
蓝圆鲹属鲹科、圆鲹属鱼类。体呈纺锤形,微侧扁。下颌稍突于上颌。上颌延伸至眼前缘之下方。上下颌各具一…




眼斑双锯鱼,背鳍硬棘被橘黄色斑块分割为5-6枚,第4枚最长,约为头长的2.1-2.9倍。胸鳍、臀鳍…




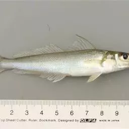
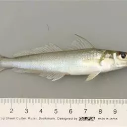
多鳞鱚,Sillago sihama ,鱚科鱚属的一种鱼类。主要分布于印度洋-西太平洋的热带海域,…




红宝石鱼是鲈行目慈鲷科伴丽鱼属 鱼类,又名红花鲈、宝石鱼。个体较大,身长12—15厘米。背鳍宽大,…




蓝点马鲛,鲭科,鲅鱼的1种。体长而侧扁,体色银亮,背具暗色条纹或黑蓝斑点,口大,吻尖突,牙齿锋利,…




大西洋蓝鳍金枪鱼:是鲭形目、鲭科、金枪鱼属的海洋动物。体长可达3米,…




鳜鱼,汉语拼音:guì yú是一种家常的可以食用的鱼类,又名菊花鱼、鳜花鱼、桂花鱼、桂鱼、鳌鱼、脊…




背鳍有5根弱小鳍棘,向后顺序增长。侧线止于尾柄前方。体侧有5条横带;第一条最窄,自背部穿过眼径达到…


















