角镰鱼(学名:Zanclus cornutus)属镰鱼科,广泛分布于印度-太平洋及东太平洋区,自非洲东部到墨西哥,北至日本南部及夏威夷群岛,南到罗得豪及拉帕岛;包括密克罗尼西亚。
基本信息

广泛分布于印度-太平洋及东太平洋区,自非洲东部到墨西哥,北至日本南部及夏威夷群岛,南到罗得豪及拉帕岛;包括密克罗尼西亚。

镰鱼科最大体长为23 cm,体极侧扁而高。口小;齿细长呈刷毛状,多为厚唇所盖住。吻突出。成鱼眼前具一短棘。尾柄无棘。背鳍硬棘延长如丝状。体呈白至黄色;头部在眼前缘至胸鳍基部后具一极宽黑横带区;体后端另具一黑横带区,区后具一细白横带;吻上方具一三角形而镶黑斑三黄斑;吻背部黑色;眼上方具两条白纹;胸鳍基部下方具一环状白纹。腹鳍及尾鳍黑色,具白色缘。

主要栖息于舄湖、礁台、清澈的珊瑚或岩礁区,栖息深度在3-182公尺。经常被发现成小群优游于礁区。主要以小型带壳的动物为食。 生活于3~182公尺海域,仔稚鱼具长时间的漂浮期,成鱼三五成群洄游於礁石区间,尤其喜在大礁或断崖之边缘活动,夜间栖身於珊瑚礁底部或凹陷处休息。杂食性,以藻类或小型无脊椎动物为主。

印度-太平洋热带海域,包括台湾南部、北部、东北部及兰屿、绿岛、澎湖海域。

水族馆展示之重要鱼种,据报载在水族箱内有存活十年之记录。

蜂巢石斑鱼,Epinephelus merra ,鮨科石斑鱼属的一种鱼类。俗名:网纹石斑鱼、蜂巢格…




罗汉鱼,是鲈形目慈鲷科慈鲷属的鱼类。其体形侧扁,体长与体高基本相等;头额突出,眼圈朱赤,…




银方头鱼为我国一般经济鱼类之一。肉质较细嫩,呈蒜瓣形,营养丰富。…




眼斑双锯鱼,背鳍硬棘被橘黄色斑块分割为5-6枚,第4枚最长,约为头长的2.1-2.9倍。胸鳍、臀鳍…




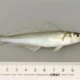
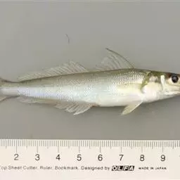
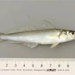
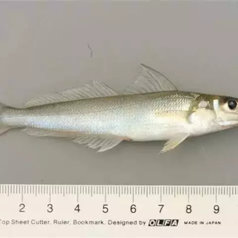
多鳞鱚,Sillago sihama ,鱚科鱚属的一种鱼类。主要分布于印度洋-西太平洋的热带海域,…




丝蝴蝶鱼,又称扬幡蝴蝶鱼,俗名人字蝶,为辐鳍鱼纲鲈形目蝴蝶鱼科的其中一种。…




透红小丑,Premnas biaculeatus ,雀鲷科棘颊雀鲷属的一种鱼类。主要栖息于遮蔽的…




攀鲈,是鲈形目攀鲈科攀鲈属一种。又称太阳鱼。其体侧扁,口次上位,…


















