
红笛鲷是笛鲷科、笛鲷属鱼类。体被大栉鳞。背鳍Ⅻ-14,臀鳍Ⅲ-9,胸鳍17,腹鳍I-5,…




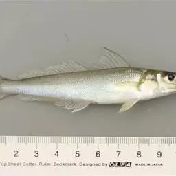
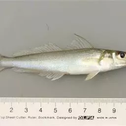
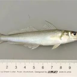
多鳞鱚,Sillago sihama ,鱚科鱚属的一种鱼类。主要分布于印度洋-西太平洋的热带海域,…




云斑海猪鱼,学名:Halichoeres nigrescens ,为隆头鱼科海猪鱼属的一种鱼类。分…




斑点鸡笼鲳,Drepane punctata ,帘鲷科鸡笼鲳属的一种鱼类。体侧扁而高,…




原产南美洲的圭亚那、委内瑞拉、巴西的亚马逊流域。一般成鱼体长35cm.性格十分凶猛,有时会自相残杀…




白姑鱼是鲈形目石首鱼科白姑鱼属鱼类,又名银姑鱼,白姑子,白米子,白鳘子,白梅。体延长,侧扁,…




金菠萝鱼,Cichlasoma severum,慈鲷科丽体鱼属。成鱼体长20~25cm,厚侧扁形,…




罗汉鱼,是鲈形目慈鲷科慈鲷属的鱼类。其体形侧扁,体长与体高基本相等;头额突出,眼圈朱赤,…


















