
射水鱼属:是分布于印度洋——太平洋地区的射水鱼科七种鱼的统称,以其能从口中射出水滴,…




丝蝴蝶鱼,又称扬幡蝴蝶鱼,俗名人字蝶,为辐鳍鱼纲鲈形目蝴蝶鱼科的其中一种。…




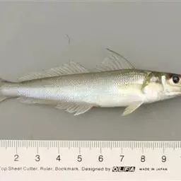
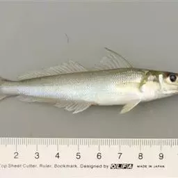
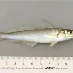
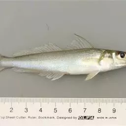
七星鲈是一个物种, 学名: Lateolabraxjaponicus。…




角镰鱼属镰鱼科,广泛分布于印度-太平洋及东太平洋区,自非洲东部到墨西哥,北至日本南部及夏威夷群岛,…




六带鲹,学名:Caranx sexfasciatus ,鲹科鲹属的一种暖水性中上层鱼类,著名的游钓…




四带笛鲷,学名:Lutjanus kasmira ,为笛鲷科笛鲷属的一种鱼类。全长达300毫米。体…




多鳞鱚,Sillago sihama ,鱚科鱚属的一种鱼类。主要分布于印度洋-西太平洋的热带海域,…




银方头鱼为我国一般经济鱼类之一。肉质较细嫩,呈蒜瓣形,营养丰富。…


















