二带副绯鲤,为羊鱼科副绯鲤属的鱼类,学名:Parupeneus trifasciatus (Lacepède, 1801) ,俗名:双带海绯鲤。分布于非洲东岸至太平洋中部诸岛、台湾岛以及西沙群岛等,属于热带和亚热带近岸底层鱼类。
基本信息

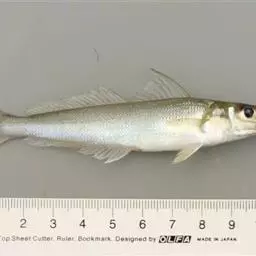
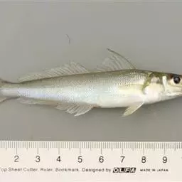
二带副绯鲤,俗名海鲤。体长椭圆形。头较大,短钝,顶部较隆起。体长为体高3.0~3.5倍。体侧具3条宽横带。第二背鳍最后鳍条正常,不特别延长。触须较粗短,后端达不到鳃盖后缘。暖水性珊瑚礁鱼类。体长110~280毫米,较少见。分布于热带印度洋和太平洋中、西部浅海。我国见于南海。

二带副绯鲤 二带副绯鲤,体长椭圆形。稍侧扁。一般体长9~17厘米。体重40~100克、背鳍两个,第一背鳍有8棘,其中第一棘短小。上下颌,犁骨及颚骨均具绒毛状齿、下颌有两条长须,其后端达前腮盖骨后缘下方、体侧有2条平行的金黄色纵带,自眼后直达尾鳍基部,故名“双线”、两背鳍均有三条黄色纵带。尾鳍上下叶均无斜条纹。尾鳍深叉形、体被栉鳞,鳞薄极易脱落、吻端及眼前部无鳞、侧线完全,与背缘平行并延伸至尾鳍基部。体背部玫瑰红色、腹部浅黄色、胸鳍、腹鳍、臀鳍、尾鳍及触须均为黄色。

双带副绯鲤 二带副绯鲤,为羊鱼科副绯鲤属的鱼类,主要栖息1-80公尺深度的温暖向海礁坡礁区、泻湖等内外侧泥砂地。白天时独自或三五成群的游动在充满多毛类、甲壳类的砂泥地上,用敏锐的触须、探索躲藏在砂泥地的食物;夜晚来临时,则在平坦的砂泥地上静静的独眠。

二带副绯鲤 副绯鲤属的鱼类,俗名双带海绯鲤。分布于非洲东岸至太平洋中部诸岛、台湾岛以及西沙群岛等,属于热带和亚热带近岸底层鱼类。

二带副绯鲤, 二带副绯鲤 体长椭圆形。头较大,短钝,顶部较隆起。体长为体高3.0~3.5倍。体侧具3条宽横带。第二背鳍最后鳍条正常,不特别延长。触须较粗短,后端达不到鳃盖后缘。
体延长而稍侧扁,呈长纺锤形。头稍大;口小;吻长而钝尖;上颌仅达吻部的中央,后缘为斜向弯曲;上下颌均具单列齿,齿中大,较钝,排列较疏;锄骨与腭骨无齿。具颏须一对,末端达眼眶后方。前鳃盖骨后缘平滑;鳃盖骨具二短棘;鳃膜与峡部分离;鳃耙数5-7 + 18-21。体被弱栉鳞,易脱落,腹鳍基部具一腋鳞,眼前无鳞;侧线鳞数28-30,上侧线管呈树枝状。背鳍两个,彼此分离;第二背鳍最后软条特长;胸鳍软条数15-17(通常为16);尾鳍叉尾形。体澹灰至棕红色;吻部至眼后有一短纵带;第二背鳍基及其鳍后呈黑色,末缘及臀鳍膜上有黄色纵带斑纹。体侧具五条横带,第一条在第一背鳍前方体侧,第二条在第一背鳍下方体侧,第三条较窄在第一与第二背鳍间,第四条在第二背鳍下方体侧,第五条在尾柄侧方。三带海绯鲤(Parupeneus trifasciatus)为本种之同种异名。

二带副绯鲤,暖水性珊瑚礁鱼类。体长110~280毫米,较少见。







金菠萝鱼,Cichlasoma severum,慈鲷科丽体鱼属。成鱼体长20~25cm,厚侧扁形,…




招财鱼,又名丝足鲈、战船鱼、点额丝足鲈,是鲈形目长丝鲈科丝足鲈属鱼类。招财鱼体呈银铜灰色,…




刺鳅是合鳃鱼目刺鳅科刺鳅属鱼类,俗称钢鳅、刀鳅、石锥。体细长,前端稍侧扁,…




多鳞鱚,Sillago sihama ,鱚科鱚属的一种鱼类。主要分布于印度洋-西太平洋的热带海域,…




罗非鱼别称非洲鲫鱼、南鲫、越南鱼,是鲈形目丽鲷科罗非鱼属脊索动物。体侧扁,头中等大小,…




金钱鱼,学名Scatophagus argus,英文名Spotted scat,商品名为金鼓鱼。…




白姑鱼是鲈形目石首鱼科白姑鱼属鱼类,又名银姑鱼,白姑子,白米子,白鳘子,白梅。体延长,侧扁,…




月鳢为鳢科鳢属的鱼类,俗名七星鳢、姑呆、山斑鱼、七星鱼、点称鱼、山花鱼、鲈鳢等。…


















