随鱼苗的生长逐渐增大。环流的形成可促进鱼苗的生长和发育及新陈代谢。
3.清底:约12日龄后培育池底部的粪便、残饵、死鱼等积累增多,应及时清底。清底一般2天~3天一次,后期1天~2天1次。
4.弱小苗的分离:在高密度培育情况下,因各种原因极易出现个体大小的差异。在全长10毫米~15毫米时,鱼苗开始进入稚鱼期,在生态食性等方面产生变化,生长良好的大型个体极易攻击生长慢的小个体,造成体表、鳍、眼等部位受伤致使细菌感染而发病,从防病的角度出发随时将被攻击的小个体去除。此时大中个体苗多在水的中下层,小个体苗则在表层活动,可利用这一特点将小个体苗移至其他小容器中培育。
5.计数:从初孵子鱼至全长8毫米以前(20日~23日龄前),利用夜间子鱼分布均匀时,用柱状取样器在池内均匀多点取样计数,并推算出全池数。全长8毫米以后,鱼苗游泳能力增强,逃避迅速,上述计数法难以把握,误差过大。此时可利用吸底计数死鱼的方法推算池内鱼苗数量。出池时可用小围网将鱼苗网住逐渐捞出于70升左右的容器内,精确计数,然后以标准样为准且测其他各样,直至计出全池数量。
6.出池:在水温18℃~20℃的条件下,约经50天左右培育全长可达25毫米~30毫米,此时为最佳出池规格。此时应及时出池,转入中间培育。出池方法可先降低培育池水位至50厘米,用小围网围住鱼苗,再用质地柔软的小捞网和烧杯逐步将鱼苗捞出并计数。
亲鱼可以从天然海区捕捞,但现在天然亲鱼已很难捕到。人工网箱养殖的亲鱼是目前人工育苗的亲鱼主要来源。一般采用养殖4龄以上的亲鱼,养殖的3龄亲鱼虽可用激素进行催产,但产卵量少。
亲鱼养成饲料的蛋白质含量为45%为宜,养成饲料的营养组成直接影响卵的质量。产卵前及产卵期间的饲料尤为重要,投喂乌贼粉和冷冻南极磷虾、小杂虾制成的配合饲料能明显提高产卵量、上浮率和孵化率。饲料中添加维生素E(200克/公斤饲料)可以改善卵质。
亲鱼性腺成熟已达4期,可用帆布桶或木桶运回,先在小型水泥池内暂养,待注射绒毛膜促性腺激素、绒毛膜促性腺激素加鲤鱼垂体或释放激素类似物后。放入的水泥池内进行进行流水暂养,经16~21小时,亲鱼成熟排卵。目前人工养殖的真鲷可不经注射激素自选排卵、受精。真鲷的卵为浮性卵,无色透明,卵径为1.1~1.毫米,油球1个。水温21.8~24℃,比重1.020时,受精卵经26小时孵出。孵化时间随着水温的降低而延长。刚孵出的仔鱼全长1.~2.6毫米,卵黄囊大。仔鱼很少活动,一般侧卧于水面。第3天仔鱼,全长3.0~3.2毫米。卵黄囊较小,已开口,游泳活泼,整个水体都有分布。第5天仔鱼,全长3.2~3.4毫米,卵黄及油球完全吸收。第36天鱼苗,全长9.2~10毫米,体型已与成鱼相似。第66天鱼苗,全长达2百厘米。
刚开口哨的真鲷投喂贻贝或牡蛎幼体;鱼苗达4毫米以上,主要投喂轮虫;鱼苗达7毫米时可增投桡足类;鱼苗达1厘米时除喂桡足类外,可投喂少量碎鱼肉;鱼苗达2厘米,喂碎鱼肉。
仔鱼刚孵化时微量充气,待仔鱼开鳔结束后(约20日龄),要加大充气量至第吨水体350毫升/分,后期增至2500~5000毫升/分;培育开始时每天换水5~10%,6日龄起换水30~50%,到前期培育结束时为100~200%;仔鱼8~12日龄每天数次除去水面油膜和轮虫尸体,或用沐浴方式冲淋水面,以利于仔鱼在水面吞食空气开鳔。池底吸污在10~20日龄后进行,每2~3天吸污1次,投喂鱼糜起每天1次;从仔鱼孵化至15日龄每天添加小球藻液,育苗池水呈淡绿色(小球藻密度30~50万细胞/毫升)。添加小球藻可起到作为轮虫饵料、净化水质和补充溶氧的作用。
幼鱼运输时水质处理应注意如下几方面:
1.溶解氧。真鲷幼鱼在静止状态时每小时耗氧量为1500~400ml/kg。
2.二氧化碳。二氧化碳易溶于水,使水呈酸性,会导致鱼血液中的二氧化碳难以排出,血液的血红蛋白获氧能力降低。因此,运输途中要更换海水或使用缓冲剂。
3.氨。氨对鱼有害,可用降温不来抑制鱼的代谢,以减少氨的排泄。
4.排泄物。在运输前停止投饵,夏季要停饵5~7天;冬季2~3周左右。另外还应注意搬鱼时避免损伤,尽量减小振动,避免环境激变。
5.陆路车运装备和运鱼量。大型专用卡车配备有溶氧和PH测定仪,以及保温降温装置,冬季水温维持13~15℃,夏季水温降为15~20℃。鱼苗运输密度因鱼体大小及运输时间长短而灵活掌握,一般为1~3万尾/吨(水体)。
6.航空运输。租用货机或仓位进行空运。包装容器为高强度塑料袋和泡膜箱。夏季要保冷,或经预冷处理。鱼苗用双层塑料袋,真鲷密度为30克/升,充氧量为水体量的1.5倍。最好能在海水加入10%的海水冰。

目前国内外真鲷的养成方式以网箱养殖为主。
选择水质好、潮流平稳、水流畅通、流速适中,避风浪,无污染的海湾设置网箱,流速大潮为5cm/s~ 网箱 15cm/s,溶氧量5ml/l为宜。真鲷摄食生长的最佳水温为18-28℃,15℃以下食欲减退,10℃以下基本不摄食,6℃以下即会逐渐死亡。北方海区水温低于12℃时应移入室内升温越冬。真鲷喜欢较高盐度、水质透明度较高的海区。水深要求低潮时水深应在7m以上。要尽量选择饵料供应和运输方便,海上治安良好的海区。良好的海区是网箱养殖真鲷成功的首要条件。因此,养殖之前,必须以避风条件、水深、流速、水色、水温、透明度、比重、PH值,污染源等因素为选择养殖海区的依据。
1.避风条件:必须能抗御12级以上的台风及其波浪。
2.水深:在一般情况下,养殖海区的水深要比风箱的尝试大一倍,即3米深的网箱,最低潮位要有6米水深,5米深的网箱,最低潮位要有9-10米水深,网箱的深度是由水深决定的,没有一定的水深就不能保证正常的水色和透明度。
3.流速网箱养殖海区的流速一般为5-15厘米/秒,最适宜的流速为6-8厘米/秒。如果没有流速,底部容易淤积残饵和鱼的排泄物,破坏鱼场环境且氧不足,影响鱼的生石长速度。反之,如果流速太大,虽然氧气充足,但鱼的能量消耗大,也会影响鱼的生长速度。而在于且在流速大的海区养殖,鱼排网箱容易损坏,安全系数低。
4.水色。13-15号之间。
5.透明度:1米以上。透明度差鱼网容易附着泥土和其他杂物,不利鱼类生长。
6.盐度:真鲷属广盐性鱼类,没有特大洪水侵入的不第区都能适应。养殖的适宜盐度为17-30‰。盐度低于16‰时,对真鲷生长不利。
7.水温:水温范围在9-32℃之间,最适20-28℃,低于13℃时,真鲷基本处于休眠半休眠状态。
8.酸碱度:海水的酸碱度即PH值,是直接影响真鲷生理状况和生长发育的一个重要因素。真鲷对PH值的最佳要求是7.6-8.4,低于或高于这个范围都会影响其正常生长。
9.溶解氧:海水溶氧量应保持在4毫克/升以上。如果溶氧量降至3.5毫克/升以下时,将会使鱼感觉不适或停止摄食,甚至出现浮头死亡。
真鲷又叫赤板、加腊、王山鱼。其营养丰富,味道特别鲜,体色艳丽美观,素有“海鸡”之称。日本人在祝寿及婚礼时习惯用真鲷宴客,以表示吉祥之意,因此,真鲷在日本市场非常畅销,每公斤售价都达22美元,产品供不应求,每年须从中国及朝鲜等国进口大量真鲷。真鲷在港澳、内地及东南亚市场也很畅销。真鲷种苗人工繁殖现已经成功,饲料也很丰富,很适宜利用我省广阔的浅海开展网箱养殖。现将真鲷人工育苗和网箱养殖技术介绍如下:
种苗生产 真鲷养殖种苗生产工序是:亲鱼育成→采卵→孵化→仔鱼饲养→海上养成。亲鱼饲养以浮式网箱育成为主。有两种育成方式:一是从自然海区捕获天然亲鱼,注射激素,进行人工采卵。二是通过人工饲育使亲鱼性腺成熟,自然产卵受精,从而大规模进行种苗生产。在陆上加温循环水池里,可使亲鱼提早1~2个月产卵。真鲷产卵的数量和质量与亲鱼的饵料有很大关系。饲育亲鱼以人工配合饵料、冷冻鱼虾肉为主。饵料中蛋白质最低含量不应低于50%。亲鱼在陆上产卵池(50~70吨)内自然产卵,产卵亲鱼为1~1.5千克(尾叉长35~42厘米)较合适,每个产卵池亲鱼密度为1~1.5千克/米3。采卵盛期,如果每个产卵池收容1千克的雌雄亲鱼各40尾,每天可得400~500万尾仔鱼。在比重1.0213情况下,受精卵一般漂浮在水的中上层,未受精卵及死卵则下沉。受精卵的收集,是在产卵池外设一筛绢捞网(目径为0.5毫米),上浮受精卵随水从出水口流入捞网,计数后进行孵化。一般采用室内玻璃钢水槽(50吨)静水充气孵化。受精卵在水温15.3~16.8℃时,孵化时间为58小时。种苗培育分为二个阶段,采用室内水槽育苗和海面浮式网箱育苗二种方法。第一阶段。鱼苗出膜后,第1~2天靠体内卵黄供给营养,第二天后,真鲷幼苗消化系统健全,开始摄食。主要饵料为轮虫、丰年虫幼虫及人工配合饵料。饲养初期,仔鱼的饲育密度为每立方米1.5~5万尾,养到10毫米(30日龄)的生存率约50%。其后为避免同类相残,放养密度下降为1~1.5万尾/米3。第二阶段培育是在浮式网箱中进行的。鱼苗出膜后,经40天培育,体长可达15~20毫米,此时,就可从陆地水槽移到海上浮式网箱中饲养。可采用虹吸的方法,用直径50毫米,长300米的软管,把鱼苗从陆上水槽移入到浮式网箱中,同时计算鱼苗数量。小网箱的网目为0.5~0.7毫米,规格一般为6~24米3,放养密度为2000尾/米3左右,投喂动物性饵料(加营养添加剂)、人工配合饵料。不同地区鱼苗生长率变化很大,与环境条件及饵料有关,尤其是水温变化对仔鱼和成鱼生长率有较大影响。大规模稚鱼中间育成。建造天然稚鱼培育场,即选择半封闭内湾,采用电极网络拦截湾口,形成天然网箱。把稚鱼放养在用电极网围住的内湾水域里,用自动投饵机投喂,每天4次。并根据条件反射原理,进行音响驯化投饵,即在水下设置1个扬声器,放出特殊频率的声波(50~200Hz),鱼能在半径1公里范围内听到,稚鱼听到声波就开始摄食,从而达到利用声波管理渔场的目的。同时,在岸边监控室内利用微机进行自动化管理。这种中间培养方式效果较好,可充分利用自然生产力作为饵料源,种苗接近天然化。生物饵料的培育。仔鱼初期的饵料,主要是皱褶臂尾轮虫、丰年虫无节幼体及日本虎斑蚤等。在水温30~33℃时,轮虫经过48小时培育,能生产胞囊,它的营养价值较高,易于培育。轮虫的营养价值取决于不饱和脂肪酸含量,仅用酿酒酵母培育轮虫,轮虫缺乏不饱和脂肪酸。用小球球藻培育轮虫,效果较好。一般1吨海水(每毫升内含细胞500~1000小球藻)可培育5~6亿个轮虫,需静水充气培养。另外,可用乳酸菌、乌贼肝油对轮虫和丰年虫进行二次营养强化培养,培养1小时,再用这种轮虫投喂真鲷仔鱼,可获得最佳生长率。
成鱼养殖 真鲷成鱼养殖方式有二种,一种是在海面浮式网箱中养殖;一种是筑提式水池养殖。目前,普遍选择浮式网箱进行真鲷成鱼养殖。浮式网箱的规格如表。
网箱的规格
网箱网目随鱼体的生长而变化,如养到3年鱼(1~1.5千克),网目约14~50毫米。所以要准备几种类型的网箱。放养密度为每立方米7~10千克。饵料与生长。养成商品鱼500克~1千克,一般需1~2年。主要投喂冷冻鱼肉糜(生饵)和配合饵料。如投喂生饵,从种苗到成鱼的16个月间,增肉系数为11.3。据测定,真鲷在不同的生长阶段,增肉系数不同,当年鱼5.1,2龄鱼9.7。体色调整。为使人工养殖的真鲷体色桃红鲜艳,出售时获取较高价格,一般在销售前2个月,在配合饵料中添加1~2%的虾青素二酯(从磷虾油中提纯)投喂真鲷,或者用南极磷虾添加到鱼粉饵料中,能防止真鲷鱼体褪色。用黑色聚乙烯板遮蔽水池或网箱,避免阳光直射,也能防止褪色。
其基本结构主要是由框架、浮子、网衣、沉子组成。 网箱 框架:多为木制框架,一般由厚8cm,宽25cm左右的木板用铁板和螺丝连接成3m×3m或4m×4m组合连体框架,四边固定有50cm×90cm的泡沫塑料浮子(浮力150kg)。这种网箱适用于风浪平稳的海区。
网衣:多为化纤材料制成,形状多为3m×3m×4m及4m×4m×4m与框架相配,网衣底部由坠石或底框固定形成。网衣的网目与养殖鱼的体长点。
真鲷的生长适温为17~28℃。13℃以下停止摄食。一般来说死亡水温为5~8℃以下,在静止的海水中,水温缓慢降至5℃也不会死亡;如果海水流动快,水温降至7℃左右,真鲷即会死亡。水温29℃以上摄食量变动大,容易发生生理性障碍。因此越冬时水温在12℃以上为佳。
真鲷对低比重海水适应力较弱,在1.020以下时,鱼的耗氧量显著减少,摄食不旺盛。养殖海区比重在1.020以上是比较理想的。真鲷耗氧量和海水流量关系看,尾重500克的真鲷每小时需流量(溶氧5毫升/升)10.7升,安全流量为15升。
适合真鲷养殖的海区必须具备如下几个条件:
1.水深一般为网箱深度的2倍以上
2.海水流动缓,潮流交换畅通
3.周年水温变化在12~28℃范围
4.无大量淡水注入,以及工业污水排入
5.不受台和激流影响
6.饵料来源方便,成鱼出售运输便利
7.无偷盗和航运影响
8.无赤潮发生。
鱼体大小与网目、放养量的关系如下:鱼体全长1~1.5厘米,网目1~2毫米(窗纱),放养量3000尾/立方米;鱼体5厘米以上,网目1厘米,放养量500尾/立方米(网箱规格3×3×3米);体重25克以上放养量一般为6~8公斤/立方米(参见表格)。
真鲷养殖的饵料可分为鲜活饵料和人工配合饲料。鲜活饵料常用的有沙丁鱼、竹荚鱼、鲐鱼、小带鱼、玉筋鱼和小杂虾。
使用鲜活饵料时,应注意鲜度。以防容易引起营养性疾病。使用冷交冻鱼要充分解冻,用海水清洗可加速解冻,还可洗去冻鱼表面的脂肪和污物。人工配合饵料有硬颗粒和湿软颗粒两大类。目前市售的硬颗粒饲料常见成份为粗蛋白45%、粗脂肪3%、粗灰分15%、钙1.8%以上、磷1.2%,以及多种维生素。
真鲷养殖的每天投饵量与水温变化和鱼体大小有直接关系。每天投饵率的变化主要取决于水温,其次是鱼体大小的差异。投饵率以每天投饵量对养殖鱼的体重之比来表示。体重2克左右的幼鱼投饵率为20%;冬季投饵率为1~3%;体重85克以上的鱼,在适温期投饵率为5~8%。
真鲷属杂食性鱼类,可用网箱养殖,每立方米水体养殖10公斤,每天投喂鲜杂鱼1~2次。投饵时速度要慢。吃完后再投,以免浪费饵料。也可用人工配合饵料与鲜杂鱼交叉投喂。
随鱼体的长大,20天左右换一次网,网目逐渐增。注意经常洗刷网衣,以免网目堵塞。

真鲷苗种生产过程中因各种原因,常导致疾病的发生,一旦发病常导致大量死亡甚至全部死亡。因此在育苗期间做到以防为主,若发现病兆,准确判断、及时治疗,这样可大大减轻病害造成的损失。
在苗种生产过程中要注意:
1.培育池及育苗用具使用前后要消毒,最好各种用具要专池专用。
2.禁止过度充气、水流、换水、光照、水温、振动等物理性刺激。
3.加强饵料生物的营养强化,确保饵料生物的活力。
4.加强培育水质及培育池底的管理。
5.选用良好的受精卵及孵仔鱼。
6.对培育水体中的病原微生物和其他病原体实行严格监控和处理。
真鲷养殖中已发现的疾病有如下几种:
1.肝胰腺坏死病(IPN)
病鱼表现体色加深,鳞片疏松,鳍膜破裂出血,表皮也有弥漫性出血。病鱼游动缓慢,身体失去平衡,腹部朝上,急速乱窜,打旋。肝脏贫血,淡红色,电镜检出病毒包涵体。粪便白色。
2.腹部胀满症
病鱼胃部特别膨大,有的腹胀破裂。致病菌为溶藻酸弧菌。可投喂抗菌药物和加强池水消毒。
3.皮肤溃疡病
体表皮肤溃疡,食欲不振,缓慢游动或四旋狂游。病鱼不摄食,严重者2~7日内下沉死亡。主要应谨慎操作,防止鱼体受伤,同时应定期用100×10-6的漂白粉消毒鱼池和定期施用预防药物。
4.腹水病
病鱼腹部膨胀,腹腔内积水,肝脏出血,肾脏肥大。病原菌为爱德华氏菌属。经常保持水质清洁,投喂药饵如土霉素4%-5%,氯每素3-4%。
5.眼病
病鱼眼球白浊,甚至眼球一侧或两侧脱落。为补捞或运输操作不慎所致。使用浓度为1~2ppm的氯霉素全池泼洒,亦可在饵料中添加抗生素、鱼肝油或维生素等药物防治。
6.链球菌病
病鱼眼球充血、白浊、突出、鳃盖、软条骨间皮膜充血发红、上下颚充血。为β溶血性链球菌属的一种感染所致。保持水体清洁,投喂药饵。
7.淀粉卵甲藻病
病鱼鳃上有许多大小不匀颗粒状百点,为淀粉卵甲藻寄生所致,表现为鳃盖开闭不规则,呼吸频率加快,鳃呈白色,病鱼不摄食,游泳力弱,有时跳出水面。可用淡水浸溶2~3min或用1~4ppm硫酸铜全池泼洒。
8.车轮虫病
车轮虫寄生引起鳃部或体表粘液增多,鳃上皮增生,最后引起呼吸窒息而死。可用0.3ppm醋酸铜或17-20ppm硫酸铜全池泼洒,亦可采用浓度较高的药液浸浴杀灭。
9.单殖吸虫病
被寄生鱼鳃丝残缺不全并分泌大量粘液,鳃张开游泳迟缓,体消瘦,最后窒息而死。可在海水中加6%的食盐浸浴1.5min,虫体可脱落80%,亦可用0.3~0.5ppm的敌百虫全池泼洒杀灭。
10.寄生甲壳动物病
如鱼虱、东方鱼虱、鲷鱼虱等寄生,鱼体被侵袭后出现急躁不安,游动失常,乱蹿乱跳,引起呼吸困难窒息而死。必须彻底清池,用2.5%的敌百虫浸浴30min可使虫体脱落。
体色调整
由于饵料及环境的原因,成鱼的体色较自然鱼差,会影响市售价格。在真鲷收获上市前1-2个月内应采取遮光和增加投喂虾类饵料的措施,可使鱼体逐渐再现鲜红色,这时饵料中的鱼虾比例为1:1。
巴斯德氏菌病
病因与症状:病原体为巴斯德氏杆菌,革兰氏染色阴性,不运动,大小0.6~1.2×0.8~2.6微米。病鱼的外观症状是眼球到鼻孔周围的部分,以及尾柄部、背鳍基部、胸鳍其部出现大小不等的脓疡,脓暴露出,涉及范围较深,大多数病灶扩散到骨头。内脏剖检可发现肾脏、脾脏的肿大,有许多白色粟状结块。初病的鱼,食欲不振和出现体色变化,运动缓慢、离开鱼群靠近水面处游泳。有时呈狂燥状态,有时呈螺旋形状游泳。身体和鳍基部等处出现发红,充血斑、出血点等,随着病情的发展患部产生湿症,糜烂,最终表皮破坏,产生出血性溃疡。在病鱼中,有的眼球突出,内液里混有血液的情况。肛门会发红扩大,流出黄色的粘液,胃各肠子空空呈黄白色,肠粘膜褶变少变薄。肝脏、脾脏、肾脏等处大都明显淤血肿大。
治疗方法:盐酸土霉素(土霉素钙)、红霉素、磺胺间甲基嘧啶(或磺胺间甲基嘧啶钠)。
弧菌病
症状与病因:由弧菌侵入血液而引起的全身性感染。病鱼外部症状是鱼体皮肤上皮剥离,同时发生炎症,鳞片损坏、脱落、眼球突出、白浊。各鳍条出现发红和充血斑,背鳍条端部裸露,大多数鱼体表面退色。尤其在水温低时,初期症状大体如此。其次是鱼体内部的症状,内脏各器管被侵袭,往往出现点出血情况。尤其是肠炎、肝脏和肾脏的病变显著,重者大多数鱼的内脏失色、脆弱化或变成半融解状态。胆囊由淡绿变成透明、肛门出血开口、鳃贫血等;患病的鱼食欲不振、游泳无力,逐渐离群,最终所有病鱼形成不规则的游泳行动。大多数病鱼在死亡之前作旋转、狂奔动作。
防治方法:措施是防止外伤而继发感染。海捕苗“机伤”多,入网箱之前要把苗种药浴一次。药浴采用呋喃西林1~2ppm。
适用药物:盐酸土霉素(土霉素钙)、红霉素、磺胺间甲基嘧啶(或磺胺间甲基嘧啶钠)。
滑走细菌病
病因与症状:病原体为滑走细菌,菌体细长杆状,无鞭毛,柔韧可屈由,靠滑行运动,一般大小0.5~0.6×4~20微米,长的达30~ 40微米,革兰氏染色阴性。病鱼头部吻端皮肤糜烂发白或呈黄白色,尾鳍蚀损。此菌常于弧菌并发。
防治方法:红霉素、呋喃唑酮50~60mg/kg体重。任选一种每天一次,连续5~6天拌饵投喂。
黄脂症
病因与症状:该病多发生于养殖2年以上的成鱼,脂肪由黄褐色变成黄红色,内脏与腹膜粘连。头盖骨中的脂肪也变黄,由此,头部骨骼坏死,也有朝体外开口的情况。病鱼一般食欲显著下降,尽管食欲不振却能长期拖延,而身体逐渐消瘦,死亡时外部无异状。该病的起因是长期投喂变质饵料或多脂肪饵料,是饵料性的脂肪酸中毒,由口进入的变坏脂肪质进入了鱼的脂肪组织,鱼出现炎症。
防治方法:是投喂添加复合维生素的饵料,以及新鲜优质饵料。
淋巴囊肿病
病鱼体表现出大量小水泡状物,同时可在各鳍发现水泡块状。小球状的硬,结互相游离或聚集在一起,聚集在一起时,从外表看就好象呈花菜形状。发育到异常大的胞细,叫作“淋巴细胞”。患病轻的鱼,在摄食和游泳等方面无特别异常的状态,介较容易发现各鳍异常及退色。患病的鱼,在各鳍条棘之间出现水泡样的淋巴腺细胞列,但症状发展下去,则体侧表形成淋巴腺细胞块。
绿肝病
病因与症状:鱼长期绝食导致胆汁倒流肝脏;粘液胞子虫胆管内大量寄生造成胆汁回流受阻;长期投喂变质饵料导致肝脏病变。病鱼外观鱼体变黄,剖检肝脏部分或全部呈绿色。症状严重的鱼会死亡。
治疗方法:投喂添加复合维生素的饵料,以及新鲜优质饵料。
淋巴性白血病
人工养殖的真鲷中有的鱼体体色变白,离群独游于水面,体表有溃疡病灶。解剖鱼体检查其肾肿大,并有绿肝症状、腹腔内带有血液的腹水。真鲷发病后死亡率可达10~20%。
目前还没有找到有效的防治方法,但当真鲷发生这种疾病时,应及时投喂抗菌素和大量的复合维生素,可减轻死亡,降低经济损失。 密切关系,放养密度疏些会减少疾病的发生。养殖期间采取人工定期拉疏鱼的养殖密度,保证良好的饲养环境,是防治真鳃此病的最好方法。
双阴道虫病
1.主要病原
真鲷双阴道虫。
2.主要症状与诊断
肉眼可见到黑褐色虫体。虫体吸食鱼血,寄生数量多时,宿主严重贫血,鳃丝变为苍白,肝肾变色。病鱼粘液增多,运动失调,头部左右摆动。鳃盖张开,食欲锐减,最后呼吸困难而死。肉眼观察并结合镜检方法确诊。
3.流行情况
双阴道虫病是严重危害真鲷养殖的病害之一。在山东,广东、福建等地均时有发生,甚至水族箱中的真鲷亦可受害。以当年鱼发病较为严重,春季、冬季常见。
4.防治方法
①可用浓盐水(在海水中另加6%的食盐)浸泡15分钟,但注意勿使患病鱼受伤;
②1%的过氧化焦磷酸钠海水溶液浸洗病鱼1分钟(水温18~19℃时),虫体可全部脱落;
③水族箱中,可用浓度为17毫克/升漂白粉(有效氯含量为25%~30%)浸泡病鱼,并关闭循环水40~60分钟(水温18~25℃时),每日用药1次,连用5次。

“钓真鲷基本重点”:
1.将诱饵一口气的多打入所定的目标点,使鱼浮上较浅的层次。
2.要考虑潮流的速度,为了使钓饵在浮标 钓真鲷 的前方行走,一定要给予适当的控线,给予主线适当的煞车。
3.若要攻击大型的真鲷,不仿使用多变化的钓法,当“潮底开始动”的时候,也就是最好的时机到了! 要好好把握那个机会!
4.细子线也可以钓到80公分以上的真鲷,逃窜力度强劲!只须设法压抑第一次的逃窜力量,就基本是没大障碍了。
在中国南方的冬天里最冷的时候,也就是真鲷出现的时候。但在季节来临的时候,中国的钓场就首推渔山群岛及舟山群岛了!
真鲷是季节性较强的鱼类,在中国来看,旧历年,南方钓场常有钓到真鲷的消息出现,接着就是四五月份开始的渔山群岛钓季,接着就是五六月份的舟山群岛的钓季。这样看来不难想象到时期而言,春天是南向北行,而秋天是北向南行。(先是九月舟山群岛的渔讯,再就是十月渔山群岛的渔讯。)
真鲷和黑鲷一样,两者都喜欢在岩石及沙质地交错的水域回游,而不喜欢在岩质的海底回游,了解真鲷的习性无形中可将选择钓点的范围缩小很多了!
钓真鲷有浮游矶钓法及诱饵笼钓法。在适当的场合,采用适当的钓法。
诱饵笼钓法的技巧:只要有真鲷的钓场里都可以通用的方法。
钓组的设定:矶竿最好选用3 号的硬调矶竿,鱼竿的长度虽然基本是5.3 米,但使用6.3米的鱼竿比较好操作。若有一根5.3 米且可伸长到6.3 米的3 号竿,那么在使用上就可以很方便了。因为若想远投时,将鱼竿伸长到6.3 米,但考虑到身后有礁石时,可缩短至5.3 米。在钓到鱼时,若将竿伸长到6.3 米,起鱼时更容易起到鱼。
鱼绞的绞轮没有一定的指定,只要是5号的主线,能绞上100米以上就可以了。
浮标可使用火箭筒式的浮标及棒式浮标,负荷浮力最好是12号到15号的。
子线最好使用5 号以上的三浔(约4.5 米)! 虽然最好是四浔(约6米)长的子线!但考虑到鱼竿的长度及取鱼时的不方便! 所以最大限度是3 浔(约4.5 米)! 为什么要使用长子线呢? 这里有几种原因的:一是长子线在乘流时漂动性较大!可使真鲷除掉警戒性而一口气将钓饵吃下去! 另一原因是钓真鲷而使用的诱饵笼 因一口气可以落到攻击的钓棚!而一口气落到目标钓层时可避开杂鱼的干扰 ! 但在有杂鱼来到时若子线太短则使钓饵诱饵笼太近则钓饵很容易被杂鱼吃掉! 若子线够长当诱饵笼到达目标后诱饵开始向外散出时!因子线够长使得钓饵和诱饵有一定的距离! 使得钓饵不容易被其它的杂鱼吃掉!
矶钓时,可将火箭型的浮标和诱饵笼直接连接使用!而船钓时或水深时 可以使用小型天坪以免钓组打结而缠在一起!
鱼钩最好一口气使用大号的!最常用的是伊势尼12号钩(我在渔山时用的切割黑毛12号钩)! 因为它的轴较粗有相当的强度! 而不会因钓到大型的真鲷而折断!另一是使用大钩时不会因真鲷吃钩向外冲时因而容易脱钩! 所以目标鱼是大真鲷时尽量使用大钩!
技巧方面:
所谓的在礁石上矶钓真鲷时!整套钓组不必考虑到幼细问题!或者刻意的去配合!一般粗线大钩的钓组就可以的!如果以挂钩率来说!使用大钩比小钩要好很多!
矶钓真鲷的重点:
首要讨论的是装诱饵的诱饵笼! 钓真鲷 到现在为止在矶钓钓真鲷的场合里! 所有的诱饵笼都是一些尼龙做的网笼! 但若钓十五米或十八米以上的深度时!要到那深度的钓棚要很长的时间! 是一个很大的缺点!因从水面到钓棚的时候!诱饵在中途一点点散掉!实际到达钓棚时诱饵已所剩无几而达不到实际诱鱼的效果!这不是钓真鲷的一个好方向!
随而出来的产品是用塑料制成的产品!而此诱饵笼下部内藏铅丸!可迅速的抵达钓棚!因而减少诱饵在下沉中途的损失!这种诱饵笼有各种号数!若要以十五米以上的钓棚为主时!主要以十号或十二号的诱饵笼比较容易使用!
真鲷钓法
矶钓真鲷时,有时上了礁石上真不知从何处开始下手该好! 若有探鱼器探测到鱼存在的位置固然最好!为了节省时间!基本以离底二米到四米设为开始钓棚!若钓到黑鲷则调浅1.5~2米为基础!然后在找出适当的钓层随着潮流将钓组放流出去等鱼上钩!不必要做各种的引诱!但一定要保持钓饵比浮标先行!不需要做复杂的想法!诱饵笼里的诱饵撒出来的时候!只要稍微给予适当的煞车或一些伸张! 让钓饵先行就很容易了!
流速快时时时刻刻给一点煞车! 若流速慢时只要让钓组停住一分钟下面的子线自然伸的很直!然后放流三十秒停一分钟的步骤放出五米!
然后将钓组收回看看钓钩上有无钓饵!若钓饵不存在时!第二次放流在四米处收回!循环的5M~4M~3M~~~~5M~4M~3M 一直确认钓饵在不在钩上!这样可以题高效果!
相反若首次放流出去! 在五米处收回确认钓饵时若钓饵还存在! 则第二次放流放出六米!第三次七米!5M~~6M~~7M~~8M~~9M ~~~5M~~6M~~7M~~8M~~9M ! 慢慢加长放流的距离!但不要超过十米以上!因放流时间越长则诱饵量会少了很多! 而不会起到引诱真鲷的效果!所以要按当时的情况做适当的调整就可以了!
当鱼吃饵时,为了确实证明中鱼,最好等着拉动鱼竿后在扬竿,然后同时尽量使鱼早一些浮出水面。
鲷类鱼始终都是近底层,若不早一点让鱼浮出水面,则很容易被水中暗礁将线割断。等鱼浮出,基本上已没有大障碍了。等鱼呛几口水,再捞鱼就可。一般五号子线70 ~80 公分一点问题都没有的。所以可以按部就班的不用太着急的起鱼,若旁边的钓友钓到真鲷时,可问一下钓棚的深度,然后再确认自己的钓棚深度就可。
诱饵方面使用南级虾就可以,不要将虾铲碎,保持原状放入诱饵笼里,从尾部向头的方向,将钩由虾背穿出。将虾肚向外。





真鲷,硬骨鱼纲,鲈形目,鲷科,真鲷属。 地方名:加吉鱼、红加吉、铜盆鱼、大头鱼、小红鳞、加腊、赤鲫…




黑鲷是鲈形目鲷科棘鲷属的一种硬骨鱼,俗称海鲋、青鳞加吉、青郎、乌颊、牛屎鱲、乌翅、黑加吉、黑立、海鲫和铜盆鱼等。体呈长椭圆形,侧扁,头中大,吻钝尖。口小,上、下颌等长;体被中等大的弱栉鳞,体侧通常有5~7条黑色条纹。背鳍棘坚硬,臀鳍第二鳍棘尤甚;体背部为灰黑色,侧线起点处有黑斑点,体侧常有数条不明显的暗褐色横带,腹部银白。黑鲷分布于中国、日本和韩国等地的沿岸、港湾及河口,属内湾性鱼类,在中国,以黄海、渤海数量较多。黑鲷为浅海、底层鱼类,喜栖于沙、泥底或多岩礁的清水中,为广温、广盐性鱼类,对于环境适应能力较强。黑鲷为杂食性鱼类,在自然海区,以软体动物的蛤类、小鱼虾类为主食,有时也吃海藻,人工养殖可采用低值鱼虾贝类或配合饵料投喂。黑鲷具有很强的繁殖力,雌雄同体,雄性先熟,怀卵量达200万~300万粒以上。黑鲷是名贵海产鱼之一,全体药食兼用。具有健脾利水、补气活血的功效;用于脾虚水肿、小儿脾胃不




黑鲷是鲈形目鲷科棘鲷属的一种硬骨鱼,俗称海鲋、青鳞加吉、青郎、乌颊、牛屎鱲、乌翅、黑加吉、黑立、海鲫和铜盆鱼等。体呈长椭圆形,侧扁,头中大,吻钝尖。口小,上、下颌等长;体被中等大的弱栉鳞,体侧通常有5~7条黑色条纹。背鳍棘坚硬,臀鳍第二鳍棘尤甚;体背部为灰黑色,侧线起点处有黑斑点,体侧常有数条不明显的暗褐色横带,腹部银白。黑鲷分布于中国、日本和韩国等地的沿岸、港湾及河口,属内湾性鱼类,在中国,以黄海、渤海数量较多。黑鲷为浅海、底层鱼类,喜栖于沙、泥底或多岩礁的清水中,为广温、广盐性鱼类,对于环境适应能力较强。黑鲷为杂食性鱼类,在自然海区,以软体动物的蛤类、小鱼虾类为主食,有时也吃海藻,人工养殖可采用低值鱼虾贝类或配合饵料投喂。黑鲷具有很强的繁殖力,雌雄同体,雄性先熟,怀卵量达200万~300万粒以上。黑鲷是名贵海产鱼之一,全体药食兼用。具有健脾利水、补气活血的功效;用于脾虚水肿、小儿脾胃不




真鲷,硬骨鱼纲,鲈形目,鲷科,真鲷属。 地方名:加吉鱼、红加吉、铜盆鱼、大头鱼、小红鳞、加腊、赤鲫…






















