
眼点丽鱼又称皇冠三间、孔雀鲈,为鲈形目,慈鲷科,丽鱼属一种淡水鱼类。…




黄姑鱼是鲈形目石首鱼科黄姑鱼属鱼类。黄姑鱼身体延长而侧扁,耳石尖圆形,…




马夫鱼。成鱼体甚侧扁,背缘高而隆起,略呈三角形。背鳍鳍棘11根,第四鳍棘延长呈鞭状,鳍膜亦随之延长…




横带刺尾鱼,刺尾鱼科刺尾鱼属的一种鱼类。俗名条纹刺尾鱼。鱼吻及下颌周围有淡色环。体被细小栉鳞。体色…




四带笛鲷,学名:Lutjanus kasmira ,为笛鲷科笛鲷属的一种鱼类。全长达300毫米。体…




黑鲷是鲈形目鲷科棘鲷属的一种硬骨鱼,俗称海鲋、青鳞加吉、青郎、乌颊、牛屎鱲、乌翅、黑加吉、黑立、海鲫和铜盆鱼等。体呈长椭圆形,侧扁,头中大,吻钝尖。口小,上、下颌等长;体被中等大的弱栉鳞,体侧通常有5~7条黑色条纹。背鳍棘坚硬,臀鳍第二鳍棘尤甚;体背部为灰黑色,侧线起点处有黑斑点,体侧常有数条不明显的暗褐色横带,腹部银白。黑鲷分布于中国、日本和韩国等地的沿岸、港湾及河口,属内湾性鱼类,在中国,以黄海、渤海数量较多。黑鲷为浅海、底层鱼类,喜栖于沙、泥底或多岩礁的清水中,为广温、广盐性鱼类,对于环境适应能力较强。黑鲷为杂食性鱼类,在自然海区,以软体动物的蛤类、小鱼虾类为主食,有时也吃海藻,人工养殖可采用低值鱼虾贝类或配合饵料投喂。黑鲷具有很强的繁殖力,雌雄同体,雄性先熟,怀卵量达200万~300万粒以上。黑鲷是名贵海产鱼之一,全体药食兼用。具有健脾利水、补气活血的功效;用于脾虚水肿、小儿脾胃不




巨石斑鱼,是鲈形目鮨科石斑鱼属鱼类。体型大,最大体长达2米,一般体型在600-700毫米。体延长,…




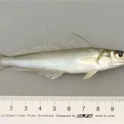
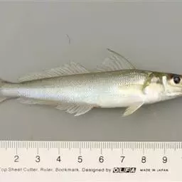
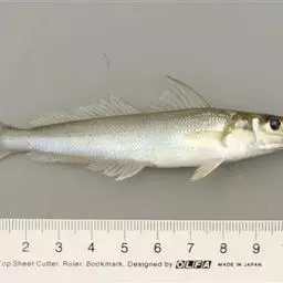
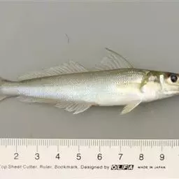
多鳞鱚,Sillago sihama ,鱚科鱚属的一种鱼类。主要分布于印度洋-西太平洋的热带海域,…


















