黄鲫(学名:Setipinna tenuifilis)为辐鳍鱼纲鲱形目鳀科黄鲫属的鱼类。分布干印度洋和太平洋西部。我国南海、东海、黄海和渤海均产之。常年可捕获,以春秋两季为旺汛,产量集中。栖息于水深4-13米以内淤泥底质,水流较缓的浅海区。适温5-28度,肉食性,主要摄食浮游甲克类,还摄食箭虫,鱼卵,水母等。产卵期南海2-4月,东海以北5-6月。卵浮性,球形。有洄游特性。一般生活于近海生活,体长可达22厘米,可做为食用鱼。
基本信息

麻口前、毛口国、黄鰶、鸡毛鳓、黄雀、赤鼻、黄尖子、白赤、茫口、簿鲫、薄口、油扣、烤子鱼。

分布干印度洋和太平洋西部,印度, 缅甸, 泰国, 越南, 印度尼西亚, 朝鲜。我国南海、东海、黄海和渤海均产之。常年可捕获,以春秋两季为旺汛,产量集中。该物种的模式产地在Ponicherry、马六甲。

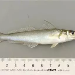
体扁薄,背缘稍隆起,一般体长15厘米,体重20一30克。头短小、眼小。吻突出,口裂大而倾斜。上颌稍长于下颌,两颌、犁骨、腭骨和舌上均有细牙、体被薄圆鳞,易脱落,腹缘有棱鳞,无侧线、胸绩上部有一鳍条延长为丝状,背鳍前方有一小刺,臀鳍长,尾鳍叉形,不与臀鳍相连。吻和头侧中部呈淡黄色,体背是青绿色,体侧为银白色。背络、胸鳍和尾鳍均为黄色,臀鳍浅黄色。

栖息于水深4-13米以内淤泥底质,水流较缓的浅海区。适温5-28度,肉食性,主要摄食浮游甲克类,还摄食箭虫,鱼卵,水母等。产卵期南海2-4月,东海以北5-6月。卵浮性,球形。有洄游特性。

黄鲫为中国重要食用鱼类之一。肉质细嫩,肉味甜美,营养价值很高,每百克肉含蛋白质13克、脂肪11克,并含有大量的钙、磷、铁等矿物质。黄鲫鱼药用价值极高,其性味甘、平、温,入胃、肾,具有和中补虚、除湿利水、补虚赢、温胃进食、补中生气之功效,尤其是活黄鲫氽汤在通乳方面有其他药物不可比拟的作用。黄鲫氽冬瓜,黄鲫熬萝卜,不仅味道鲜美,而且可以祛病益寿。条小的黄鲫可做酥鱼。据分析,每100克黄鲫肉含蛋白质13克,脂肪1.1克,糖0.1克,硫胺素6.6毫克,核黄素0.07毫克,尼克酸2.4毫克,钙54毫克,磷203毫克,铁2.5毫克。临床实践证明,黄鲫肉防治动脉硬化、高血压和冠心病均有疗效。
黄鲫可鲜销、制咸鱼干或鱼粉。产量较大,其个体小而肉薄,味鲜美,但刺多,含脂肪高,鲜食以干炸或干煎食用最佳,且宜于加工成干制品,在春季的晒干品为白色,秋季的晒干制品呈淡黄色。其咸干品的回食用方法也多以油煎或火烤,所以南方各地又称黄鲫为烤子鱼。
医学认为,黄鲫性味甘、温。能利水消肿、益气健脾,解毒,下乳。适用于脾胃虚弱,少食乏力,呕吐或腹泻;脾虚水肿,小便不利;气血虚弱,乳汁不通;便血,痔疮出血,臃肿,溃疡等。
《本草纲目》载:“合小豆煮汁服,消水肿:炙油涂,主妇人阴疳诸疮,杀虫止痛;酿五倍子煅研,治下血;酿茗叶煨服,治消渴;酿胡蒜煨研饮服,治膈气。”鱼类鲤鱼在寒风萧萧、冷气袭人的冬季,黄鲫肉肥籽多,味尤鲜美,故民间有“冬鲫夏鲇”之说。中国古医籍《本草经疏》也对鲫鱼有极高评价:“诸鱼中惟此可常食。”
黄鲫含有丰富的营养成分,如常食,益体补人。它含有蛋白质、脂肪、糖类、无机盐、维生素A、B族维生素、尼克酸等。据测定,每百克黑鲫鱼中,含蛋白质高达20克,仅次于对虾;含脂肪达7克。
据行家讲,黄鲫下锅前,人们往往忘不了刮鳞抠鳃、剖腹去脏,却很少有去掉其咽喉齿(位于鳃后咽喉部的牙齿)的,这样做出的鲫鱼尤其是清炖、红烧时,其汤汁味道就欠佳,且有的泥味较重。故黄鲫下锅前最好是去掉其咽喉齿。

一般人群均可食用:
1、适宜慢性肾炎水肿,肝硬化腹水,营养不良性浮肿之人食用;适宜孕妇产后乳汁缺少之人食用;适宜脾胃虚弱,饮食不香之人食用;适宜小儿麻疹初期,或麻疹透发不快者食用;适宜痔疮出血,慢性久痢者食用;
2、感冒发热期间不宜多吃。
食物相克:
黄鲫不宜和大蒜、砂糖、芥菜、沙参、蜂蜜、猪肝、鸡肉、野鸡肉、鹿肉,以及中药麦冬、厚朴一同食用。吃鱼前后忌喝茶。

(一)黄鲫汤
做黄鲫汤很重要的一点是注意火候的把握。步骤如下:
1、买新鲜现杀的黄鲫两条,个头要适中。洗的时候要把鱼鳞全部弄干净,鱼肚里也要洗净,免得汤有腥味。
2、洗好后,在鱼身上涂抹适当食盐,腌放十分钟;准备好香葱三根,洗净,打结备用;
3、切好姜片若干(根据鱼的大小和量);均匀涂抹姜汁于锅内(防止鱼皮粘锅),倒入色拉油,点火;
4、油不宜太热,将火旋小,轻轻放鱼入锅,同时放入姜片,把火调大;煎至鱼皮微露金黄色,将鱼轻轻翻身,直至也微呈金黄色;煎的过程中,注意转动锅,使鱼均匀煎透;
5、把火调小,加冷水至淹没鱼为止,放入备好的葱结,开大火,煮沸;把鱼翻身,再煮五分钟,放入适量的盐,继续煮,直至汤呈现奶白色;加味精,煮两分钟。
6、同时准备好吃鱼的料:蘸鱼的陈醋少许倒入碗中,放少许盐,糖,味精,搅拌均匀。将鱼单独盛在大碗里,鲫鱼汤盛在汤碗里;鱼蘸着料吃,汤即喝。
(二)黄鲫豆腐汤做法
【原料】
鲫鱼1条(约300g以上为好),内脂豆腐一盒(约300g以上)
【调味料】
黄酒,葱、姜,精盐,味精,食用油
准备工作:
将鲫鱼洗净,沥干(这样在用油煎的时候,油不会溅得很厉害),鲫鱼身上不要划刀,不然鱼刺划断,吃起来更麻烦了。豆腐在盒内时用小刀划成小块(大小视自己喜好),生姜切成细粒,葱切成葱花。
鲫鱼豆腐汤烧的步骤:
锅里倒下油烧至七八分热,放下鱼煎至两面都微黄时,在鱼的两边放下姜粒,使姜粒在余油里略炸片刻,即倒黄酒于鱼身,再放清水(水的多少视自己的喜好,一般放的水是自己食用汤的一倍半),加盖煮沸后用中小火烧至鱼汤呈乳白色(共约7-8分钟),开盖放盐,放豆腐.再烧片刻(约5分钟),放葱花,味精装碗就成了。

在品种繁多的“丸九”钓鲫饵料中,最受广大钓鱼人青睐的当数“黄鲫”。它的优点在于主料薯粉质优,辅料小麦蛋白纯正,饵性“温和”,诱鱼、留鱼性能好,调制方法简单易掌握,软硬及溶散性可随意调整,属于广谱鱼饵中适面很广的钓饵之一。
此钓饵主、辅料配比合理,诱鱼剂添加适度,经高科技手段去粗取精后发挥了薯粉诱鱼的特性,并突出了薯料原有的清香淡甜的本色,鲫鱼为此流连忘返。无论是用于肥水、瘦水,老塘、野坑,均能发挥很好的作用。“黄鲫”的另一大特点,是它的亲合力及互溶性好,除单独使用外,可以用任何一种混合使用。
在一些过于松软的钓饵中加入一定量的“黄鲫”,因高品质的小麦蛋白所形成的良好的纤维,会减缓主饵的溶散速度却不改变它的松软性,而且不破坏主饵原有的香、腥特性。
以粮食为主料制做的各种钓饵中,如稍加一些“黄鲫”,可以为主饵提鲜提香,又不喧宾夺主。
某些浓香烈甜或异味较重的钓饵,加入适量的“黄鲫”,可以起到一个综合作用,使主饵原有的特性得以改善,减轻原饵对鱼的过度刺激,改变入窝躁而不吃食的现状。
“黄鲫”在水中软散而不糟,物理特性和入口性均属上乘,鲫鱼对其警惕性小,往往是深吸而不吐,便于钓鱼人掌握浮漂讯号。
单独使用时,可以根据钓浮还是钓底的不同目的而采取不同的调制方法。
用于钓浮,可以1份饵料加1.2份的水,稍微拌一下,使其充分均匀吸水,放置三五分钟后,像攥雪球一样把饵团攥几下,不要来回揣揉,挂钩时再把饵料揉几下即可。这样调成的钓饵比较松软,比重也较轻,入水后下沉速度慢,雾化快,能把鱼聚在水中的中上层,便于钓浮鱼。
钓底时,可以1份饵料加1~1.1份的水,稍微拌一下,使其均匀吸水,三五分钟后充分揣揉,使饵粘软似入的耳垂。这种状态的钓饵入水后中途雾化慢,下沉速度快,减少鱼的上浮追饵,使底窝稳定不乱。

烤子鱼
原料:新鲜凤尾鱼400克
调料:盐15克,鸡精20克,鸡汁100克,花雕酒20克
1.将凤尾鱼抹上盐、鸡精,浇上鸡汁、花雕酒,腌制十五分钟后沥干备用。
2.锅中放油,八成热时将腌制好的凤尾鱼下入锅中炸制,炸到金黄色即可。
凤尾鱼的营养成分与一般鱼类不同,富含矿物质特别是微量元素,有促进人体抗感染的能力,另具有补中益气、泻火解毒、活血健脾的功效。
由于凤尾鱼肉细皮薄不容易剖腹取出内脏,所以可用筷子从鱼嘴中伸入到腹中挖胆去内脏

池塘主养黄鲫要获得高产效益,养殖技术是关键,要注意以下几个方面:
一、正确分辨鱼种优劣
养殖户在购买黄鲫鱼种时,应根据主要黄鲫养殖品种的生物学特征,正确分辨鱼种的伪劣,避免上当受骗蒙受损失。
二、设计好鱼种放养密度
为了降低养殖成本,最好自己培育大规格鱼种。
1.用池塘培育黄鲫鱼种,每亩放养黄鲫夏花0.8—1.2万尾可以达到养成规格50---60g的目的。
2.进行黄鲫成鱼养殖时,鱼种平均规格为50—60g时,每亩放养黄鲫鱼种1500---1800尾最为理想,养成商品鱼规格可达到350---400g。
三、确定搭配品种
培育大规格黄鲫种不要配搭草鱼和鲫鱼,而应选择鲢鱼和鳙鱼,数量应占主养鲫鱼20%左右,鳙鱼则占鲢鱼的10%左右。搭配品种的放养时间不宜过早,尤其是过早投入鳙鱼对鲫鱼驯化的影响更大。
四、鱼种驯化
1.培育鱼种阶段驯化相对容易。驯化后的鱼种在成鱼养殖时上浮抢食时间短,便于管理。
2.驯化时在饲料中添加适量添加剂,可以缩短驯化时间,增加黄鲫摄食面积和数量。
3.密度对驯化的影响。密度大,群体数量大,易于驯化。在密度已确定不能改变时,可以降低池塘水位,相对增大密度,则既要利于驯化又能提高池塘水温,促进鱼生长。
4.搭配鲢、鳙鱼种应在主养鲫鱼上浮抢食习惯形成之后投放。
5.驯化期的水质宜“清瘦”不宜“浊肥”。
6.驯化时管理人员需要耐心认真。
五、饲料粒径和投饲率1.黄鲫饲料粒径的选择标准“就小不就大”。一般黄鲫规格在10g/尾以下时,饲料粒径选0.5mm;lO---30g/尾时选1.5mm;75—100g/尾时选2.0mm;150--300g/尾时选2.4mm;300g每尾以上时选3.2mm。
2.鱼的摄食能力受到鱼的规格及池塘水温的直接影响,故投饲率应根据实际情况随机调整,而不应该一成不变。
六、鱼病防治
黄鲫的抗病能力虽强,但近年来仍发现了黄鲫出血性锚头鳋病,虽然此病的发生率不高,但一旦染上任其发展,也会导致黄鲫大量死亡。严重患病黄鲫主要表现为:浮水慢游(乏力)、色泽淡白;鱼体表的腹部、背脊两侧(细鳞部位)可见针状虫体寄生;虫体着生处有绿豆或豌豆大小的充血红斑,病灶部位鳞片松动或脱落,粘液增多,少数形成明显的溃疡。病原体为鲤锚头鳋。主要病因:一是清塘不彻底或不清塘,病因待机孳生;二是投入时体表受损伤(或生产操作不慎致使鱼体表受伤)的鱼种,为病原体寄生创造了可乘之机。
七、预防方法
①在黄鲫种下塘前1—2天用2.5%敌百虫粉剂全池泼洒,使池水呈lppm。
②小面积主养池,可在发病季节每半月全池泼洒90%晶体敌百虫0.3ppm,大面积鲫鱼混养池,可在黄鲫生长季节,在食场周围进行敌百虫挂篓(袋),每月1—2次,每次连挂2天。治疗方法:在养殖中,出现患病征兆时,及时观察检查,确诊后一次性全池泼洒0.5ppm90%晶体敌百虫、0.2ppm硫酸亚铁合剂。对于继发性鲫锚头鳋病(或已多次使用敌百虫的池塘),可改用农用敌杀死全池泼洒,用量为每亩水深1m用6一10mL。

黄海南部黄鲫主要利用渔期为春季 3—5月、冬季 1 月或 12 月。春季高产渔区主要分布在大沙渔场的西南部和吕泗渔场的东部, 冬季和秋季高产渔区相对靠近或较春季高产渔区偏东。黄鲫高产渔区的分布无明显季节变化特征。黄鲫渔获群体主要由体长 70—110mm、体重 0—15g 的个体组成, 产卵群体的平均体重范围为 8.7—12.0g。







黄鲫为辐鳍鱼纲鲱形目鳀科黄鲫属的鱼类。分布干印度洋和太平洋西部。我国南海、东海、黄海和渤海均产之。…




体形似鲚,主要区别在于上颌骨较短,向后延长不超过鳃盖的后缘;体侧纵列鳞数目较少。多栖居于长江的中游…




长颌鲚,俗称长江刀鱼、毛花鱼、野毛鱼、梅鲚等,为鍉科鲚属洄游性鱼类,平时生活在海里,每年2~3月份…




长颌鲚,俗称长江刀鱼、毛花鱼、野毛鱼、梅鲚等,为鍉科鲚属洄游性鱼类,平时生活在海里,每年2~3月份…




凤鲚属于河口性洄游鱼类,平时栖息于浅海,每年春季,大量鱼类从海中洄游至河口半咸淡水区域产卵,但决不…




凤鲚属于河口性洄游鱼类,平时栖息于浅海,每年春季,大量鱼类从海中洄游至河口半咸淡水区域产卵,但决不…




黄鲫为辐鳍鱼纲鲱形目鳀科黄鲫属的鱼类。分布干印度洋和太平洋西部。我国南海、东海、黄海和渤海均产之。…




刀鲚是鲱形目鳀科鲚属鱼类,又称刀鱼、长颌鲚、太湖湖鲚、短颌鲚、毛刀鱼、毛花鱼、梅鲚等。体侧扁长,…


















