狐面鱼,学名:Siganus vulpinus (Schlegel and Müller, 1845),又名狐狸鱼,分布于菲律宾、中国台湾、太平洋的珊瑚礁海域,属臭肚鱼科。体长15-20cm,椭圆形。头部三角形,嘴尖前突。眼睛靠近头顶。体色金黄,背部中央有一棕色圆斑,头部银白色,两眼间有一条棕色环带,胸部和胸鳍基部棕色,脸面花纹图案酷似狐狸头面而的名。饲养水温27-28摄氏度,海水[url]比重1.022-1.023,海水ph值8.0-8.5,饵料有冰冻鱼虾肉、水蚯蚓、藻类、切碎烫熟的菜叶、海水鱼颗粒饲料等。
基本信息

本种鱼体色为土黄色,头部有两条黑斜线,一条过眼径,结群在长有藻类的平坦礁区觅食,饲养容易,但慎防背棘有毒,喜食植物性饲料。
最好单独饲养,如果想成对饲养或小群饲养,水族箱不能少于750升或更大。可以与温和的鱼混养,也可与凶猛的鱼混养。喂食各种植物性饵料,包括各种海藻,如果饲喂良好,一般不会骚扰珊瑚。对无脊椎动物或贝类没有兴趣。
体长可达16-19厘米。头部三角形,嘴小,向前突出。眼睛位于头部的边缘,从嘴经眼到背鳍前方有1条黑带,黑带后面有1条平行的银白色宽带,鳃盖后部到腹鳍还有1条黑带。至头部以后全身为鲜黄色。背鳍从头部一直延伸到尾柄,臀鳍从腹部延伸到尾柄,两鳍上下对称。因长有长嘴巴的头部犹如狐狸,故又被称为“狐狸鱼”。
暖水性近岸小型鱼类,常成群栖息于岩礁和珊瑚丛中。主要食藻类。胆小,易受惊吓,性情相当温和。各鳍鳍棘有毒腺,被刺后可引起剧痛。

分布于中、西太平洋浅海区。我国见于南海。

斑点鸡笼鲳,Drepane punctata ,帘鲷科鸡笼鲳属的一种鱼类。体侧扁而高,…




金鲳鱼属硬骨鱼纲、鲈形目、鲹科、鲳鲹属,学名卵形鲳鲹,俗名黄腊鲳、金鲳。该鱼体侧扁,卵圆形,…




红宝石鱼是鲈行目慈鲷科伴丽鱼属 鱼类,又名红花鲈、宝石鱼。个体较大,身长12—15厘米。背鳍宽大,…




朴蝴蝶鱼,Chaetodon modestus Temminck et Schlegel,蝴蝶鱼科…




孟加拉豆娘鱼,又称孟加拉雀鲷,为辐鳍鱼纲鲈形目隆头鱼亚目雀鲷科的其中一种,属杂食性,…




沙塘鳢,是鲈形目塘鳢科沙塘鳢属鱼类。沙塘鳢体长48-135毫米,粗壮,头大而阔,稍扁平,腹部浑圆,…




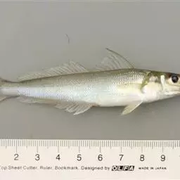
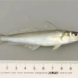
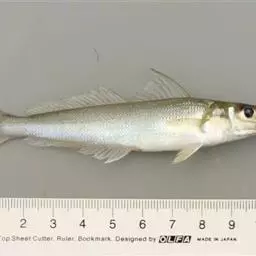
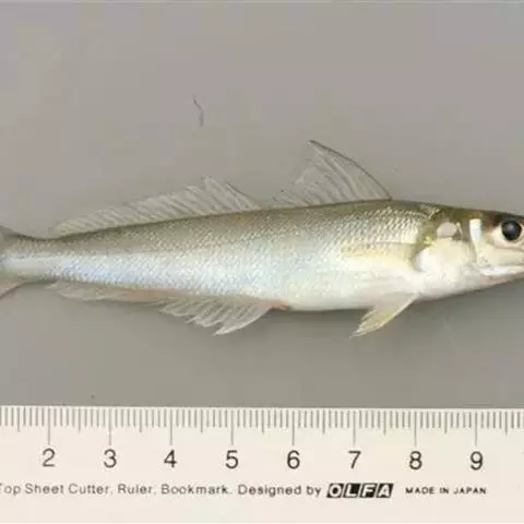
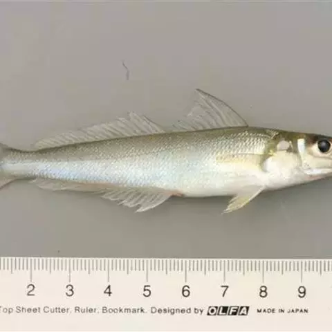
多鳞鱚,Sillago sihama ,鱚科鱚属的一种鱼类。主要分布于印度洋-西太平洋的热带海域,…




环纹刺盖鱼或称肩环刺盖鱼,别称蓝环神仙或白尾蓝纹神仙,成鱼尾鳍白色,肩部有一个蓝色圆环,体侧则有数…


















