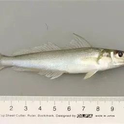
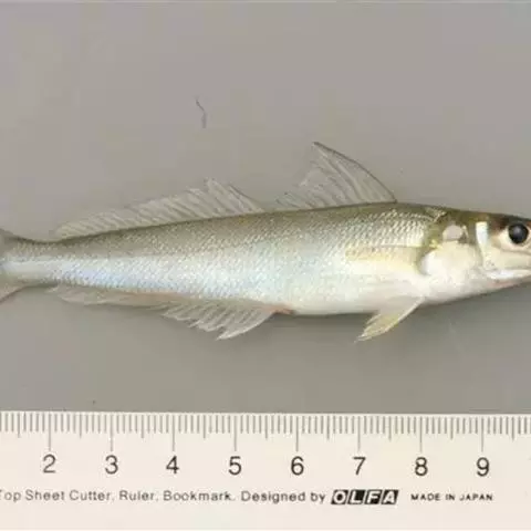
白姑鱼(学名:Pennahia argentata)是石首鱼科、白姑鱼属鱼类。体延长,侧扁,背、腹缘略呈弧形。头钝尖,口裂大,端位,倾斜,吻不突出。吻缘孔5个,中央缘孔为半圆形的侧裂孔。眼眶下缘达前上颌骨顶端水平线。前鳃盖后缘具锯齿缘,鳃盖具2扁棘;具拟鳃;鳃耙细长,最长者为鳃丝的1.5倍。吻端、眼周围及颊部被圆鳞,余被栉鳞,背鳍软条部和臀鳍基有一列鞘鳞,尾鳍基部有小圆鳞。耳石为白姑鱼型,即三角形,腹面蝌蚪形印迹之“尾区”呈“T”字型,末端仅弯向耳石外缘。胸鳍基上缘点在背、腹鳍基起点前,位鳃盖末端下方,背鳍基和腹鳍基起点相对;尾鳍楔形;第二臀鳍棘略短于眼径。腹腔膜黑色,胃为卜字形,肠为2次回绕型,幽门垂11-12个,鳔为白姑鱼型,附枝24-27对,仅有腹分枝,第二对以后呈翼形开展。体侧上半部紫褐色,下半部银白色;背鳍褐色,软条部中间有一银白带;尾鳍黑色;臀鳍无色;腹鳍和胸鳍无色。口腔白色。鳃腔黑色。鳃盖后缘具暗色斑块。
白姑鱼为暖温性近底层鱼类。一般栖息于水深40-100米泥沙底海区。有明显季节泗游习性,春季因生殖集群游向近岸产卵场,产卵场水温约为20°℃、盐度33.4‰白姑鱼为捕食性鱼类,食性较杂,主要摄食底栖动物及小型鱼类,如长尾类、短尾类、脊尾白虾、日本鼓虾、鲜明鼓虾、小蟹、矛尾虾虎鱼、纹缟虾虎鱼等。分布于印度洋和太平洋西部,在中国分布于渤海(在渤海湾北起河北的秦皇岛、南至天津岐口)、黄海、东海、南海。
基本信息

体延长,侧扁,背、腹缘略呈弧形。头钝尖,口裂大,端位,倾斜,吻不突出,上颌约等于下颌,上颌骨后缘达瞳孔之后;上颌最外列齿扩大为犬齿,内列齿细小呈绒毛状,前端中央无齿,左右侧齿中断不连续,下颌内列齿扩大为犬齿,左右侧齿连续不中断;吻缘孔5个,中央缘孔为半圆形的侧裂孔,内、外侧缘孔沿吻缘叶侧裂,吻缘叶完整不被分割;吻上孔3个,孔小呈弧形排列;颏孔6个,中央4孔在颐缝合处呈梯形排列,前2孔距离较短。鼻孔2个,卵圆形后鼻孔约为圆形前鼻孔的两倍大。眼眶下缘达前上颌骨顶端水平线。前鳃盖后缘具锯齿缘,鳃盖具2扁棘;具拟鳃;鳃耙细长,最长者为鳃丝的1.5倍。吻端、眼周围及颊部被圆鳞,余被栉鳞,背鳍软条部和臀鳍基有一列鞘鳞,尾鳍基部有小圆鳞。耳石为白姑鱼型,即三角形,腹面蝌蚪形印迹之“尾区”呈“T”字型,末端仅弯向耳石外缘。胸鳍基上缘点在背、腹鳍基起点前,位鳃盖末端下方,背鳍基和腹鳍基起点相对;尾鳍楔形;第二臀鳍棘略短于眼径。腹腔膜黑色,胃为卜字形,肠为2次回绕型,幽门垂11-12个,鳔为白姑鱼型,附枝24-27对,仅有腹分枝,第二对以后呈翼形开展。体侧上半部紫褐色,下半部银白色;背鳍褐色,软条部中间有一银白带;尾鳍黑色;臀鳍无色;腹鳍和胸鳍无色。口腔白色。鳃腔黑色。鳃盖后缘具暗色斑块。
孵仔鱼全长为2.38毫米,油球位于卵黄囊的后端稍下方,胚体上具4从明显黄色素,分布在吻端、眼后、胸鳍后方及尾部中央,肌节12-19对。体长5.9毫米稚鱼,腹部、尾部具2-3个黑色素,其中臀鳍后黑色丛在离臀鳍后基1-2肌节处;体长8.3毫米稚鱼,体侧黑色素位于背鳍第四至第五棘基底和体侧正中线中间位置;体长15毫米稚鱼,体侧黑色素分散呈斑纹状;体长25.5毫米稚鱼,全身黑色素增加,黑色素丛之间界线不清,鳃盖下色素呈黑色。

白姑鱼为暖温性近底层鱼类。一般栖息于水深40-100米泥沙底海区。有明显季节泗游习性,春季因生殖集群游向近岸产卵场,产卵场水温约为20°℃、盐度33.4‰,主要产卵场水深为40-60米,产卵后在附近海区索饵,秋末返回越冬场,越冬场水深为80-100米。中国黄、东海大致可分为两个种群,东海群有南、北两个越冬场,北部越冬场位于长江口和舟山群岛外海,偏北分布的鱼群常与黄海越冬鱼群相混;南部越冬场位于浙江南部到闽中外海,生殖期间鱼群向岸靠拢后顺着岸线平行方向向北移动,产卵后分布在浙江中部、南部和画东近海索饵,冬季返回越冬场。在生殖期常发出咯咯的声音。
白姑鱼为捕食性鱼类,食性较杂,主要摄食底栖动物及小型鱼类,如长尾类、短尾类、脊尾白虾、日本鼓虾、鲜明鼓虾、小蟹、矛尾虾虎鱼、纹缟虾虎鱼等。不同月份其摄食强度有较大差异,5-8月摄食强度较大,冬季则较小。

海域范围:分布于印度洋和太平洋西部,在中国分布于渤海(在渤海湾北起河北的秦皇岛、南至天津岐口)、黄海、东海、南海。
国家地区:中国、印度尼西亚、日本、韩国、朝鲜、马来西亚、越南。 白姑鱼分布图

中国长江口渔场产卵期为5-9月,盛期为7-8月,产卵最适水温为20℃左右。怀卵量为5-65万粒。卵浮性,球形无色透明,卵径为0.85-0.92毫米,卵膜光滑,卵黄均匀,略呈黄色,油球1个。水温20.4℃时,受精卵约33小时孵化。

保护级别:列入《世界自然保护联盟濒危物种红色名录》(IUCN 2016年 ver 3.1)——无危(LC)。

每百克白姑鱼的可食部分含有蛋白质19.1克,脂肪8.2克,能量628千焦(150千卡),钾382毫克,钠152毫克,钙23毫克,镁28毫克,铁0.3毫克,锰0.02毫克,锌0.84毫克,铜0.04毫克,磷171毫克,硒21微克,维生素B0.02毫克,维生素B20.08毫克,尼克酸3.3毫克,维生素E1.49毫克。

选择码头外侧、石坝或礁石一侧,水流流速每秒1-1.5米,海底系沙地、泥地或泥沙混合型地貌的地方,用3米以上海竿抛30米以外,绕线轮上装80-100米直径0.5毫米主线,主线穿一通心活坠,坠以锥形为好,可加速沉底且减少海流阻力不致饵钩偏位,坠重100-200克。
主线下端边装一转环,转环下端边50厘米、60厘,米两条直径0.4毫米脑线,脑线上各拴一钩,钩以伊势尼11-13号为宜,钩尖越锋利越好。矶钓白姑鱼的饵料最好是沙蚕,其次是虾仁。矶钓白姑鱼的最佳时机是潮落三分和潮涨三分前后各1小时左右。垂钓时,将装好钓饵的饵钩甩至钓点。待坠子沉海底,摇动钓线稍绷紧。白姑鱼咬钩后常出现以下几种情况:有时竿尖突然抖动,有时钓线猛地松驰下来,有时钓线突然抖动一下。这些都是白姑鱼咬钩的信号,均应立即提竿,但动作不要太大,以免将鱼嘴拉豁。
船钓的要点是选准钓位。白姑鱼的鱼路、鱼场、鱼窝一般在海岛石礁避开急流但又有一定流速的急流与静水交汇处,流速一般每秒1-2米的地方。找准流速适当的海域还要与潮汐结合起来,小潮汛和落潮满、涨潮满相对无潮时就要适当靠近急流处,大潮汛和落三分以上、涨三分以上相对流急时,就要适时避开急流,但船位移动的距离都不要过大,一般移动10-30米即可,使钓位始终处于最佳状态。
船钓的钓具可以用海竿钓,钓具匹配与矶钓相似,也可以拽线钓,用直径0.5毫米主线穿一通心坠,下以转环连续,转环下拴双钩,钩脑线长一钩50-60厘米,一钩30-40厘米,饵料用鲜虾仁为最好,其次沙蚕牡蛎肉、青鲇鱼片均可。垂钓时,将船停至钓点.将钓饵装于钩上,顺船边下沉至水底,然后提拉饵钩,白姑鱼口裂大,咬钩迅速,当手感沉重时即要迅速提竿。

淡水石斑鱼是鲈形目丽鱼科丽体鱼属鱼类,又名马拉丽体鱼、花老虎等。体侧扁,纺锤形;口上位,…




角镰鱼属镰鱼科,广泛分布于印度-太平洋及东太平洋区,自非洲东部到墨西哥,北至日本南部及夏威夷群岛,…




眼点丽鱼又称皇冠三间、孔雀鲈,为鲈形目,慈鲷科,丽鱼属一种淡水鱼类。…




蓝点马鲛,又名鲅鱼、马交、燕鱼,是鲭科马鲛属的一种暖水性大型中上层洄游鱼类。体呈纺锤形,…




淡黑镊丽鱼为辐鳍鱼纲、鲈形目、隆头鱼亚目、慈鲷科的其中一种动物,分布于非洲马拉维湖流域,…




横带刺尾鱼,刺尾鱼科刺尾鱼属的一种鱼类。俗名条纹刺尾鱼。鱼吻及下颌周围有淡色环。体被细小栉鳞。体色…




图丽鱼是慈鲷科、图丽鱼属鱼类。体长为33厘米,最大体重约1.1千克。鱼体呈椭圆形,侧扁,头大,嘴大,…




大眼鲷是鲈形目大眼鲷科鱼类,又称大目、大目莲。体呈长椭圆形,较侧扁;口大,口裂倾斜或近垂直状;眼更大,…


















