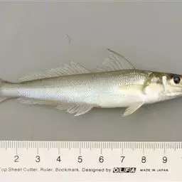
大鳞鮻(学名:Liza macrolepis),为鲻科、鮻属鱼类。体呈纺锤形,略侧扁;脂眼睑不发达。他重中之重是胸鳍基部有金黄色斑,且体型较为粗胖。鱼体背部青黑色,腹部银白,鳞片大,尾鳍凹形。与粗鳞鮻(L. dussumieri)相似,但後者的鳞片更大些。
基本信息

背鳍Ⅳ,Ⅰ-8;臀鳍Ⅲ-9;胸鳍Ⅰ-13-14;腹鳍Ⅰ-5;尾鳍Ⅱ-11-12-Ⅱ。纵列鳞31-34,横列鳞10-11,背鳍前鳞18-22。
体长为体高的3.4-5.0(平均4.4)倍,为头长的3.6-4.5(4.4)倍。头长为吻长的2.4-6.2(4.7)倍,为眼径的3.2-4.3(3.8)倍,为眼间距的2.2-4.3(2.7)倍。
体长形,较侧扁,体背部稍隆起,第1背鳍前正中无稜嵴。腹部凸出。头较小。吻短钝,吻长小于眼径。眼间宽,大于眼径,微凸起。脂眼睑不发达,仅存在于眼的前、后部。鼻孔每侧2个,位于眼前例上方,前鼻孔小,后鼻孔稍大。口较小,下位。上颌骨后端露出眶前骨之外。上唇发达,较厚5下唇薄,边缘锐利。颌无齿。鳃孔宽大,鳃盖膜分离,不与峡部分离。鳃把发达。具假鳃。肛门紧位于臀鳍前方。
两背鳍分离,第1背鳍始点距尾鳍基部较距吻端为近,两个背鳍间距较长。臀鳍始点在两背鳍的前下方,基部长大于第2背鳍。胸鳍小,侧中位。腹鳍小于胸鳍。尾鳍叉形。
体被大圆鳞,头部除吻端及两颌部分外均有鳞,吻部鳞片起于前鼻孔的背侧,各鳍除第1背鳍外均被细小鳞,其中又以第2背鳍、臀鳍及尾鳍基部为最多。胸鳍无腋鳞。第1背鳍及腹鳍基部两侧各具1长尖形腋鳞,其长为腹鳍最长鳍条的1/3左右。无侧线。

生活于1~10公尺海域,大多栖息在沙泥底质的河口,幼鱼喜欢浅滩区,成鱼在较深水处,属广盐性鱼类。杂食性,以藻类及碎屑为主。

经济性食用鱼,成熟卵巢可作为乌鱼子,但体积较小。

狐面鱼,学名:Siganus vulpinus ,又名狐狸鱼,分布于菲律宾、中国台湾、太平洋的珊瑚…




棒花鱼,是鲤形目鲤科棒花鱼属鱼类。鱼体延长,后部稍侧扁,背部稍隆起,背鳍起点处为身体最高处,…




小丑鱼是鲈形目雀鲷科小丑鱼属鱼类的统称。体长仅5—6厘米。身体色彩艳丽,…




头尾灯鱼属脂鲤科,原产南美巴西、亚马逊河流域,学名Hemigrammusocellifer。…




褐点石斑鱼为辐鳍鱼纲鲈形目鲈亚目鮨科石斑鱼属的鱼类。分布于红海、印度洋非洲东岸至太平洋波利尼西亚、…




胡鲶,Clarias batrachus ,鲶形目胡鲶科胡q。英文名:Walking catfis…




杂斑狗母鱼,学名:Synodus variegatus ,为狗母鱼科狗母鱼属的一种鱼类,俗名花沙咀…




多鳞鱚,Sillago sihama ,鱚科鱚属的一种鱼类。主要分布于印度洋-西太平洋的热带海域,…


















