






丝蝴蝶鱼,又称扬幡蝴蝶鱼,俗名人字蝶,为辐鳍鱼纲鲈形目蝴蝶鱼科的其中一种。…




四指马鲅是马鲅科、四指马鲅属鱼类。体延长而侧扁。头中大,前端圆钝。吻短而圆。眼较大,位于头的前部;…




罗非鱼别称非洲鲫鱼、南鲫、越南鱼,是鲈形目丽鲷科罗非鱼属脊索动物。体侧扁,头中等大小,…




朴蝴蝶鱼,Chaetodon modestus Temminck et Schlegel,蝴蝶鱼科…




角镰鱼属镰鱼科,广泛分布于印度-太平洋及东太平洋区,自非洲东部到墨西哥,北至日本南部及夏威夷群岛,…




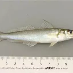
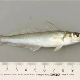
多鳞鱚,Sillago sihama ,鱚科鱚属的一种鱼类。主要分布于印度洋-西太平洋的热带海域,…




马夫鱼。成鱼体甚侧扁,背缘高而隆起,略呈三角形。背鳍鳍棘11根,第四鳍棘延长呈鞭状,鳍膜亦随之延长…




云斑海猪鱼,学名:Halichoeres nigrescens ,为隆头鱼科海猪鱼属的一种鱼类。分…
























