
黑尾宅泥鱼,体呈圆形而侧扁,吻短而钝圆。口中型;两颌齿小而呈圆锥状,靠外缘之齿列渐大且齿端背侧有不…




朴蝴蝶鱼,Chaetodon modestus Temminck et Schlegel,蝴蝶鱼科…




角镰鱼属镰鱼科,广泛分布于印度-太平洋及东太平洋区,自非洲东部到墨西哥,北至日本南部及夏威夷群岛,…




月鳢为鳢科鳢属的鱼类,俗名七星鳢、姑呆、山斑鱼、七星鱼、点称鱼、山花鱼、鲈鳢等。…




白姑鱼是鲈形目石首鱼科白姑鱼属鱼类,又名银姑鱼,白姑子,白米子,白鳘子,白梅。体延长,侧扁,…




原产南美洲的圭亚那、委内瑞拉、巴西的亚马逊流域。一般成鱼体长35cm.性格十分凶猛,有时会自相残杀…




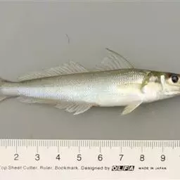
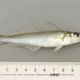
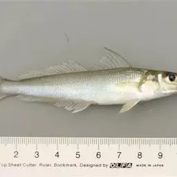
多鳞鱚,Sillago sihama ,鱚科鱚属的一种鱼类。主要分布于印度洋-西太平洋的热带海域,…




二带副绯鲤,为羊鱼科副绯鲤属的鱼类,学名:Parupeneus trifasciatus ,俗名…


















