
眼斑双锯鱼,背鳍硬棘被橘黄色斑块分割为5-6枚,第4枚最长,约为头长的2.1-2.9倍。胸鳍、臀鳍…




红笛鲷是笛鲷科、笛鲷属鱼类。体被大栉鳞。背鳍Ⅻ-14,臀鳍Ⅲ-9,胸鳍17,腹鳍I-5,…




带鱼是鲈形目带鱼科带鱼属的鱼类,俗称刀鱼、白带鱼、牙带鱼、裙带、肥带、油带等。体延长呈带状,甚侧扁,…




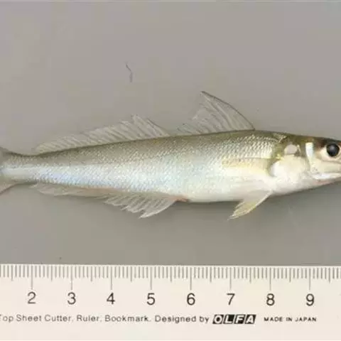
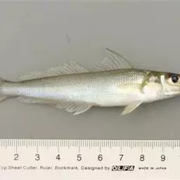
多鳞鱚,Sillago sihama ,鱚科鱚属的一种鱼类。主要分布于印度洋-西太平洋的热带海域,…




斑点鸡笼鲳,Drepane punctata ,帘鲷科鸡笼鲳属的一种鱼类。体侧扁而高,…




非洲凤凰是最早从马拉维湖出口的慈鲷之一。体长约15厘米,捕食性鱼类。幼鱼为鲜黄色,…




四带笛鲷,学名:Lutjanus kasmira ,为笛鲷科笛鲷属的一种鱼类。全长达300毫米。体…




月鳢是鲈形目鳢科月鳢属鱼类,又称七星鱼、山花鱼、山斑鱼、张公鱼等。头大而宽扁;吻短而圆钝,…


















