
石爬鮡属鲇形目鮡科石爬鮡属的一属鱼类的统称。俗称:石爬子、青石爬子、黄石爬子、爬爬鱼、火箭鱼。体扁平,…




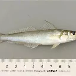
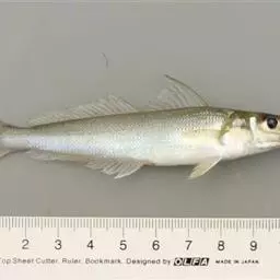
多鳞鱚,Sillago sihama ,鱚科鱚属的一种鱼类。主要分布于印度洋-西太平洋的热带海域,…




花鲈鲤,拉丁文名:Percocypris pingi regani ,属鲤形目鲤科华鲮属的一种鱼类…




银方头鱼为我国一般经济鱼类之一。肉质较细嫩,呈蒜瓣形,营养丰富。…




三角鲤是鲤科、鲤属鱼类。体侧扁而高,头后背部显著隆起,腹部较平直。头短,略侧扁,头长短于体高。…




小眼须鳅,Barbatulamicrophthalma ,鳅科须鳅属的一种鱼类。体裸露无鳞。前鼻…




香鱼体狭长而侧扁,头小而吻尖,口大眼小。背缘苍黑,两侧及腹部为白色。尾分叉,无硬棘,背鳍后有一小脂…




鲱是冷温性结群的海洋上层鱼类。以浮游生物为食。由于鱼群大,产量多,肉多脂肪,成为产地的重要经济渔业…


















