
蜂巢石斑鱼,Epinephelus merra ,鮨科石斑鱼属的一种鱼类。俗名:网纹石斑鱼、蜂巢格…




褐点石斑鱼为辐鳍鱼纲鲈形目鲈亚目鮨科石斑鱼属的鱼类。分布于红海、印度洋非洲东岸至太平洋波利尼西亚、…




炸弹鱼,英文名:Bullet mackerel,又名鲣鱼, 炸弹鱼属金枪鱼科鱼类。…




火口鱼,Cichlasoma meeki,慈鲷科丽体鱼属,出产在中美洲,鱼长15厘米以上,…




蓝圆鲹属鲹科、圆鲹属鱼类。体呈纺锤形,微侧扁。下颌稍突于上颌。上颌延伸至眼前缘之下方。上下颌各具一…




泰国斗鱼,学名为五彩搏鱼,隶属于鲈形目、攀鲈亚目、斗鱼科。原生长在热带地区的湖沼、稻田等水流缓慢水…




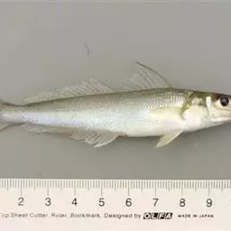
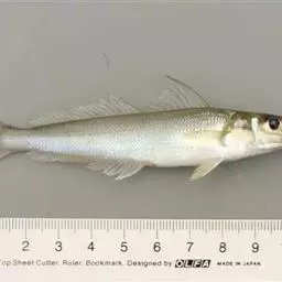
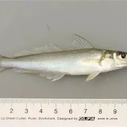
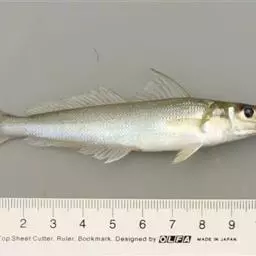
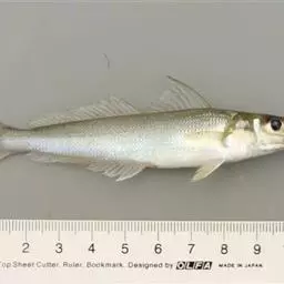
多鳞鱚,Sillago sihama ,鱚科鱚属的一种鱼类。主要分布于印度洋-西太平洋的热带海域,…




淡水石斑鱼是鲈形目丽鱼科丽体鱼属鱼类,又名马拉丽体鱼、花老虎等。体侧扁,纺锤形;口上位,…


















