大眼鲷,Priacanthus tayenus (Richardson, 1846),大眼鲷科大眼鲷属的一种鱼类。又称大目鱼,大目莲,潮汕地区俗称红目鲢。体稍延长,侧扁;头中等大;吻颇短;眼大;口大,向上倾斜;下颌稍长于上颌,向前方突出;牙细小,圆锥形;前鳃盖偶角处有一个带锯齿缘的强大棘;体被栉鳞,细小而粗糙,坚固不易脱落;侧线完全;背鳍鳍棘向后逐渐增长;背鳍鳍条部与臀鳍同型;胸鳍短小,腹鳍长大,鳍膜间有黑色斑点;尾鳍上下叶向后呈丝状延长。
基本信息

大眼鲷Priacanthus tayenus;bigeyes
分类学地位 taxonomy
|__真核生物域Eukarya
|__动物界Fauna
|__脊索动物门Chordata
|__脊椎动物亚门Vertebrata 大眼鲷 |__有颌上纲Gnathastomata
|__硬骨鱼纲Osteichthyes (鱼纲Pisces__硬骨鱼系)
|__幅鳍亚纲Subclass Neopterygii
|__棘鳍总目Acanthopterygii
|__鲈形目Perciformes
|__鲈亚目Percoidei
|__鲈总科Percoidea
|__大眼鲷科Priacanthidae

鲈形目(Perciformes)大眼鲷科(Priacanthidae)约18种海鱼的统称,其中一些种类称为金时鲷(catalufa)。体鲜红,有些则色浅或色深,色深者或带杂色斑;多具圆形大眼。栖息于各大洋的热带与亚热带海区,大部分为肉食性,且於夜间活动。大西洋的普通大眼鲷(Priacanthus arenatus)长可达41厘米(16英寸)。斑鳍大眼鲷(P. cruentatus,玻眼啮鱼、金时鲷)见於大西洋与太平洋,长约30厘米。锯大眼鲷(Pristigenys serrula,突眼斑鳍大眼鲷)为太平洋种。
大眼鲷属的一种。又称大目鱼,大目莲。体稍延长,侧扁;头中等大;吻颇短;眼大;口大,向上倾斜;下颌稍长于上颌,向前方突出;牙细小,圆锥形;前鳃盖偶角处有一个带锯齿缘的强大棘;体被栉鳞,细小而粗糙,坚固不易脱落;侧线完全;背鳍鳍棘向后逐渐增长;背鳍鳍条部与臀鳍同型;胸鳍短小,腹鳍长大,鳍膜间有黑色斑点;尾鳍上下叶向后呈丝状延长。大眼鲷为暖水性底层鱼类,分布于西太平洋、热带及亚热带海域,自印度尼西亚到日本;中国主要产于南海和东海南部。通常栖息于底质为沙泥、水深25~75米的海区。游泳缓慢,不作长距离洄游。食物主要为长尾类、桡足类和端足类等。一般体长120~160毫米,大者可达250毫米。在南海常年均可捕获,冬春旺汛。因皮厚肉粗,多制成干品,部分鲜销。
也是大眼鲷科(Priacanthidae)约18种海鱼的统称。

鱼眼有大有小,形状各异,这与它们日常所接触光线的强弱有关系。通常生活在水上层活动的鱼大都有一双正常的眼,而生活在浑浊的水底或者常常钻入泥里的鱼,如泥鳅、黄鳝等,视觉就不太重要了,所以眼睛变得很小。生活在水深500米以下的鱼类,由于那里的光线极弱,所以它们的眼睛很大,否则会看不到东西。例如生活在我国南海的大眼鲷,眼睛竟占头的长度的1/2,可以算是头眼比例的冠军了。但是,栖息在水深2000米左右的深海鱼,情况却完全相反,由于那里根本就没有光线,眼睛再大也不管用,所以它们的眼睛就变得非常小,甚至完全退化了。

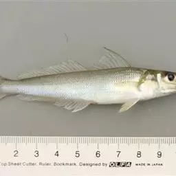
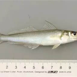
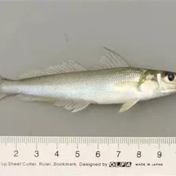
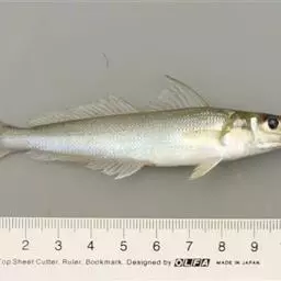
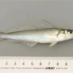
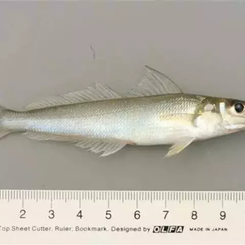
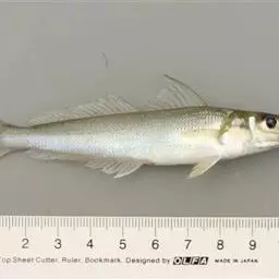
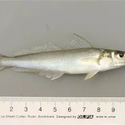
多鳞鱚,Sillago sihama ,鱚科鱚属的一种鱼类。主要分布于印度洋-西太平洋的热带海域,…




沙塘鳢,是鲈形目塘鳢科沙塘鳢属鱼类。沙塘鳢体长48-135毫米,粗壮,头大而阔,稍扁平,腹部浑圆,…




大西洋蓝鳍金枪鱼:是鲭形目、鲭科、金枪鱼属的海洋动物。体长可达3米,…




多鳞鱚,Sillago sihama ,鱚科鱚属的一种鱼类。主要分布于印度洋-西太平洋的热带海域,…




火鹤鱼,热带鱼,鱼学名:Cichlasoma citrinellum 别名寿星头、寿星鱼,…




金钱鱼,学名Scatophagus argus,英文名Spotted scat,商品名为金鼓鱼。…




泰国斗鱼,学名为五彩搏鱼,隶属于鲈形目、攀鲈亚目、斗鱼科。原生长在热带地区的湖沼、稻田等水流缓慢水…




斑点鸡笼鲳,Drepane punctata ,帘鲷科鸡笼鲳属的一种鱼类。体侧扁而高,…
























