沙丁鱼(Sardine)是硬骨鱼纲鲱形目鲱科沙丁鱼属、小沙丁鱼属和拟沙丁鱼属及鲱科某些食用鱼类的统称。也指制成油浸鱼罐头的普通鲱(Clupea harengus)以及其它小型的鲱或鲱状鱼。
沙丁鱼在香港被人们称沙甸鱼,又称萨丁鱼、鳁和鰯。小者长二寸,大者尺许,下颚较上颚略长,齿不显,背苍腹白,肉美,多用来制为罐头食品。最初在意大利萨丁尼亚捕获而得名,古希腊文称其“sardonios”意即“来自萨丁尼亚岛”。分布于南北纬度6~20度的等温带海洋区域中。
沙丁鱼主要用作食用,但鱼肉亦可制为动物饲料。沙丁鱼油的用途包括制造油漆、颜料和油毡,在欧洲还用来制造人造奶油。同时是世界重要的海洋经济鱼类。
沙丁鱼为群居鱼类,聚集时,沙丁鱼的数字可达3亿只。
基本信息

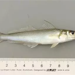
沙丁鱼群 沙丁鱼为细长的银色小鱼,背鳍短且仅有一条,无侧线,头部无鳞;体长约15~30厘米(6~12吋)。密集群息,沿岸洄游,以大量的浮游生物为食。主要在春季产卵,卵和几天后孵化的幼鱼在变态为自由游泳的鱼前一直随水漂流。

沙丁鱼为近海暖水性鱼类,一般不见于外海和大洋。它们游泳迅速,通常栖息于中上层,但秋、冬季表层水温较低时则栖息于较深海区。多数沙丁鱼的适温在20~30℃左右,只有少数种类的适温较低,如远东拟沙丁鱼的适温为8~19℃。沙丁鱼主要摄食浮游生物,因鱼种、海区和季节而异,成鱼和幼鱼也有不同。如金色小沙丁鱼成鱼主要摄食浮游甲壳类(包括桡足类、短尾类幼体、端足类和糠虾),也摄食硅藻;幼鱼除摄食浮游甲壳类幼体外,也食硅藻和甲藻类。金色小沙丁鱼一般不作远距离洄游,秋、冬季成鱼栖于70~80米以外深水,春季,沿海水温升高鱼群向近岸作生殖洄游。仔、幼鱼化后在沿海索饵成长,夏季逐渐随南海暖流向北洄游。秋季表层水温下降,遂向南洄游。至10月以后鱼体已成长至150毫米以上时,由于沿海水温降低而逐渐转栖于较深海区。

小沙丁鱼属在1龄或2龄开始性成熟,春、夏季为生殖期。怀卵量随种类和个体大小而有变化,多半在10万粒以下。卵球形,浮性,成熟卵径约0.6~0.9毫米,初仔鱼长约2.3毫米。
远东拟沙丁鱼是沙丁鱼中产量最高的鱼种。分布于日本近海,可分为4个群系,即太平洋群系、日本海群系、足褶群系和九州群系,其中以前两个群系较大。远东拟沙丁鱼的产卵场位于日本诸岛的近海,黑潮和沿岸水交汇的海域,但各海区、各群系的资源量及主要产卵场位置时有变化。怀卵量通常为27000~84000粒,产卵适温12~19℃。生殖在半夜进行。在17.5℃水温下,受精卵经56小时孵化。孵化期和仔鱼期的死亡率甚高,受精卵在孵化时已死亡70%,到受精后约50余日(仔鱼全长约17毫米)时存活率不到1‰。仔、稚鱼期主要摄食桡足类的无节幼虫。稚鱼至幼鱼期逐渐增加植物性饵料(硅藻等),但主要饵料还是浮游动物。在产卵场附近索饵生长的幼鱼长大到8厘米以上时于夏、秋季(6~10月)北上进行索饵洄游,秋季北方水冷,又逐渐南下。2龄达到性成熟,体长约212毫米,体重约116克。

沙丁鱼属仅沙丁鱼(Sardina pilch-ardus)1种,又分成欧洲沙丁鱼(S.pilchardus pilch-ardus,主要分布于欧洲沿海和非洲西北岸)和地中海沙丁鱼(S.pilchardus sardina,主要分布于地中海)2个亚种。
拟沙丁鱼属共有5种,即:远东拟沙丁鱼Sardinopsmelanosticta,分布于日本本州东部、九州西南部、日本海和对马海峡,在黄海北部有时也可捕到)、加州拟沙丁鱼(S.coerulea,产于美国加利福尼亚州沿海和加拿大西部)、南美拟沙丁鱼(S.saax,产于南美洲的智利和秘鲁沿海)、澳洲拟沙丁鱼(S.neopilchardus,产于澳大利亚和新西兰)和南非拟沙丁鱼(S.ocellata,分布于非洲南部、安哥拉和纳米比亚等地沿海)。
小沙丁鱼属种类最多,共有20余种,分布于印度西太平洋各海区的就有16种,如长头小沙丁鱼(Sardinella loniceps)、金色小沙丁鱼(S. au-rita)、鳞小沙丁鱼(S.fimb-riata)等;太平洋东部有3种,即艮带小沙丁鱼(S.sto-lifera)、巴拿马小沙丁鱼(S.thrissina)和大眼小沙丁鱼S.macrophthalmus);大西洋西部也有3种,即金色小沙丁鱼、巴西小沙丁鱼(S.brasiliensis)和百慕大小沙丁鱼(S.pinnula);大西洋东部有4种,即金色小沙丁鱼、马德拉小沙丁鱼(S.maderensis)、厄巴小沙丁鱼(S.eb-a)和喀麦隆小沙丁鱼(S.cameronensis)。中国沙丁鱼类主要为小沙丁鱼属约10余种,以金色小沙丁鱼和裘氏小沙丁鱼(S.jussieu)产量较高。中国沙丁鱼类主要为小沙丁鱼属约10余种,以金色小沙丁鱼和裘氏小沙丁鱼产量最高。沙丁鱼体延长、侧扁。腹部具棱鳞,体被圆鳞,无侧线。
沙丁鱼属(Sardina) 集群性洄游鱼类。分布于东北大西洋、地中海 沙丁鱼近照 沿岸,中国不产。
中国东南沿海拥有的丰富的沙丁鱼类资源是拟沙丁鱼属中的远东拟沙丁鱼,略有不同。适合广东大部分地区的气温。主要摄食浮游生物和硅藻等,因鱼种、海区和季节而异。金色小沙丁鱼一般不作远距离洄游,秋、冬季成鱼栖息于70~80米以外深水,春季向近岸作生殖洄游。
由于沙丁鱼在晚间会被光亮吸引,所以捕捞者一般采用灯光围网、流刺网、大拉网和定置网等捕捞。

中国农业网报道:“沙丁鱼清除浮游植物死亡地带的拯救者”据《科学》杂志最新报道:一种小鱼将会帮助 沙丁鱼 人类清除非洲海岸附近的大量有毒气体,使这些地区免除成为海洋生物死亡地带的威胁。在《生态学研究》杂志上,两名研究人员报道饥饿的沙丁鱼群将会清除掉纳米比亚海域内的浮游植物,以此将减少该地区有毒气体的产生。而这一现象也会为缓解全球变暖带来深远影响。在多达一个世纪的时间里,人们发现纳米比亚大西洋沿岸附近海域散布着有毒的二氧化硫气体。这些气体的散发常常会伴随着大批鱼类和海洋甲壳类生物的死亡。直到最近几年,研究人员才开始仔细研究该海域水面下的甲烷以及硫化氢气体的散发。而且从卫星传送图像上人们也可以清楚看到该地区蓝绿色带状的特殊海域大小类似于美国新泽西州的总面积。许多科学家认为这种气体是浮游植物腐烂而释放出来的,这些浮游植物覆盖在海底数米深的淤泥中。
两年前,来自美国佛罗里达州迈阿密大学的研究人员安德鲁·巴库和来自南非坎普城大学的研究人员斯克拉·维克斯同时发现这种气体散发的趋势出现了明显的停顿。之后他们查明这一停顿的发生与当地沙丁鱼繁殖期发生在同一时间段。他们通过计算推测数百万的沙丁鱼吃掉了将要飘向海岸线的浮游植物,因此减少了气体散发。巴库同时强调这两种现象之间的联系还需要进一步证明,但是纳米比亚的经历也给其它地区带来了严重的警告,例如摩洛哥和加利福尼亚等。这些地区也有类似的近岸区适宜浮游植物生长的水域,全球气候变暖将会促进浮游植物的大面积繁殖,这些海域也会成为未来的海洋生物死亡地带。巴库说道:“你可以想像一下如果再加倍捕捞沙丁鱼,所释放出的气体能够给大气层增加多少可以导致温室效应的甲烷、二氧化硫。”
来自美国迈阿密市海洋科学学院的渔业生物学家埃伦·匹基兹是相关研究的资助者之一。她说道:“这项研究清楚地证明了过度捕捞一种鱼类,例如沙丁鱼,将会深深地改变整个海洋生态系统。而这些影响是人类难以甚至是不可能挽回的。”
沙丁鱼具有生长快、繁殖力强的优点,且肉质鲜嫩,含脂肪高。各地都在研制加工鱼羔、鱼丸、鱼卷、鱼香肠等多种方便食品。还可提炼鱼油、制革、制皂和金属冶炼等;也可制作鱼粉作为饵料。
日本农林水产省自1988年春季推行所谓"海洋革新"计划以来,从螃蟹的甲壳,乌贼、沙丁鱼、海扇的内脏和脂肪,以及鱼的精子、大头鱼的骨刺中提取了各种试剂、凝集剂、医药品、防腐剂和人工骨,有的已制成了商品。
在80年代初,联合国组织的医疗专家在世界食物卫生普查中发现。沙丁鱼中含有能防止心血管病的廿碳五烯酸。还含有核酸、牛磺酸及硒等多种营养成分,药用价值非常高,堪称医药中的瑰宝。可防止血栓形成,对治疗心脏病有特效。沙丁鱼具有生长快、繁殖力强的优点,且肉质鲜嫩,含脂肪高。清蒸、红烧、油煎及腌干蒸食均味美可口。据有关资料介绍,沙丁鱼中含有一种具有5个双键的长链脂肪酸,可防止血栓形成,对治疗心脏病有特效。但由于此种鱼个体小,产量高产值低,保鲜加工困难大,多做鱼粉原料。各地都在研制加工鱼羔、鱼丸、鱼卷、鱼香肠等多种方便食品。日本爱知县防癌中心研发一套利用红血球膜检验脂肪量的方法,发现多摄取沙丁鱼、青花鱼等富含不饱和脂肪酸的食物,能降低患乳癌的危险。
沙丁鱼富有惊人的营养价值,富含磷脂即OMEGA-3脂肪酸、蛋白质和钙。根据美国心血管协会的网站内容显示,这种特殊脂肪酸可以减少甘油三酸脂的产生(造成血栓的有害脂肪酸),并有逐渐降低血压和减缓动脉粥样硬化速度的神奇作用。孕妇在妊娠期应多吃鱼类,如沙丁鱼,因为沙丁鱼富含磷脂。同时沙丁鱼中的磷脂对于胎儿的大脑发育具有促进的有利作用。除了磷脂,沙丁鱼还含有大量钙质,尤其是鱼骨中。罐装沙丁鱼的鱼骨很松软,可以安全食用。我们的身体需要足够的矿物质,沙丁鱼也因其丰富的钙含量适合于不同年龄层的人,可以通过煮熟的沙丁鱼来吸收钙。罐装沙丁鱼有多种食用方法,可制成三明治,也是人们餐桌上的佐餐佳品。
吃沙丁鱼的五种好处:第一,稀释血液;第二,帮助扩张血管;第三,防止潜在致命血凝团的形成;第四,防止高血压以及脂肪量的提高;第五,保护心脏的正常跳动。
附: 沙丁鱼的营养素含量表(指100克可食部食品中的含量)
热量
89千卡
硫胺素
0.01毫克
钙
184 毫克
蛋白质
19.8克
核黄素
0.03毫克
镁
30毫克
脂肪
1.1克
烟酸
2毫克
铁
1.4 毫克
碳水化合物
0克
维生素C
0毫克
锰
0.07毫克
膳食纤维
0克
维生素E
0.26毫克
锌
0.16毫克
维生素A
0毫克
胆固醇
158毫克
铜
0.02毫克
胡罗卜素
1.3微克
钾
136毫克
磷
183毫克
视黄醇当量
78微克
钠
91.5毫克
硒
48.95微克

沙丁鱼 2007年纳米比亚沙丁鱼总许可捕捞量为15000吨8月10日~16日《经济学家》报消息,纳米比亚渔业部宣布2007年纳米比亚沙丁鱼总许可捕捞量(Total Allowable Catch)为15000吨,减少了10000吨。根据渔业部最新调查显示,在纳米比亚水域内的沙丁鱼种群数量约为55000吨。

远东拟沙丁鱼,又名斑点莎脑鱼,为辐鳍鱼纲鲱形目鲱科的其中一种。分布于印度太平洋、东大西洋区,包括南…




斑鰶,又称刺儿鱼、古眼鱼、磁鱼、油鱼等,因鳃盖的后方有一块大黑绿斑而得名。鲱形目鲱科鰶属的一种。主…




远东拟沙丁鱼,又名斑点莎脑鱼,为辐鳍鱼纲鲱形目鲱科的其中一种。分布于印度太平洋、东大西洋区,包括南…




沙丁鱼是鲱科、沙丁鱼属鱼类。为细长的银色小鱼,体长15-30厘米,鳃盖骨上有显著放射状隆起线,…




沙丁鱼是鲱科、沙丁鱼属鱼类。为细长的银色小鱼,体长15-30厘米,鳃盖骨上有显著放射状隆起线,…




斑鰶,又称刺儿鱼、古眼鱼、磁鱼、油鱼等,因鳃盖的后方有一块大黑绿斑而得名。鲱形目鲱科鰶属的一种。主…


















