非洲凤凰是最早从马拉维湖出口的慈鲷之一。体长约15厘米,捕食性鱼类。 幼鱼为鲜黄色,身体上半部分两条黑色条纹从吻延伸到尾鳍。 背鳍上也有一条黑色条纹。成年以后的雌鱼依然保持着这种体色,雄鱼则变成了深蓝黑色,体侧有一条发出金属光芒的浅蓝色条纹,从腮盖后缘到尾柄末端。
这种鱼的领地观念很强。幼鱼期可混养,雄鱼时常争斗所以混养需要较大的水族箱和较多的水草、岩石等隐蔽场所供弱势鱼躲藏。成鱼应单养。
基本信息

非洲凤凰鱼(Melanochromis auratus),身上的水平斑纹清晰可见。雄鱼只有在雌鱼出现的情况下才会呈现出保卫领域的行为,但一旦雌鱼扫兴而去,雄鱼也就会离开曾经保卫的领域。对于其他的雄鱼,非洲凤凰的雄鱼会表现出极强的攻击性,甚至试图杀死任何黑丽鱼属岩栖类的雄性。由于存在杂交的风险,它们不应该和其他的黑丽鱼属岩栖类混养在一起。非洲凤凰的基础色是明亮的黄色,上面并伴有一条黑色的水平条纹。成熟后雄鱼的腹部变多名为深褐色.

马拉维湖特有物种

幼鱼身上有二条黑色条纹纵贯。一条位于身体正侧方,由头至尾柄末端,一条位于背部。身体下半部由嘴开始至尾鳍呈明黄色。成年以后的雌鱼依然大体保持着这种体色,雄鱼明黄色的位置则变成了棕黑色或黑色,体侧有一条发出金属光芒的浅蓝色条纹从腮盖后缘到尾柄末端。

非洲凤凰鱼需要弱碱性、较高硬度的水,好在现在水质测试、调节试剂不少,这样的水质一开始配制不成问题,但随着饲养水质的污染酸化和换水的增加,酸碱度和硬度会降低,所以应经常测试调配,及时添加提高pH值和硬度的试剂。如NaHCO3、MgSO4等。底沙以珊瑚沙为最好,对于稳定硬度是有好处的。三湖慈鲷经若干代的人工饲养,对水质已经有了一定的适应性,不少品种水中性加微量食盐也可养得很好,购买时可向水 族馆咨询一下。
非洲凤凰鱼也是一些“爱干净”的鱼,要经常给它们“打扫”“室内”的卫生,及时清理粪便,控制水中有害物质的含量,采用硝化过滤比物理过滤好 。
非洲凤凰鱼食量大、生长快,很贪吃,要严格控制喂食量,每天吃个半饱即可;饵料也不可单一,质量差的人工饵料,脂肪的转换率高,会造成脂肪肝、 腹水,死亡率较高,考虑到健康和色彩方面的需要,既要经常喂一些高蛋白的活饵,如红血虫、红虫为好,也要添加素菜和维生素类饵料。
非洲凤凰鱼的领地观念很强。幼鱼期可混养,雄鱼时常争斗,所以混养需要较大的水族箱和较多的岩石等隐蔽场所供弱势鱼躲藏。成体雄性鱼应避免饲养一条以上。雌鱼基本无限制。
本种鱼为口孵鱼类。因此繁殖很简单。亲鱼性成熟年龄为6个月,雄鱼有婚姻色,体色变成棕黑色,或深黑色背鳍黄色,体侧黑带泛有浅蓝色;雌鱼腹部膨大,体色略淡。繁殖水温27~29℃,水质弱碱性或中性,可选用50×30×35厘米或者更大的鱼缸,将亲鱼放入。雌鱼产卵后,将卵含在自己口中,然后受雄鱼臀鳍上的伪卵吸引,嘴巴靠近雄鱼的臀鳍,雄鱼释放精液从而使雌鱼口中的卵受精。卵经约三天孵出仔鱼,在孵化期间,雌鱼不能喂食,以便它不断地鼓动双鳃,以增加口中氧气。当仔鱼游水后,若有险情,雌鱼立刻将仔鱼含入口中游离。1~2周后仔鱼长大,这时可将雌鱼捞出。雌鱼每次产卵30~60粒。如需要人工干预鱼卵孵化,请在雌鱼含卵五天后将鱼卵抠出,放置在事先准备好的孵化器皿内。幼鱼在卵黄吸收完毕后开口,开口饲料以刚孵化的丰年虾为最佳。如无,请用洄水或研磨碎的颗粒饲料以及丰年虾脱壳卵代替。

叉尾斗鱼,体形与圆尾斗鱼相似。腹鳍有1根分节鳍条特别延长,雄鱼鳍条延长尤甚,尾鳍叉形。…




眼斑双锯鱼,背鳍硬棘被橘黄色斑块分割为5-6枚,第4枚最长,约为头长的2.1-2.9倍。胸鳍、臀鳍…




黑尾宅泥鱼,体呈圆形而侧扁,吻短而钝圆。口中型;两颌齿小而呈圆锥状,靠外缘之齿列渐大且齿端背侧有不…




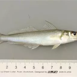
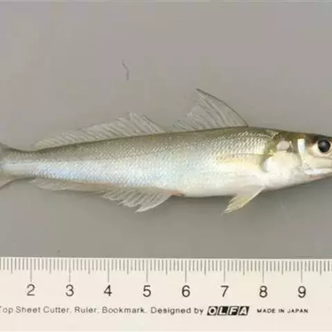
多鳞鱚,Sillago sihama ,鱚科鱚属的一种鱼类。主要分布于印度洋-西太平洋的热带海域,…




鮸,是鲈形目石首鱼科鮸属暖温性中下层鱼类。身体延长而侧扁,有4个须孔;耳石椭圆形,…




罗汉鱼,是鲈形目慈鲷科慈鲷属的鱼类。其体形侧扁,体长与体高基本相等;头额突出,眼圈朱赤,…




马夫鱼。成鱼体甚侧扁,背缘高而隆起,略呈三角形。背鳍鳍棘11根,第四鳍棘延长呈鞭状,鳍膜亦随之延长…




非洲王子是一种如同鲈鱼一般的典型的鲈形目的体型的鱼。小型慈鲷,成年个体10~12cm,如同鲈鱼一般…


















