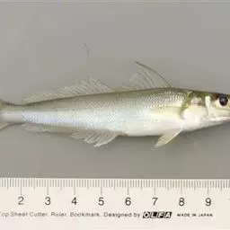
体形似鲚,主要区别在于上颌骨较短,向后延长不超过鳃盖的后缘;体侧纵列鳞数目较少。多栖居于长江的中游,在长江口地区偶有出现。它生长、发育和繁殖均在江河湖泊内,也比较喜好在湖泊中生活。平时游弋于水的中上层,冬季则在深水层中越冬。一般雄鱼长达12厘米、体重6.5克以上,雄鱼在15.3厘米、体重13.7克以上即可性成熟,在静水、缓流中均可产卵,生殖季节为4-5月。
基本信息

编号:
5365
拉丁目名:
CLUPEIFORMES
中文目名:
鲱形目
中文科名:
鳀科
拉丁科名:
Engraulidae
中文属名:
鲚属
拉丁属名:
Coilia
拉丁种名:
brachygnathus
定名人:
Kreyenberg et Pappenheim
年代:
1903
中文名:
短颌鲚
原始文献:
Ges. Nat. Freunde Berlin:96.
模式产地:
洞庭湖, 汉口
俗名:
毛刀鱼, 毛鲚
英文名称:
Shortjaw tapertail anchovy
生境:
淡水, 主要在长江中下游通江湖泊
国内分布:
我国长江中下游及其附属水体(湖泊等)
特有:
y
资料来源:
上海鱼类志:114-115.

不同大小的个体,食性不同。体长25厘米以上的较大个体,主要以鱼虾为食;体长15厘米以下的个体,主要摄食桡足类、枝角类和昆虫幼虫;幼鱼则以浮游动物为主要食料。短颌鲚在长江中下游附属湖泊中产量很高。
短颌鲚

1.通过鳞片、耳石和脊椎骨上的年轮特征对短颌鲚的年龄进行了鉴定,误差在±1轮以内的吻合率为100%。就低龄鱼而言以鳞片最为可靠。 2.短颌鲚鳞片上的年轮特征为“疏密型”和“破碎型”。在入射光下观察,密环与疏环之间的分界线就是年轮。脊椎骨和耳石上的年轮,在透射光下观察,表现为宽的暗带和窄的亮带相间排列,亮带与暗带的分界处即为年轮。 3.对三种材料年龄鉴定的结果进行比较,结果表明:鳞片鉴定效果好于耳石脊椎骨。因而选用鳞片作为鉴定长江天鹅洲故道短颌鲚年龄的材料。 4.短颌鲚繁殖群体性比为:♀雌性:雄性=1.19:1. 5.短颌鲚雌雄个体肥满度随季节而变化,其变化规律与摄食和繁殖活动密切相关:4~9月随着繁殖活动的进行,肥满度下降;繁殖后随着摄食活动的增强,肥满度开始上升。 6.短颌鲚体长与体重呈幂函数关系,关系式为: W♀=0.0013L3.304(R2=0.9921) W?=0.0041L2.9172(R2=0.9811) 7.短颌鲚雌、雄Von Bertalanffy生长方程为: ♀:Lt=36.5824(1-e-0.2578(t+0.304)) Wt=190.1055(1-e-0.2578(t+0.304))3.304

短颌鲚(Coilia brachygnathus)是一种重要的渔业资源,2012年湖口江段短颌鲚的渔获量为1.03 t,运用体长股法对湖口江段短颌鲚资源量进行了初步评估。结果表明,体长体重关系为BW=0.003BL3.041;自然死亡系数M=0.603;最大体长组的捕捞死亡系数F初始值分别取0.25、0.50和0.75时,短颌鲚资源数量依次为198.492万、186.456万和182.432万尾;短颌鲚资源重量依次为3.52、3.15和3.04 t。















