
射水鱼属:是分布于印度洋——太平洋地区的射水鱼科七种鱼的统称,以其能从口中射出水滴,…




白腹鲭是鲭科、鲭属鱼类。体纺锤形,稍侧扁;背缘和腹缘浅弧形;尾柄细短,尾鳍基部两侧各具2条小隆起脊…




角镰鱼属镰鱼科,广泛分布于印度-太平洋及东太平洋区,自非洲东部到墨西哥,北至日本南部及夏威夷群岛,…




淡黑镊丽鱼为辐鳍鱼纲、鲈形目、隆头鱼亚目、慈鲷科的其中一种动物,分布于非洲马拉维湖流域,…




罗汉鱼,是鲈形目慈鲷科慈鲷属的鱼类。其体形侧扁,体长与体高基本相等;头额突出,眼圈朱赤,…




招财鱼,又名丝足鲈、战船鱼、点额丝足鲈,是鲈形目长丝鲈科丝足鲈属鱼类。招财鱼体呈银铜灰色,…




招财鱼,又名丝足鲈、战船鱼、点额丝足鲈,是鲈形目长丝鲈科丝足鲈属鱼类。招财鱼体呈银铜灰色,…




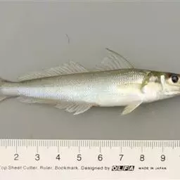
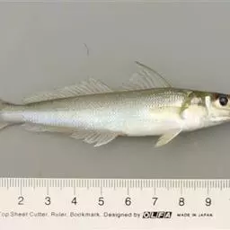
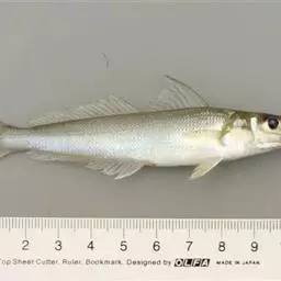
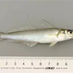
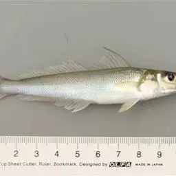
多鳞鱚,Sillago sihama ,鱚科鱚属的一种鱼类。主要分布于印度洋-西太平洋的热带海域,…


















