新月锦鱼(Thalassoma lunare)又称青衣龙,花面龙,花面绿龙,为鲈形目,隆头鱼科,锦鱼属一种热带地区近岸珊瑚礁海域生活的鱼类。新月锦鱼分布于印度洋西部至东部,西太平洋日本海至澳大利亚东南部海域,色彩丰富,可作为观赏鱼。
基本信息

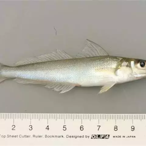
新月锦鱼体长一般为10~15厘米,大者可达30厘米。
体侧扁。幼鱼背部黄而腹部白,背鳍与尾柄具黑斑;雌鱼草绿色,头部具粉红放射纹,尾鳍截形;雄鱼为宝蓝色,头部仍有花纹,特征是胸鳍紫红色且尾鳍中央亮黄色。
新月锦鱼
侧线完全,在体侧后方向下弯曲。背鳍鳍棘8根。上下颌前端有1或2对犬世,两侧为1行锥形牙。幼鱼尾鳍淡红色,呈圆形或略截形,背鳍及尾柄上各有一黑色小斑;成鱼尾鳍上下叶鳍条延长,中叶为黄色,呈新月形,黑色小斑消失,体侧各鳞片出现1条紫色垂直线纹。暖水性中小型鱼类。栖息于岩礁及珊瑚礁海区。体长一般为100~150毫米,大者可达300毫米。

新月锦鱼分布于印度和太平洋中部及西部,包括台湾南部、北部、东北部及兰屿、绿岛、澎 新月锦鱼 湖海域。

新月锦鱼生活于1~20米的海域,有些雌鱼会性转变为终期雄鱼,具领域性。主要以摆动胸鳍的方式游泳,活动力强,很少停止游动;夜间则在岩礁或珊瑚的凹陷处休息。肉食性,以小型无脊椎动物为主。

花面绿龙也叫青衣龙,是最常见和廉价的隆头鱼品种,在我国南部沿海城镇,此鱼为次经济鱼类,主要用于煲汤。在引进生物岩石时,甚至从石头缝隙里可以找出几条,放到水里它依然欢蹦乱跳,可见在离开水后,只要环境保持潮湿,其也能存活数小时。它们什么都吃,而且只要放入水族箱后,就开始寻觅食物,从不畏惧其它品种的鱼。

花面绿龙很好养,很少见到这种鱼患病,因为它们本身也分布在污染较严重的海域。如果饲养的水足够好,这种鱼会呈现出鲜艳的绿色,尾鳍上月牙样的黄色斑块十分明显,因此,得名新月锦鱼。它们非常机敏,只要水族箱中有躲避区域,即便是很强的捕食鱼类(如鲨鱼、狮子鱼)也很难将它们捉到吃掉。

饲养这种鱼需要注意的就是它们袭击其它鱼和无脊椎动物,在饥饿的时候它们可以捕食雀鲷、虾虎和小丑鱼,而且杀害珊瑚与软体动物,所以最好和大型鱼类饲养在一起。如果将花面绿龙捕捞上来,需防其咬手,它们具有锋利的牙齿,而且身体转动自由灵活。花面绿龙可以生长到500px,当完全成熟后,颜色会更为鲜艳。

黄姑鱼是鲈形目石首鱼科黄姑鱼属鱼类。黄姑鱼身体延长而侧扁,耳石尖圆形,…




孔雀鲷,Aulonocara jacobfreibergi Lwanda,慈鲷科孔雀鲷属。




灰额刺尾鱼,Acanthurus glaucopareius Cuvier,刺尾鱼科刺尾鱼属的一种…




非洲王子是一种如同鲈鱼一般的典型的鲈形目的体型的鱼。小型慈鲷,成年个体10~12cm,如同鲈鱼一般…




银方头鱼为我国一般经济鱼类之一。肉质较细嫩,呈蒜瓣形,营养丰富。…




金钱鱼,学名Scatophagus argus,英文名Spotted scat,商品名为金鼓鱼。…




红小丑,俗称西红柿,属鲈形目雀鲷科海葵鱼属,是小丑鱼的一种。




鮸,是鲈形目石首鱼科鮸属暖温性中下层鱼类。身体延长而侧扁,有4个须孔;耳石椭圆形,…
























