
六带鲹,学名:Caranx sexfasciatus ,鲹科鲹属的一种暖水性中上层鱼类,著名的游钓…




六带鲹,学名:Caranx sexfasciatus ,鲹科鲹属的一种暖水性中上层鱼类,著名的游钓…




蓝圆鲹属鲹科、圆鲹属鱼类。体呈纺锤形,微侧扁。下颌稍突于上颌。上颌延伸至眼前缘之下方。上下颌各具一…




金鲳鱼属硬骨鱼纲、鲈形目、鲹科、鲳鲹属,学名卵形鲳鲹,俗名黄腊鲳、金鲳。该鱼体侧扁,卵圆形,…




金鲳鱼属硬骨鱼纲、鲈形目、鲹科、鲳鲹属,学名卵形鲳鲹,俗名黄腊鲳、金鲳。该鱼体侧扁,卵圆形,…




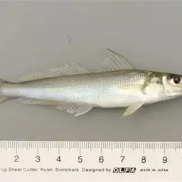
竹荚鱼,日语称:あ じ 也称马鲭鱼。广泛分布于我国沿海及朝鲜、日本沿海等水域。这种鱼为中上层洄游性…




竹荚鱼,日语称:あ じ 也称马鲭鱼。广泛分布于我国沿海及朝鲜、日本沿海等水域。这种鱼为中上层洄游性…




蓝圆鲹属鲹科、圆鲹属鱼类。体呈纺锤形,微侧扁。下颌稍突于上颌。上颌延伸至眼前缘之下方。上下颌各具一…


















