鮸鱼为鲈形目石首鱼科,体色银灰。多产东海舟山洋面。鮸鱼一般每尾重2~3斤,最大有百余斤。分布渤海、黄海、东海、南海等水域。
基本信息

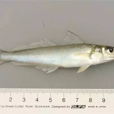
鮸鱼体延长而侧扁,背、腹部浅弧形,一般体长45~55厘米、体重 500~1000克,大的个体可达10多千克、口大而微斜、体被栉鳞、鳞片细小,表层粗糙,头部被圆鳞、颌孔4个,中央颌孔及内侧颌孔呈四方形排列,无颌须。上颌外行牙和下颌内行牙扩大,呈犬牙状,内面小牙成带状群、眼圈大、眼膜透明度高红而明亮。体呈蓝灰褐色,腹部为灰白色、背鳍2个连在一起,中间有一深缺刻。鳍棘上缘为黑色,鳍条部中央有一纵行黑色条纹;胸鳍基部黄色、边缘黑色;臀鳍具2棘;尾鳍呈楔形,尾鳍的基部为黄色,其边缘颜色稍浅。

鮸鱼为暖水性底层鱼类,栖息于水深15~70 m,底质为泥或泥沙处。白天下沉,夜间上浮,喜欢小股分散活动,不集成大群。鮸鱼为小区域性洄游鱼类,产卵季节鱼群相对集中。
鮸鱼的生殖期,在朝鲜沿岸为9~10月,在长江口外海为7 、8月,在舟山群岛附近为5 、6月。体长一般不超过1m,体重多在5 kg以内。鮸鱼的生长比小黄鱼、白姑鱼迅速。渔获物的一般长度为450~550 mm,体重为1500~2500 g。
鮸鱼属于捕食性鱼类,摄食小型鱼类、关足类和十足类如黄鲫、青鳞鱼、小黄鱼和鳍鱼等,以及对虾、中国毛虾和鼓虾等虾类。

属暖水性近底层鱼类,主要产卵区在舟山北部岛屿。 分布在北太平洋西部。我国沿海均产之。

鮸鱼在中医学上具有食补的温和疗效。吃鮸鱼能补血,如果身体有轻微发炎现象,吃鮸鱼也可以缓解消炎。一般来说,吃鮸鱼还能润肺健脾、强健身体。
鮸鱼的头部有巨大的耳石,这个部分可以作为中药,具有清热解瘀、利尿的功能,煮成汁服用,还可以解各种毒性。其鱼鳔可做药用。

带鱼是鲈形目带鱼科带鱼属的鱼类,俗称刀鱼、白带鱼、牙带鱼、裙带、肥带、油带等。体延长呈带状,甚侧扁,…




蓝圆鲹属鲹科、圆鲹属鱼类。体呈纺锤形,微侧扁。下颌稍突于上颌。上颌延伸至眼前缘之下方。上下颌各具一…




非洲王子是一种如同鲈鱼一般的典型的鲈形目的体型的鱼。小型慈鲷,成年个体10~12cm,如同鲈鱼一般…




沙塘鳢,是鲈形目塘鳢科沙塘鳢属鱼类。沙塘鳢体长48-135毫米,粗壮,头大而阔,稍扁平,腹部浑圆,…




炸弹鱼,英文名:Bullet mackerel,又名鲣鱼, 炸弹鱼属金枪鱼科鱼类。…




四带笛鲷,学名:Lutjanus kasmira ,为笛鲷科笛鲷属的一种鱼类。全长达300毫米。体…




背鳍有5根弱小鳍棘,向后顺序增长。侧线止于尾柄前方。体侧有5条横带;第一条最窄,自背部穿过眼径达到…




非洲王子是一种如同鲈鱼一般的典型的鲈形目的体型的鱼。小型慈鲷,成年个体10~12cm,如同鲈鱼一般…


















