
花鲈鲤,拉丁文名:Percocypris pingi regani ,属鲤形目鲤科华鲮属的一种鱼类…




罗非鱼别称非洲鲫鱼、南鲫、越南鱼,是鲈形目丽鲷科罗非鱼属脊索动物。体侧扁,头中等大小,…




攀鲈,是鲈形目攀鲈科攀鲈属一种。又称太阳鱼。其体侧扁,口次上位,…




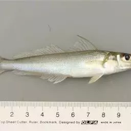
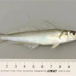
多鳞鱚,Sillago sihama ,鱚科鱚属的一种鱼类。主要分布于印度洋-西太平洋的热带海域,…




大眼鲷是鲈形目大眼鲷科鱼类,又称大目、大目莲。体呈长椭圆形,较侧扁;口大,口裂倾斜或近垂直状;眼更大,…




大西洋庸鲽俗称欧洲大比目鱼,英文名Atlantic Halibut。…




秋刀鱼,又称竹刀鱼,是鱼类的一种。由于其体形修长如刀,生产季节在秋天,故名秋刀鱼。…




黑斑狗鱼,为狗鱼科。狗鱼属鱼类,本种为高纬度寒冷地区水域的特产鱼类。


















