






蓝点马鲛,又名鲅鱼、马交、燕鱼,是鲭科马鲛属的一种暖水性大型中上层洄游鱼类。体呈纺锤形,…




红宝石鱼是鲈行目慈鲷科伴丽鱼属 鱼类,又名红花鲈、宝石鱼。个体较大,身长12—15厘米。背鳍宽大,…




沙塘鳢,是鲈形目塘鳢科沙塘鳢属鱼类。沙塘鳢体长48-135毫米,粗壮,头大而阔,稍扁平,腹部浑圆,…




新月锦鱼又称青衣龙,花面龙,花面绿龙,为鲈形目,隆头鱼科,锦鱼属一种热带地区近岸珊瑚礁海域生活的鱼类。…




蜂巢石斑鱼,Epinephelus merra ,鮨科石斑鱼属的一种鱼类。俗名:网纹石斑鱼、蜂巢格…




泰国斗鱼,学名为五彩搏鱼,隶属于鲈形目、攀鲈亚目、斗鱼科。原生长在热带地区的湖沼、稻田等水流缓慢水…




背鳍有5根弱小鳍棘,向后顺序增长。侧线止于尾柄前方。体侧有5条横带;第一条最窄,自背部穿过眼径达到…




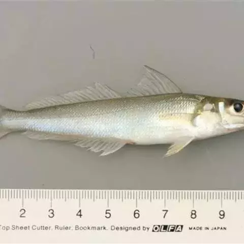
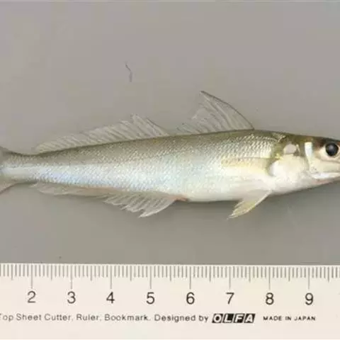
炸弹鱼,英文名:Bullet mackerel,又名鲣鱼, 炸弹鱼属金枪鱼科鱼类。…


















